
Wilgenhof 19 is een adres in Geldrop, dat zich bevindt binnen de gemeentegrenzen van Geldrop en de grenzen van de provincie Noord-Brabant. Het verblijfsobject is vergeleken met het Nederlandse gemiddelde aan de kleine kant: de oppervlakte is 20 m². Het perceel waarop het adres zich bevindt heeft een oppervlakte van 2940 m². Er zijn geen kleinere objecten in deze straat. De gemiddelde oppervlakte is er 66 m². Het grootste verblijfsobject is 96 m². In Nederland komt het grootste deel van de gebouwen uit de periode 1965-1984. Ook het bouwjaar van Wilgenhof 19 is afkomstig uit die periode: het betreft namelijk een pand uit 1967. Dit pand is het meest recent exemplaar in de straat. Het oudste object komt er uit 1967 en het gemiddelde bouwjaar is 1967. De volgende gebruiksdoelen zijn geregistreerd voor dit adres: 'overige gebruiksfunctie'.
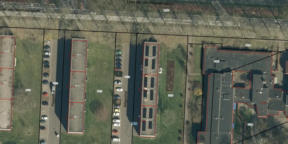
Het adres ligt op het perceel GDP00-D-3170, dat zich in de kadastrale gemeente Geldrop bevindt. De oppervlakte van het perceel is 2940 m². Dat is groter dan gemiddeld in Geldrop, waar de gemiddelde perceeloppervlakte op 1100,97 m² ligt. Het grootste perceel in de kadastrale gemeente is 51,6 ha. Het kleinste perceel heeft een oppervlakte van 0 m². Op het perceel liggen in totaal 30 adressen. De huidige grenzen van het perceel zijn digitaal in de Basisregistratie Kadaster (BRK) geregistreerd op 09-06-2009.
Er is geen energielabel geregistreerd voor het adres. Het hoogste energielabel in de straat is A; het laagste is G. Het gemiddelde energielabel is er B. Het adres Wilgenhof 19 heeft als status: 'verblijfsobject in gebruik'. Het pand waarin dit adres ligt heeft als status: 'pand in gebruik'.
Wilgenhof 19 is een adres gelegen in de gemeente Geldrop-Mierlo, provincie Noord-Brabant. Dit adres is geregistreerd in de Basisregistratie Adressen en Gebouwen (BAG) met als unieke identificatie 1771010000003668.
Het pand op Wilgenhof 19 is gebouwd in 1967, wat betekent dat het 59 jaar oud is. Dit is een ouder pand. Het pand heeft mogelijk aanzienlijke renovaties nodig om aan de huidige standaarden te voldoen.
De woning op Wilgenhof 19 heeft een gebruiksoppervlakte van 20 m². Dit is relatief klein vergeleken met de gemiddelde Nederlandse woning, die een oppervlakte heeft van ongeveer 119 m². De gebruiksoppervlakte is de maat die wordt gebruikt in de BAG-registratie, de landelijke registratie van de Nederlandse overheid.
Wilgenhof 19 heeft als functie: overige doeleinden. Deze gebruiksfunctie(s) zijn vastgelegd in de BAG-registratie en geven aan waarvoor het adres officieel mag worden gebruikt.
Wilgenhof 19 is gelegen op kadastraal perceel GDP00D3170. Deze kadastrale aanduiding is uniek en wordt gebruikt door het Kadaster om eigendomsrechten en andere zakelijke rechten vast te leggen. Het perceel maakt onderdeel uit van de kadastrale gemeente Geldrop.
Het perceel waarop Wilgenhof 19 staat heeft een oppervlakte van 2940 m². Dit is een zeer groot perceel. De perceeloppervlakte wordt geregistreerd door het Kadaster. Gedetailleerde informatie over de maten van dit perceel kunt u vinden in het rapport Kadastrale kaart met maatvoering van Wilgenhof 19.
De eigenaar van Wilgenhof 19 is op te vragen op deze pagina.
De informatie over dit adres is afkomstig uit officiële overheidsregistraties, voornamelijk de Basisregistratie Adressen en Gebouwen (BAG) en de Basisregistratie Kadaster (BRK). Deze gegevens worden beheerd door respectievelijk gemeenten en het Kadaster, en worden regelmatig bijgewerkt. Energielabelgegevens komen uit de database van de Rijksdienst voor Ondernemend Nederland (RVO).
