
Het adres Putterweg 66-35 bevindt zich in de plaats Garderen, in de gemeente Garderen en de provincie Gelderland. Het perceel waarop het adres gelegen is heeft een oppervlakte van 1,3 ha. Het verblijfsobject is met 53 m² relatief klein. Het object is klein ten opzichte van de andere adressen in de straat. Het grootste verblijfsobject is 1735 m² groot en het kleinste is 15 m². Het gebouw waarin Putterweg 66-35 ligt komt uit het jaar null. Objecten die gebouwd zijn vóór 1965 classificeren we hier als oud. Het gemiddelde bouwjaar in de straat is 1997 en dat van het nieuwste object 2024. In de straat is dit het oudste pand. Het verblijfsobject heeft de volgende gebruiksdoelen: 'standplaats'.
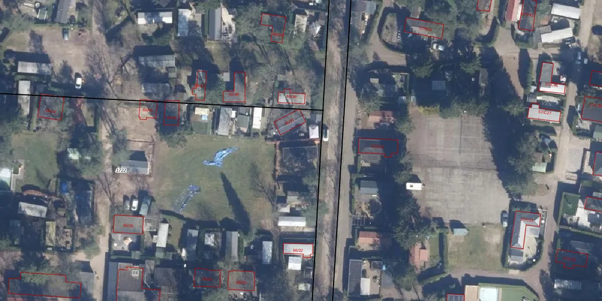
Het perceel waarop het adres ligt is GDR03-A-1722. De afkorting 'GDR03' staat voor kadastrale gemeente Garderen. De gemiddelde perceeloppervlakte in de kadastrale gemeente Garderen is 8643,19 m². Dit perceel is met zijn 1,3 ha dus groter dan gemiddeld. Het kleinste perceel in de kadastrale gemeente is 0 m² groot. De grootste perceeloppervlakte is 1,18 km². Er zijn 38 adressen aanwezig op het perceel. In de Basisregistratie Kadaster (BRK) werden de grenzen van het perceel geregistreerd op 04-07-2024.
Er is geen energielabel geregistreerd voor het adres. Het hoogste energielabel in de straat is A++; het laagste is G. Het gemiddelde energielabel is er D. Het adres Putterweg 66-35 heeft als status: 'plaats aangewezen'. Het pand waarin dit adres ligt heeft als status: 'undefined'.
Putterweg 66-35 is een adres gelegen in de gemeente Barneveld, provincie Gelderland. Dit adres is geregistreerd in de Basisregistratie Adressen en Gebouwen (BAG) met als unieke identificatie 0203030001019435.
De woning op Putterweg 66-35 heeft een gebruiksoppervlakte van 53 m². Dit is relatief klein vergeleken met de gemiddelde Nederlandse woning, die een oppervlakte heeft van ongeveer 119 m². De gebruiksoppervlakte is de maat die wordt gebruikt in de BAG-registratie, de landelijke registratie van de Nederlandse overheid.
Putterweg 66-35 heeft als functie: standplaats. Deze gebruiksfunctie(s) zijn vastgelegd in de BAG-registratie en geven aan waarvoor het adres officieel mag worden gebruikt.
Putterweg 66-35 is gelegen op kadastraal perceel GDR03A1722. Deze kadastrale aanduiding is uniek en wordt gebruikt door het Kadaster om eigendomsrechten en andere zakelijke rechten vast te leggen. Het perceel maakt onderdeel uit van de kadastrale gemeente Garderen.
Het perceel waarop Putterweg 66-35 staat heeft een oppervlakte van 1,3 ha. Dit is een zeer groot perceel. De perceeloppervlakte wordt geregistreerd door het Kadaster. Gedetailleerde informatie over de maten van dit perceel kunt u vinden in het rapport Kadastrale kaart met maatvoering van Putterweg 66-35.
De eigenaar van Putterweg 66-35 is op te vragen op deze pagina.
De informatie over dit adres is afkomstig uit officiële overheidsregistraties, voornamelijk de Basisregistratie Adressen en Gebouwen (BAG) en de Basisregistratie Kadaster (BRK). Deze gegevens worden beheerd door respectievelijk gemeenten en het Kadaster, en worden regelmatig bijgewerkt. Energielabelgegevens komen uit de database van de Rijksdienst voor Ondernemend Nederland (RVO).
