
Het adres Zundertseweg 41-A bevindt zich in de plaats Etten-Leur, in de gemeente Etten-Leur en de provincie Noord-Brabant. De oppervlakte van het adres is 130 m². Dat is vergelijkbaar met het gemiddelde Nederlandse oppervlakte van 119 m². De oppervlakte van het perceel waarin het adres ligt is 275 m². Het object is klein ten opzichte van de andere adressen in de straat. Het grootste verblijfsobject is 582 m² groot en het kleinste is 4 m². Het adres Zundertseweg 41-A ligt in een relatief oud pand uit het jaar 1947. Panden van vóór het jaar 1965 hebben we hier geclassificeerd als oud. Het nieuwste gebouw in de straat komt uit 2025 en het oudste uit 1805. Dit object is relatief oud. Voor het verblijfsobject gelden deze gebruiksdoelen: 'woonfunctie'.
Deze woning is voor het laatst verkocht op 1 april 2025. Meer informatie over deze transactie? Bestel het Woningtransactierapport om de verkoopprijs en andere informatie te zien.
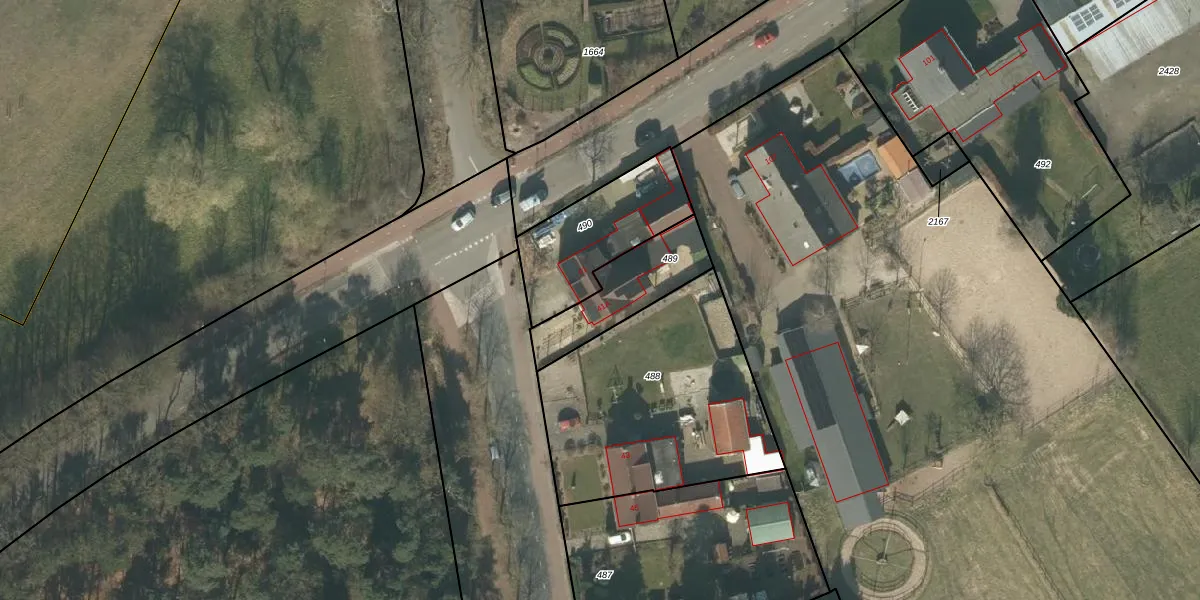
Het perceel waarop het adres ligt is ETN01-Q-489. De afkorting 'ETN01' staat voor kadastrale gemeente Etten-Leur. De gemiddelde perceelgrootte in Etten-Leur is 2572,39 m². Dit perceel is kleiner: de perceeloppervlakte bedraagt 275 m². De grootste perceeloppervlakte in de kadastrale gemeente is 27,5 ha. De kleinste oppervlakte bedraagt 0 m². Op het perceel bevinden zich geen andere adressen. In de Basisregistratie Kadaster (BRK) werden de grenzen van het perceel geregistreerd op 21-01-2009.
Het adres ligt in een gebouw van het type 'twee-onder-één-kap'. Bij de laatste meting is voor het adres het energielabel A geregistreerd. Het hoogste energielabel in de straat is A+; het laagste is G. Het gemiddelde energielabel is er C. Het adres Zundertseweg 41-A heeft als status: 'verblijfsobject in gebruik'. Het pand waarin dit adres ligt heeft als status: 'pand in gebruik'.
Zundertseweg 41-A is een adres gelegen in de gemeente Etten-Leur, provincie Noord-Brabant. Dit adres is geregistreerd in de Basisregistratie Adressen en Gebouwen (BAG) met als unieke identificatie 0777010000168065.
Het pand op Zundertseweg 41-A is gebouwd in 1947, wat betekent dat het 79 jaar oud is. Dit is een ouder pand. Het pand heeft mogelijk aanzienlijke renovaties nodig om aan de huidige standaarden te voldoen.
De woning op Zundertseweg 41-A heeft een gebruiksoppervlakte van 130 m². Dit is gemiddeld vergeleken met de gemiddelde Nederlandse woning, die een oppervlakte heeft van ongeveer 119 m². De gebruiksoppervlakte is de maat die wordt gebruikt in de BAG-registratie, de landelijke registratie van de Nederlandse overheid.
Zundertseweg 41-A heeft als functie: wonen. Deze gebruiksfunctie(s) zijn vastgelegd in de BAG-registratie en geven aan waarvoor het adres officieel mag worden gebruikt.
Zundertseweg 41-A is gelegen op kadastraal perceel ETN01Q489. Deze kadastrale aanduiding is uniek en wordt gebruikt door het Kadaster om eigendomsrechten en andere zakelijke rechten vast te leggen. Het perceel maakt onderdeel uit van de kadastrale gemeente Etten-Leur.
Het perceel waarop Zundertseweg 41-A staat heeft een oppervlakte van 275 m². Dit is een middelgroot perceel. De perceeloppervlakte wordt geregistreerd door het Kadaster. Gedetailleerde informatie over de maten van dit perceel kunt u vinden in het rapport Kadastrale kaart met maatvoering van Zundertseweg 41-A.
De eigenaar van Zundertseweg 41-A is op te vragen op deze pagina.
De informatie over dit adres is afkomstig uit officiële overheidsregistraties, voornamelijk de Basisregistratie Adressen en Gebouwen (BAG) en de Basisregistratie Kadaster (BRK). Deze gegevens worden beheerd door respectievelijk gemeenten en het Kadaster, en worden regelmatig bijgewerkt. Energielabelgegevens komen uit de database van de Rijksdienst voor Ondernemend Nederland (RVO).
