
Het adres Koningstraat 11-a bevindt zich in de plaats Ewijk, in de gemeente Ewijk en de provincie Gelderland. De oppervlakte bedraagt 242 m², waarmee het adres groter dan gemiddeld is. De grootte van het perceel waarop het adres ligt is 1745 m². Het object is klein ten opzichte van de andere adressen in de straat. Het grootste verblijfsobject is 1245 m² groot en het kleinste is 3 m². Het adres Koningstraat 11-a ligt in een relatief oud pand uit het jaar 1910. Panden van vóór het jaar 1965 hebben we hier geclassificeerd als oud. In de straat komt het nieuwste gebouw uit het jaar 2026 en het oudste uit 1856. Het bouwjaar van dit object is relatief oud. De volgende gebruiksdoelen zijn geregistreerd voor dit adres: 'woonfunctie'.
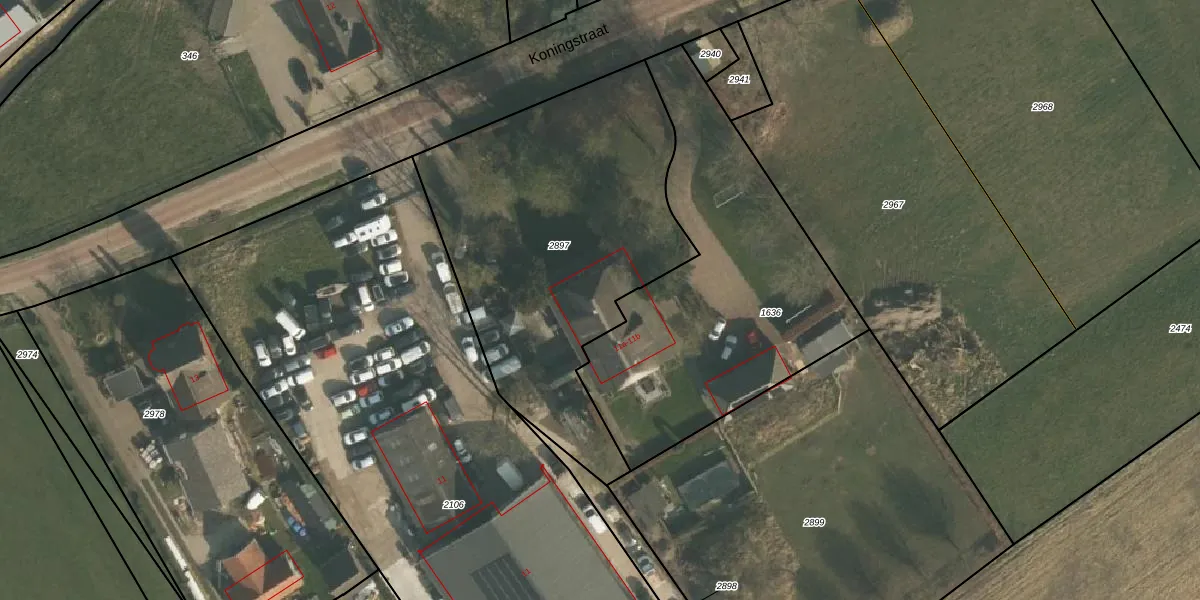
Het perceel waarop het adres ligt is EWK00-E-2897. De afkorting 'EWK00' staat voor kadastrale gemeente Ewijk. Het perceel is 1745 m² groot. Dat is kleiner dan de gemiddelde perceeloppervlakte in Ewijk, dat op 6104,17 m² ligt. De grootste perceeloppervlakte in de kadastrale gemeente is 51,6 ha. De kleinste oppervlakte bedraagt 0 m². Er zijn geen andere adressen aanwezig op het perceel. In de Basisregistratie Kadaster (BRK) werden de grenzen van het perceel geregistreerd op 03-05-2023.
Er is geen energielabel geregistreerd voor het adres. Het hoogste energielabel in de straat is A++++; het laagste is G. Het gemiddelde energielabel is er B. Het adres Koningstraat 11-a heeft als status: 'verblijfsobject in gebruik'. Het pand waarin dit adres ligt heeft als status: 'pand in gebruik'.
Koningstraat 11-a is een adres gelegen in de gemeente Beuningen, provincie Gelderland. Dit adres is geregistreerd in de Basisregistratie Adressen en Gebouwen (BAG) met als unieke identificatie 0209010000012363.
Het pand op Koningstraat 11-a is gebouwd in 1910, wat betekent dat het 116 jaar oud is. Dit is een ouder pand. Het pand heeft mogelijk aanzienlijke renovaties nodig om aan de huidige standaarden te voldoen.
De woning op Koningstraat 11-a heeft een gebruiksoppervlakte van 242 m². Dit is ruim vergeleken met de gemiddelde Nederlandse woning, die een oppervlakte heeft van ongeveer 119 m². De gebruiksoppervlakte is de maat die wordt gebruikt in de BAG-registratie, de landelijke registratie van de Nederlandse overheid.
Koningstraat 11-a heeft als functie: wonen. Deze gebruiksfunctie(s) zijn vastgelegd in de BAG-registratie en geven aan waarvoor het adres officieel mag worden gebruikt.
Koningstraat 11-a is gelegen op kadastraal perceel EWK00E2897. Deze kadastrale aanduiding is uniek en wordt gebruikt door het Kadaster om eigendomsrechten en andere zakelijke rechten vast te leggen. Het perceel maakt onderdeel uit van de kadastrale gemeente Ewijk.
Het perceel waarop Koningstraat 11-a staat heeft een oppervlakte van 1745 m². Dit is een zeer groot perceel. De perceeloppervlakte wordt geregistreerd door het Kadaster. Gedetailleerde informatie over de maten van dit perceel kunt u vinden in het rapport Kadastrale kaart met maatvoering van Koningstraat 11-a.
De eigenaar van Koningstraat 11-a is op te vragen op deze pagina.
De informatie over dit adres is afkomstig uit officiële overheidsregistraties, voornamelijk de Basisregistratie Adressen en Gebouwen (BAG) en de Basisregistratie Kadaster (BRK). Deze gegevens worden beheerd door respectievelijk gemeenten en het Kadaster, en worden regelmatig bijgewerkt. Energielabelgegevens komen uit de database van de Rijksdienst voor Ondernemend Nederland (RVO).
