
Putterweg 64-A-26 is gelegen in de plaats Garderen, de gemeente Barneveld en de provincie Gelderland. Het perceel waarop het adres gelegen is heeft een oppervlakte van 263 m². Het verblijfsobject is met 45 m² relatief klein. Het object is klein ten opzichte van de andere adressen in de straat. Het grootste verblijfsobject is 1735 m² groot en het kleinste is 15 m². In het jaar 1992 is het pand waarin Putterweg 64-A-26 ligt gebouwd. Dat is relatief recent: de meeste gebouwen in Nederland zijn gebouwd in de periode 1965-1984. Het bouwjaar is oud vergeleken met dat van de andere panden in de straat. Het oudste bouwjaar is er 1905 en de nieuwste is 2024. Het verblijfsobject heeft de volgende gebruiksdoelen: 'logiesfunctie'.
Deze woning is voor het laatst verkocht op 1 december 2018. Meer informatie over deze transactie? Bestel het Woningtransactierapport om de verkoopprijs en andere informatie te zien.
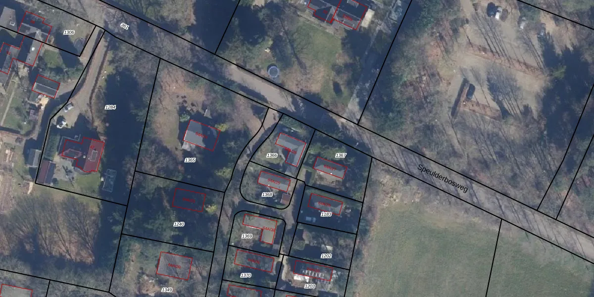
Het perceel waarop het adres ligt is GDR03-A-1366. De afkorting 'GDR03' staat voor kadastrale gemeente Garderen. Het perceel is kleiner dan gemiddeld in Garderen. Het perceel is 263 m² groot, terwijl het gemiddelde ligt op 8644,04 m². De grootste perceeloppervlakte in de kadastrale gemeente is 1,18 km². De kleinste oppervlakte bedraagt 0 m². Dit is het enige adres dat aanwezig is op het perceel. De laatste wijziging in het de Basisregistratie Kadaster (BRK) was op 16-02-2010.
Er is geen energielabel geregistreerd voor het adres. Het hoogste energielabel in de straat is A++; het laagste is G. Het gemiddelde energielabel is er D. Het adres Putterweg 64-A-26 heeft als status: 'verblijfsobject in gebruik'. Het pand waarin dit adres ligt heeft als status: 'pand in gebruik'.
Putterweg 64-A-26 is een adres gelegen in de gemeente Barneveld, provincie Gelderland. Dit adres is geregistreerd in de Basisregistratie Adressen en Gebouwen (BAG) met als unieke identificatie 0203010000404740.
Het pand op Putterweg 64-A-26 is gebouwd in 1992, wat betekent dat het 34 jaar oud is. Dit is een pand van middelbare leeftijd. Het pand is van gemiddelde leeftijd en zal waarschijnlijk verouderde elementen bevatten.
De woning op Putterweg 64-A-26 heeft een gebruiksoppervlakte van 45 m². Dit is relatief klein vergeleken met de gemiddelde Nederlandse woning, die een oppervlakte heeft van ongeveer 119 m². De gebruiksoppervlakte is de maat die wordt gebruikt in de BAG-registratie, de landelijke registratie van de Nederlandse overheid.
Putterweg 64-A-26 heeft als functie: logies/verblijf. Deze gebruiksfunctie(s) zijn vastgelegd in de BAG-registratie en geven aan waarvoor het adres officieel mag worden gebruikt.
Putterweg 64-A-26 is gelegen op kadastraal perceel GDR03A1366. Deze kadastrale aanduiding is uniek en wordt gebruikt door het Kadaster om eigendomsrechten en andere zakelijke rechten vast te leggen. Het perceel maakt onderdeel uit van de kadastrale gemeente Garderen.
Het perceel waarop Putterweg 64-A-26 staat heeft een oppervlakte van 263 m². Dit is een middelgroot perceel. De perceeloppervlakte wordt geregistreerd door het Kadaster. Gedetailleerde informatie over de maten van dit perceel kunt u vinden in het rapport Kadastrale kaart met maatvoering van Putterweg 64-A-26.
De eigenaar van Putterweg 64-A-26 is op te vragen op deze pagina.
De informatie over dit adres is afkomstig uit officiële overheidsregistraties, voornamelijk de Basisregistratie Adressen en Gebouwen (BAG) en de Basisregistratie Kadaster (BRK). Deze gegevens worden beheerd door respectievelijk gemeenten en het Kadaster, en worden regelmatig bijgewerkt. Energielabelgegevens komen uit de database van de Rijksdienst voor Ondernemend Nederland (RVO).
