
Zuideinde 6 is gelegen in de plaats Fochteloo, de gemeente Ooststellingwerf en de provincie Friesland. Het object heeft een oppervlakte van 163 m², wat relatief groot is. Het perceel waarop het adres ligt is 2580 m² groot. Vergeleken met de andere verblijfsobjecten in de straat is dit object groot. De oppervlakte van het grootste object in de straat is 688 m², die van het kleinste bedraagt 2 m². Zuideinde 6 bevindt zich in een pand uit het jaar 1953. Daarmee behoort het tot de groep relatief oude panden in Nederland die gebouwd zijn vóór 1965. Vergeleken met de andere panden in de straat is dit gebouw nieuw. Het vroegste bouwjaar is er 1702 en het laatste is 2020. Het verblijfsobject heeft de volgende gebruiksdoelen: 'woonfunctie'.
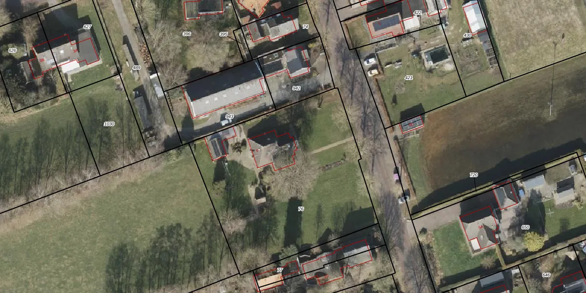
Het adres is gelegen op perceel 76 in de sectie F en de kadastrale gemeente Oosterwolde. De kadastrale aanduiding is aldus OTW02-F-76. Het perceel is kleiner dan gemiddeld in Oosterwolde. Het perceel is 2580 m² groot, terwijl het gemiddelde ligt op 7590,72 m². Het grootste perceel in de kadastrale gemeente is 93,2 ha. Het kleinste perceel heeft een oppervlakte van 0 m². Dit is het enige adres dat aanwezig is op het perceel. De laatste wijziging in het de Basisregistratie Kadaster (BRK) was op 04-12-2014.
Er is geen energielabel geregistreerd voor het adres. Het hoogste energielabel in de straat is A+++; het laagste is G. Het gemiddelde energielabel is er D. Het adres Zuideinde 6 heeft als status: 'verblijfsobject in gebruik'. Het pand waarin dit adres ligt heeft als status: 'pand in gebruik'.
Zuideinde 6 is een adres gelegen in de gemeente Ooststellingwerf, provincie Friesland. Dit adres is geregistreerd in de Basisregistratie Adressen en Gebouwen (BAG) met als unieke identificatie 0085010000002555.
Het pand op Zuideinde 6 is gebouwd in 1953, wat betekent dat het 73 jaar oud is. Dit is een ouder pand. Het pand heeft mogelijk aanzienlijke renovaties nodig om aan de huidige standaarden te voldoen.
De woning op Zuideinde 6 heeft een gebruiksoppervlakte van 163 m². Dit is ruim vergeleken met de gemiddelde Nederlandse woning, die een oppervlakte heeft van ongeveer 119 m². De gebruiksoppervlakte is de maat die wordt gebruikt in de BAG-registratie, de landelijke registratie van de Nederlandse overheid.
Zuideinde 6 heeft als functie: wonen. Deze gebruiksfunctie(s) zijn vastgelegd in de BAG-registratie en geven aan waarvoor het adres officieel mag worden gebruikt.
Zuideinde 6 is gelegen op kadastraal perceel OTW02F76. Deze kadastrale aanduiding is uniek en wordt gebruikt door het Kadaster om eigendomsrechten en andere zakelijke rechten vast te leggen. Het perceel maakt onderdeel uit van de kadastrale gemeente Oosterwolde.
Het perceel waarop Zuideinde 6 staat heeft een oppervlakte van 2580 m². Dit is een zeer groot perceel. De perceeloppervlakte wordt geregistreerd door het Kadaster. Gedetailleerde informatie over de maten van dit perceel kunt u vinden in het rapport Kadastrale kaart met maatvoering van Zuideinde 6.
De eigenaar van Zuideinde 6 is op te vragen op deze pagina.
De informatie over dit adres is afkomstig uit officiële overheidsregistraties, voornamelijk de Basisregistratie Adressen en Gebouwen (BAG) en de Basisregistratie Kadaster (BRK). Deze gegevens worden beheerd door respectievelijk gemeenten en het Kadaster, en worden regelmatig bijgewerkt. Energielabelgegevens komen uit de database van de Rijksdienst voor Ondernemend Nederland (RVO).
