
Sancta Monica 4 is gelegen in de plaats Esch, de gemeente Boxtel en de provincie Noord-Brabant. Het perceel waarop het adres gelegen is heeft een oppervlakte van 1,9 ha. Het verblijfsobject is met 66 m² relatief klein. Het adres is klein vergeleken met andere objecten in de straat. Het grootste object in de straat heeft een oppervlakte van 151 m², het kleinste is 56 m² groot. Het gebouw waarin Sancta Monica 4 ligt komt uit het jaar 1895. Objecten die gebouwd zijn vóór 1965 classificeren we hier als oud. Het gemiddelde bouwjaar in de straat is 1959 en dat van het nieuwste object 2012. In de straat is dit het oudste pand. Voor het verblijfsobject gelden deze gebruiksdoelen: 'woonfunctie'.
Deze woning is voor het laatst verkocht op 1 december 2017. Meer informatie over deze transactie? Bestel het Woningtransactierapport om de verkoopprijs en andere informatie te zien.
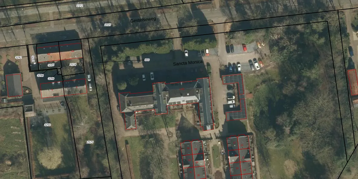
Het adres ligt op het perceel ESC00-B-901, dat zich in de kadastrale gemeente Esch bevindt. Het perceel is met 1,9 ha relatief groot. Het gemiddelde ligt in de kadastrale gemeente Esch op 3514,46 m². Het kleinste perceel in de kadastrale gemeente is 0 m² groot. De grootste perceeloppervlakte is 20,5 ha. Er zijn 44 adressen aanwezig op het perceel. De laatste wijziging in het de Basisregistratie Kadaster (BRK) was op 01-04-2009.
Er is geen energielabel geregistreerd voor het adres. Het hoogste energielabel in de straat is A; het laagste is G. Het gemiddelde energielabel is er B. Het adres Sancta Monica 4 heeft als status: 'verblijfsobject in gebruik'. Het pand waarin dit adres ligt heeft als status: 'pand in gebruik'.
Sancta Monica 4 is een adres gelegen in de gemeente Boxtel, provincie Noord-Brabant. Dit adres is geregistreerd in de Basisregistratie Adressen en Gebouwen (BAG) met als unieke identificatie 0788010000005677.
Het pand op Sancta Monica 4 is gebouwd in 1895, wat betekent dat het 131 jaar oud is. Dit is een ouder pand. Het pand heeft mogelijk aanzienlijke renovaties nodig om aan de huidige standaarden te voldoen.
De woning op Sancta Monica 4 heeft een gebruiksoppervlakte van 66 m². Dit is relatief klein vergeleken met de gemiddelde Nederlandse woning, die een oppervlakte heeft van ongeveer 119 m². De gebruiksoppervlakte is de maat die wordt gebruikt in de BAG-registratie, de landelijke registratie van de Nederlandse overheid.
Sancta Monica 4 heeft als functie: wonen. Deze gebruiksfunctie(s) zijn vastgelegd in de BAG-registratie en geven aan waarvoor het adres officieel mag worden gebruikt.
Sancta Monica 4 is gelegen op kadastraal perceel ESC00B901. Deze kadastrale aanduiding is uniek en wordt gebruikt door het Kadaster om eigendomsrechten en andere zakelijke rechten vast te leggen. Het perceel maakt onderdeel uit van de kadastrale gemeente Esch.
Het perceel waarop Sancta Monica 4 staat heeft een oppervlakte van 1,9 ha. Dit is een zeer groot perceel. De perceeloppervlakte wordt geregistreerd door het Kadaster. Gedetailleerde informatie over de maten van dit perceel kunt u vinden in het rapport Kadastrale kaart met maatvoering van Sancta Monica 4.
De eigenaar van Sancta Monica 4 is op te vragen op deze pagina.
De informatie over dit adres is afkomstig uit officiële overheidsregistraties, voornamelijk de Basisregistratie Adressen en Gebouwen (BAG) en de Basisregistratie Kadaster (BRK). Deze gegevens worden beheerd door respectievelijk gemeenten en het Kadaster, en worden regelmatig bijgewerkt. Energielabelgegevens komen uit de database van de Rijksdienst voor Ondernemend Nederland (RVO).
