
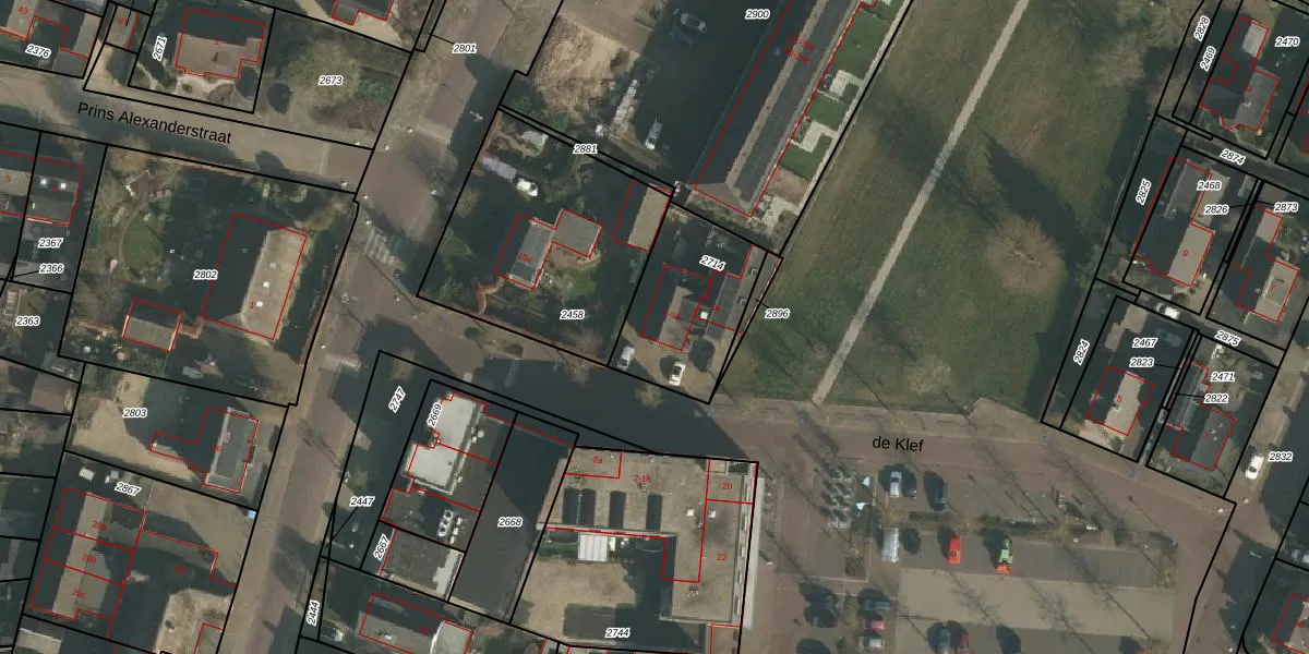
de Klef 1 is een adres in Ewijk, dat zich bevindt binnen de gemeentegrenzen van Ewijk en de grenzen van de provincie Gelderland. Het perceel waarop het adres gelegen is heeft een oppervlakte van 440 m². Het verblijfsobject is met 62 m² relatief klein. Het adres is klein vergeleken met andere objecten in de straat. Het grootste object in de straat heeft een oppervlakte van 1413 m², het kleinste is 36 m² groot. Het adres de Klef 1 ligt in een relatief oud pand uit het jaar 1962. Panden van vóór het jaar 1965 hebben we hier geclassificeerd als oud. Het gemiddelde bouwjaar in de straat is 1995 en dat van het nieuwste object 2018. In de straat is dit het oudste pand. De volgende gebruiksdoelen zijn geregistreerd voor dit adres: 'woonfunctie' en 'overige gebruiksfunctie'.
Deze woning is voor het laatst verkocht op 1 februari 2004. Meer informatie over deze transactie? Bestel het Woningtransactierapport om de verkoopprijs en andere informatie te zien.
Het adres ligt op het perceel EWK00-A-2714, dat zich in de kadastrale gemeente Ewijk bevindt. Het perceel is 440 m² groot. Dat is kleiner dan de gemiddelde perceeloppervlakte in Ewijk, dat op 6109,89 m² ligt. De grootste perceeloppervlakte in de kadastrale gemeente is 51,6 ha. De kleinste oppervlakte bedraagt 0 m². Er zijn 3 adressen aanwezig op het perceel. De huidige grenzen van het perceel zijn digitaal in de Basisregistratie Kadaster (BRK) geregistreerd op 09-07-2021.
Het adres ligt in een gebouw van het type 'vrijstaande woning'. Bij de laatste meting is voor het adres het energielabel A geregistreerd. Het hoogste energielabel in de straat is A; het laagste is G. Het gemiddelde energielabel is er B. Het adres de Klef 1 heeft als status: 'verblijfsobject in gebruik'. Het pand waarin dit adres ligt heeft als status: 'pand in gebruik'.
de Klef 1 is een adres gelegen in de gemeente Beuningen, provincie Gelderland. Dit adres is geregistreerd in de Basisregistratie Adressen en Gebouwen (BAG) met als unieke identificatie 0209010000010480.
Het pand op de Klef 1 is gebouwd in 1962, wat betekent dat het 64 jaar oud is. Dit is een ouder pand. Het pand heeft mogelijk aanzienlijke renovaties nodig om aan de huidige standaarden te voldoen.
De woning op de Klef 1 heeft een gebruiksoppervlakte van 62 m². Dit is relatief klein vergeleken met de gemiddelde Nederlandse woning, die een oppervlakte heeft van ongeveer 119 m². De gebruiksoppervlakte is de maat die wordt gebruikt in de BAG-registratie, de landelijke registratie van de Nederlandse overheid.
de Klef 1 heeft als functie: wonen en overige doeleinden. Deze gebruiksfunctie(s) zijn vastgelegd in de BAG-registratie en geven aan waarvoor het adres officieel mag worden gebruikt.
de Klef 1 is gelegen op kadastraal perceel EWK00A2714. Deze kadastrale aanduiding is uniek en wordt gebruikt door het Kadaster om eigendomsrechten en andere zakelijke rechten vast te leggen. Het perceel maakt onderdeel uit van de kadastrale gemeente Ewijk.
Het perceel waarop de Klef 1 staat heeft een oppervlakte van 440 m². Dit is een groot perceel. De perceeloppervlakte wordt geregistreerd door het Kadaster. Gedetailleerde informatie over de maten van dit perceel kunt u vinden in het rapport Kadastrale kaart met maatvoering van de Klef 1.
De eigenaar van de Klef 1 is op te vragen op deze pagina.
De informatie over dit adres is afkomstig uit officiële overheidsregistraties, voornamelijk de Basisregistratie Adressen en Gebouwen (BAG) en de Basisregistratie Kadaster (BRK). Deze gegevens worden beheerd door respectievelijk gemeenten en het Kadaster, en worden regelmatig bijgewerkt. Energielabelgegevens komen uit de database van de Rijksdienst voor Ondernemend Nederland (RVO).
