
Witteland 20 is gelegen in de plaats Ermelo, de gemeente Ermelo en de provincie Gelderland. De oppervlakte bedraagt 299 m², waarmee het adres groter dan gemiddeld is. De grootte van het perceel waarop het adres ligt is 10,2 ha. Het object is klein ten opzichte van de andere adressen in de straat. Het grootste verblijfsobject is 2394 m² groot en het kleinste is 206 m². Het gebouw waarin Witteland 20 ligt komt uit het jaar 1940. Objecten die gebouwd zijn vóór 1965 classificeren we hier als oud. In de straat komt het nieuwste gebouw uit het jaar 2023 en het oudste uit 1935. Het bouwjaar van dit object is relatief oud. Het verblijfsobject heeft de volgende gebruiksdoelen: 'woonfunctie'.
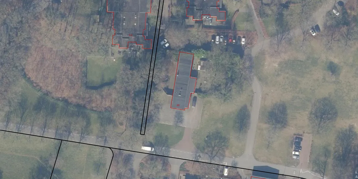
Het perceel waarop het adres ligt is EML00-I-4675. De afkorting 'EML00' staat voor kadastrale gemeente Ermelo. De gemiddelde perceeloppervlakte in de kadastrale gemeente Ermelo is 5291,54 m². Dit perceel is met zijn 10,2 ha dus groter dan gemiddeld. Het kleinste perceel in de kadastrale gemeente is 0 m² groot. De grootste perceeloppervlakte is 3,90 km². Op het perceel zijn 40 adressen aanwezig. De laatste wijziging in het de Basisregistratie Kadaster (BRK) was op 16-05-2008.
Er is geen energielabel geregistreerd voor het adres. Het hoogste energielabel in de straat is G; het laagste is G. Het gemiddelde energielabel is er G. Het adres Witteland 20 heeft als status: 'verblijfsobject in gebruik'. Het pand waarin dit adres ligt heeft als status: 'pand in gebruik'.
Witteland 20 is een adres gelegen in de gemeente Ermelo, provincie Gelderland. Dit adres is geregistreerd in de Basisregistratie Adressen en Gebouwen (BAG) met als unieke identificatie 0233010000019745.
Het pand op Witteland 20 is gebouwd in 1940, wat betekent dat het 86 jaar oud is. Dit is een ouder pand. Het pand heeft mogelijk aanzienlijke renovaties nodig om aan de huidige standaarden te voldoen.
De woning op Witteland 20 heeft een gebruiksoppervlakte van 299 m². Dit is ruim vergeleken met de gemiddelde Nederlandse woning, die een oppervlakte heeft van ongeveer 119 m². De gebruiksoppervlakte is de maat die wordt gebruikt in de BAG-registratie, de landelijke registratie van de Nederlandse overheid.
Witteland 20 heeft als functie: wonen. Deze gebruiksfunctie(s) zijn vastgelegd in de BAG-registratie en geven aan waarvoor het adres officieel mag worden gebruikt.
Witteland 20 is gelegen op kadastraal perceel EML00I4675. Deze kadastrale aanduiding is uniek en wordt gebruikt door het Kadaster om eigendomsrechten en andere zakelijke rechten vast te leggen. Het perceel maakt onderdeel uit van de kadastrale gemeente Ermelo.
Het perceel waarop Witteland 20 staat heeft een oppervlakte van 10,2 ha. Dit is een zeer groot perceel. De perceeloppervlakte wordt geregistreerd door het Kadaster. Gedetailleerde informatie over de maten van dit perceel kunt u vinden in het rapport Kadastrale kaart met maatvoering van Witteland 20.
De eigenaar van Witteland 20 is op te vragen op deze pagina.
De informatie over dit adres is afkomstig uit officiële overheidsregistraties, voornamelijk de Basisregistratie Adressen en Gebouwen (BAG) en de Basisregistratie Kadaster (BRK). Deze gegevens worden beheerd door respectievelijk gemeenten en het Kadaster, en worden regelmatig bijgewerkt. Energielabelgegevens komen uit de database van de Rijksdienst voor Ondernemend Nederland (RVO).
