
Putterweg 66-45 is een adres in Garderen, dat zich bevindt binnen de gemeentegrenzen van Garderen en de grenzen van de provincie Gelderland. De oppervlakte van het object bedraagt 34 m². Dat is klein vergeleken met het Nederlandse gemiddelde. Het perceel waarop het adres ligt is 1,3 ha groot. Het adres is klein vergeleken met andere objecten in de straat. Het grootste object in de straat heeft een oppervlakte van 1735 m², het kleinste is 15 m² groot. Het pand waarin Putterweg 66-45 ligt is gebouwd in het jaar 1993. Panden die gebouwd zijn na het jaar 1984 noemen we hier relatief nieuw. In de straat komt het nieuwste gebouw uit het jaar 2024 en het oudste uit 1905. Het bouwjaar van dit object is relatief oud. Voor het verblijfsobject gelden deze gebruiksdoelen: 'logiesfunctie'.
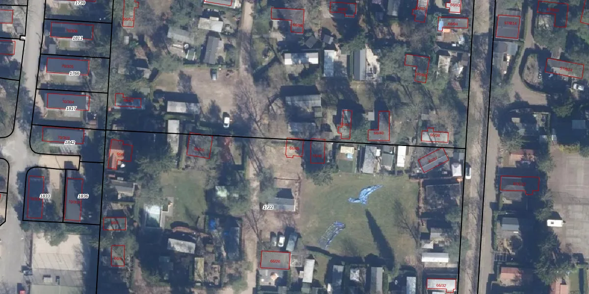
Het adres ligt op het perceel GDR03-A-1722, dat zich in de kadastrale gemeente Garderen bevindt. Het perceel is met 1,3 ha relatief groot. Het gemiddelde ligt in de kadastrale gemeente Garderen op 8768,93 m². Het kleinste perceel in de kadastrale gemeente is 0 m² groot. De grootste perceeloppervlakte is 1,18 km². Op het perceel zijn 38 adressen aanwezig. De huidige grenzen van het perceel zijn digitaal in de Basisregistratie Kadaster (BRK) geregistreerd op 04-07-2024.
Er is geen energielabel geregistreerd voor het adres. Het hoogste energielabel in de straat is A++; het laagste is G. Het gemiddelde energielabel is er D. Het adres Putterweg 66-45 heeft als status: 'verblijfsobject in gebruik'. Het pand waarin dit adres ligt heeft als status: 'pand in gebruik'.
Putterweg 66-45 is een adres gelegen in de gemeente Barneveld, provincie Gelderland. Dit adres is geregistreerd in de Basisregistratie Adressen en Gebouwen (BAG) met als unieke identificatie 0203010001002809.
Het pand op Putterweg 66-45 is gebouwd in 1993, wat betekent dat het 33 jaar oud is. Dit is een pand van middelbare leeftijd. Het pand is van gemiddelde leeftijd en zal waarschijnlijk verouderde elementen bevatten.
De woning op Putterweg 66-45 heeft een gebruiksoppervlakte van 34 m². Dit is relatief klein vergeleken met de gemiddelde Nederlandse woning, die een oppervlakte heeft van ongeveer 119 m². De gebruiksoppervlakte is de maat die wordt gebruikt in de BAG-registratie, de landelijke registratie van de Nederlandse overheid.
Putterweg 66-45 heeft als functie: logies/verblijf. Deze gebruiksfunctie(s) zijn vastgelegd in de BAG-registratie en geven aan waarvoor het adres officieel mag worden gebruikt.
Putterweg 66-45 is gelegen op kadastraal perceel GDR03A1722. Deze kadastrale aanduiding is uniek en wordt gebruikt door het Kadaster om eigendomsrechten en andere zakelijke rechten vast te leggen. Het perceel maakt onderdeel uit van de kadastrale gemeente Garderen.
Het perceel waarop Putterweg 66-45 staat heeft een oppervlakte van 1,3 ha. Dit is een zeer groot perceel. De perceeloppervlakte wordt geregistreerd door het Kadaster. Gedetailleerde informatie over de maten van dit perceel kunt u vinden in het rapport Kadastrale kaart met maatvoering van Putterweg 66-45.
De eigenaar van Putterweg 66-45 is op te vragen op deze pagina.
De informatie over dit adres is afkomstig uit officiële overheidsregistraties, voornamelijk de Basisregistratie Adressen en Gebouwen (BAG) en de Basisregistratie Kadaster (BRK). Deze gegevens worden beheerd door respectievelijk gemeenten en het Kadaster, en worden regelmatig bijgewerkt. Energielabelgegevens komen uit de database van de Rijksdienst voor Ondernemend Nederland (RVO).
