
Avebe-Weg 63 is een adres in Foxhol, dat zich bevindt binnen de gemeentegrenzen van Foxhol en de grenzen van de provincie Groningen. Het perceel waarop het adres gelegen is heeft een oppervlakte van 7880 m². Het verblijfsobject is met 75 m² relatief klein. Het adres is klein vergeleken met andere objecten in de straat. Het grootste object in de straat heeft een oppervlakte van 9976 m², het kleinste is 13 m² groot. Het adres Avebe-Weg 63 ligt in een relatief oud pand uit het jaar 1963. Panden van vóór het jaar 1965 hebben we hier geclassificeerd als oud. Het bouwjaar is oud vergeleken met dat van de andere panden in de straat. Het oudste bouwjaar is er 1935 en de nieuwste is 2025. De volgende gebruiksdoelen zijn geregistreerd voor dit adres: 'kantoorfunctie'.
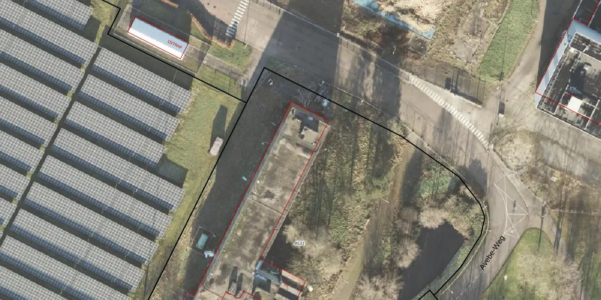
Het adres ligt op het perceel HGZ00-L-4531, dat zich in de kadastrale gemeente Hoogezand bevindt. De oppervlakte van het perceel is 7880 m². Dat is groter dan gemiddeld in Hoogezand, waar de gemiddelde perceeloppervlakte op 4409,93 m² ligt. De grootste perceeloppervlakte in de kadastrale gemeente is 1,68 km². De kleinste oppervlakte bedraagt 0 m². Er zijn 31 adressen aanwezig op het perceel. De huidige grenzen van het perceel zijn digitaal in de Basisregistratie Kadaster (BRK) geregistreerd op 20-11-2024.
Er is geen energielabel geregistreerd voor het adres. Het hoogste energielabel in de straat is F; het laagste is G. Het gemiddelde energielabel is er G. Het adres Avebe-Weg 63 heeft als status: 'verblijfsobject gevormd'. Het pand waarin dit adres ligt heeft als status: 'verbouwing pand'.
Avebe-Weg 63 is een adres gelegen in de gemeente Midden-Groningen, provincie Groningen. Dit adres is geregistreerd in de Basisregistratie Adressen en Gebouwen (BAG) met als unieke identificatie 1952010000003552.
Het pand op Avebe-Weg 63 is gebouwd in 1963, wat betekent dat het 63 jaar oud is. Dit is een ouder pand. Het pand heeft mogelijk aanzienlijke renovaties nodig om aan de huidige standaarden te voldoen.
De woning op Avebe-Weg 63 heeft een gebruiksoppervlakte van 75 m². Dit is onder het gemiddelde vergeleken met de gemiddelde Nederlandse woning, die een oppervlakte heeft van ongeveer 119 m². De gebruiksoppervlakte is de maat die wordt gebruikt in de BAG-registratie, de landelijke registratie van de Nederlandse overheid.
Avebe-Weg 63 heeft als functie: kantoor. Deze gebruiksfunctie(s) zijn vastgelegd in de BAG-registratie en geven aan waarvoor het adres officieel mag worden gebruikt.
Avebe-Weg 63 is gelegen op kadastraal perceel HGZ00L4531. Deze kadastrale aanduiding is uniek en wordt gebruikt door het Kadaster om eigendomsrechten en andere zakelijke rechten vast te leggen. Het perceel maakt onderdeel uit van de kadastrale gemeente Hoogezand.
Het perceel waarop Avebe-Weg 63 staat heeft een oppervlakte van 7880 m². Dit is een zeer groot perceel. De perceeloppervlakte wordt geregistreerd door het Kadaster. Gedetailleerde informatie over de maten van dit perceel kunt u vinden in het rapport Kadastrale kaart met maatvoering van Avebe-Weg 63.
De eigenaar van Avebe-Weg 63 is op te vragen op deze pagina.
De informatie over dit adres is afkomstig uit officiële overheidsregistraties, voornamelijk de Basisregistratie Adressen en Gebouwen (BAG) en de Basisregistratie Kadaster (BRK). Deze gegevens worden beheerd door respectievelijk gemeenten en het Kadaster, en worden regelmatig bijgewerkt. Energielabelgegevens komen uit de database van de Rijksdienst voor Ondernemend Nederland (RVO).
