
Het adres Garderenseweg 281-47 bevindt zich in de plaats Ermelo, in de gemeente Ermelo en de provincie Gelderland. Het perceel waarop het adres gelegen is heeft een oppervlakte van 1,4 ha. Het verblijfsobject is met 32 m² relatief klein. De oppervlakte van het adres is klein vergeleken met de andere objecten in de straat. De oppervlakte van het kleinste object in de straat bedraagt 8 m², terwijl het grootste object 774 m² groot is. Garderenseweg 281-47 bevindt zich in een pand uit het jaar null. Daarmee behoort het tot de groep relatief oude panden in Nederland die gebouwd zijn vóór 1965. Het gemiddelde bouwjaar in de straat is 1971 en dat van het nieuwste object 2025. In de straat is dit het oudste pand. Het verblijfsobject heeft de volgende gebruiksdoelen: 'standplaats'.
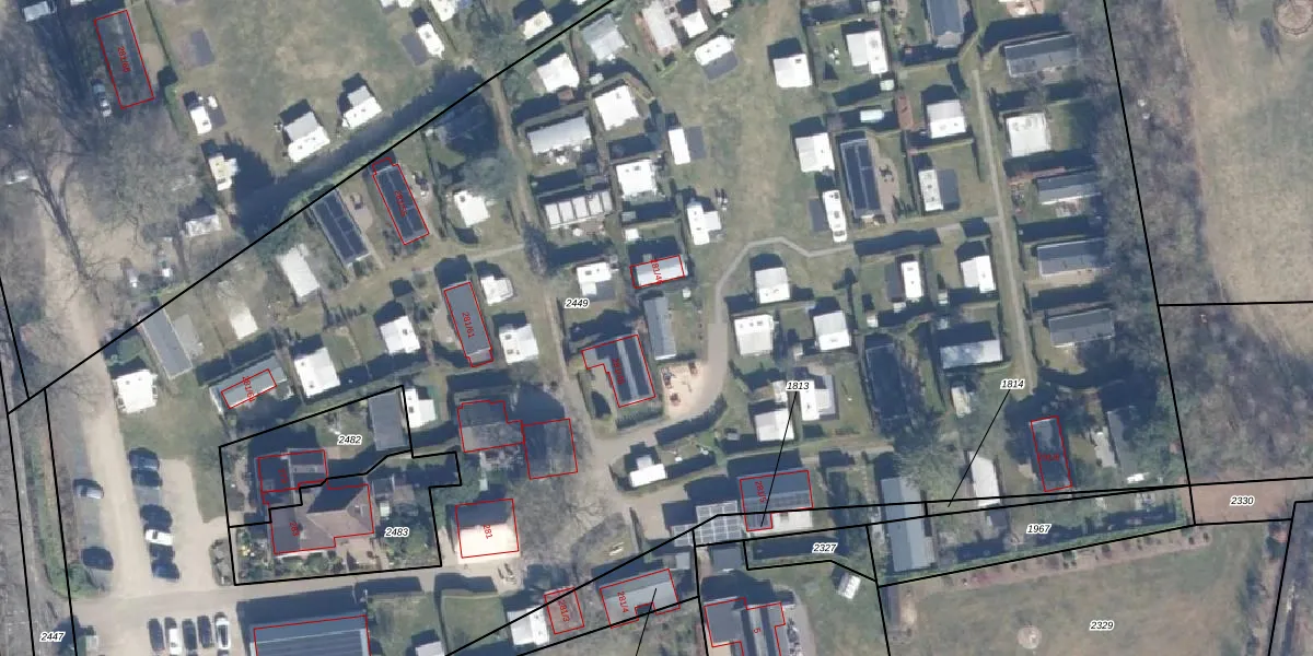
Het adres is gelegen op perceel 2449 in de sectie D en de kadastrale gemeente Ermelo. De kadastrale aanduiding is aldus EML00-D-2449. De gemiddelde perceeloppervlakte in de kadastrale gemeente Ermelo is 5291,54 m². Dit perceel is met zijn 1,4 ha dus groter dan gemiddeld. Het grootste perceel in de kadastrale gemeente is 3,90 km². Het kleinste perceel heeft een oppervlakte van 0 m². Er zijn 44 adressen aanwezig op het perceel. In de Basisregistratie Kadaster (BRK) werden de grenzen van het perceel geregistreerd op 07-06-2024.
Er is geen energielabel geregistreerd voor het adres. Het hoogste energielabel in de straat is A+++; het laagste is G. Het gemiddelde energielabel is er C. Het adres Garderenseweg 281-47 heeft als status: 'plaats aangewezen'. Het pand waarin dit adres ligt heeft als status: 'undefined'.
Garderenseweg 281-47 is een adres gelegen in de gemeente Ermelo, provincie Gelderland. Dit adres is geregistreerd in de Basisregistratie Adressen en Gebouwen (BAG) met als unieke identificatie 0233039900022764.
De woning op Garderenseweg 281-47 heeft een gebruiksoppervlakte van 32 m². Dit is relatief klein vergeleken met de gemiddelde Nederlandse woning, die een oppervlakte heeft van ongeveer 119 m². De gebruiksoppervlakte is de maat die wordt gebruikt in de BAG-registratie, de landelijke registratie van de Nederlandse overheid.
Garderenseweg 281-47 heeft als functie: standplaats. Deze gebruiksfunctie(s) zijn vastgelegd in de BAG-registratie en geven aan waarvoor het adres officieel mag worden gebruikt.
Garderenseweg 281-47 is gelegen op kadastraal perceel EML00D2449. Deze kadastrale aanduiding is uniek en wordt gebruikt door het Kadaster om eigendomsrechten en andere zakelijke rechten vast te leggen. Het perceel maakt onderdeel uit van de kadastrale gemeente Ermelo.
Het perceel waarop Garderenseweg 281-47 staat heeft een oppervlakte van 1,4 ha. Dit is een zeer groot perceel. De perceeloppervlakte wordt geregistreerd door het Kadaster. Gedetailleerde informatie over de maten van dit perceel kunt u vinden in het rapport Kadastrale kaart met maatvoering van Garderenseweg 281-47.
De eigenaar van Garderenseweg 281-47 is op te vragen op deze pagina.
De informatie over dit adres is afkomstig uit officiële overheidsregistraties, voornamelijk de Basisregistratie Adressen en Gebouwen (BAG) en de Basisregistratie Kadaster (BRK). Deze gegevens worden beheerd door respectievelijk gemeenten en het Kadaster, en worden regelmatig bijgewerkt. Energielabelgegevens komen uit de database van de Rijksdienst voor Ondernemend Nederland (RVO).
