
Reinoutlaan 196 is gelegen in de plaats Geldrop, de gemeente Geldrop-Mierlo en de provincie Noord-Brabant. De oppervlakte van het object bedraagt 85 m². Dat is klein vergeleken met het Nederlandse gemiddelde. Het perceel waarop het adres ligt is 2820 m² groot. Het adres is klein vergeleken met andere objecten in de straat. Het grootste object in de straat heeft een oppervlakte van 195 m², het kleinste is 5 m² groot. In Nederland komt het grootste deel van de gebouwen uit de periode 1965-1984. Ook het bouwjaar van Reinoutlaan 196 is afkomstig uit die periode: het betreft namelijk een pand uit 1973. In de straat komt het nieuwste gebouw uit het jaar 1974 en het oudste uit 1972. Het bouwjaar van dit object is relatief oud. Het verblijfsobject heeft de volgende gebruiksdoelen: 'woonfunctie'.
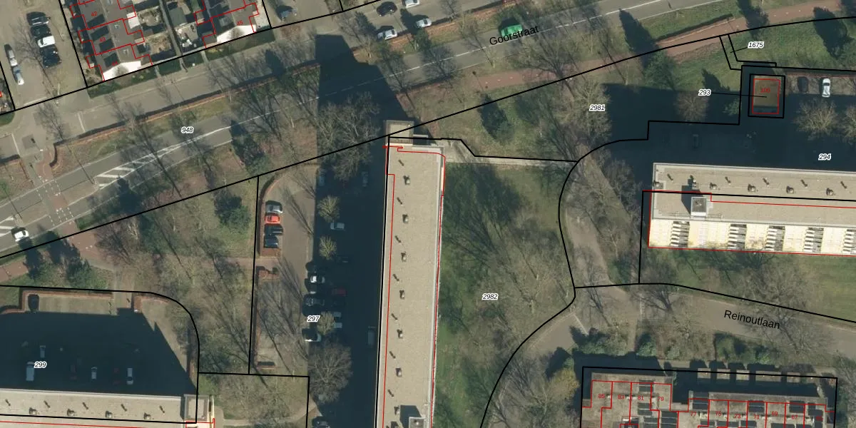
Het adres ligt op het perceel GDP00-F-2982, dat zich in de kadastrale gemeente Geldrop bevindt. De gemiddelde perceeloppervlakte in de kadastrale gemeente Geldrop is 1100,51 m². Dit perceel is met zijn 2820 m² dus groter dan gemiddeld. Het grootste perceel in de kadastrale gemeente is 51,6 ha. Het kleinste perceel heeft een oppervlakte van 0 m². Op het perceel zijn 55 adressen aanwezig. De laatste wijziging in het de Basisregistratie Kadaster (BRK) was op 01-12-2009.
Het adres ligt in een gebouw van het type 'flatwoning (overig) met het subtype tussendak'. Bij de laatste meting is voor het adres het energielabel A geregistreerd. Het hoogste energielabel in de straat is A; het laagste is G. Het gemiddelde energielabel is er B. Het adres Reinoutlaan 196 heeft als status: 'verblijfsobject in gebruik'. Het pand waarin dit adres ligt heeft als status: 'pand in gebruik'.
Reinoutlaan 196 is een adres gelegen in de gemeente Geldrop-Mierlo, provincie Noord-Brabant. Dit adres is geregistreerd in de Basisregistratie Adressen en Gebouwen (BAG) met als unieke identificatie 1771010000007269.
Het pand op Reinoutlaan 196 is gebouwd in 1973, wat betekent dat het 53 jaar oud is. Dit is een ouder pand. Het pand heeft mogelijk aanzienlijke renovaties nodig om aan de huidige standaarden te voldoen.
De woning op Reinoutlaan 196 heeft een gebruiksoppervlakte van 85 m². Dit is onder het gemiddelde vergeleken met de gemiddelde Nederlandse woning, die een oppervlakte heeft van ongeveer 119 m². De gebruiksoppervlakte is de maat die wordt gebruikt in de BAG-registratie, de landelijke registratie van de Nederlandse overheid.
Reinoutlaan 196 heeft als functie: wonen. Deze gebruiksfunctie(s) zijn vastgelegd in de BAG-registratie en geven aan waarvoor het adres officieel mag worden gebruikt.
Reinoutlaan 196 is gelegen op kadastraal perceel GDP00F2982. Deze kadastrale aanduiding is uniek en wordt gebruikt door het Kadaster om eigendomsrechten en andere zakelijke rechten vast te leggen. Het perceel maakt onderdeel uit van de kadastrale gemeente Geldrop.
Het perceel waarop Reinoutlaan 196 staat heeft een oppervlakte van 2820 m². Dit is een zeer groot perceel. De perceeloppervlakte wordt geregistreerd door het Kadaster. Gedetailleerde informatie over de maten van dit perceel kunt u vinden in het rapport Kadastrale kaart met maatvoering van Reinoutlaan 196.
De eigenaar van Reinoutlaan 196 is op te vragen op deze pagina.
De informatie over dit adres is afkomstig uit officiële overheidsregistraties, voornamelijk de Basisregistratie Adressen en Gebouwen (BAG) en de Basisregistratie Kadaster (BRK). Deze gegevens worden beheerd door respectievelijk gemeenten en het Kadaster, en worden regelmatig bijgewerkt. Energielabelgegevens komen uit de database van de Rijksdienst voor Ondernemend Nederland (RVO).
