
Van Banninglaan 16 is gelegen in de plaats Geleen, de gemeente Sittard-Geleen en de provincie Limburg. De oppervlakte van het object bedraagt 86 m². Dat is klein vergeleken met het Nederlandse gemiddelde. Het perceel waarop het adres ligt is 1305 m² groot. Het object is klein ten opzichte van de andere adressen in de straat. Het grootste verblijfsobject is 199 m² groot en het kleinste is 12 m². De gemiddelde bouwperiode van gebouwen in Nederland ligt tussen de jaren 1965-1984. Dat geldt ook voor het bouwjaar van Van Banninglaan 16: het is gebouwd in het jaar 1977. In de straat komt het nieuwste gebouw uit het jaar 2013 en het oudste uit 1976. Het bouwjaar van dit object is relatief oud. Het verblijfsobject heeft de volgende gebruiksdoelen: 'woonfunctie'.
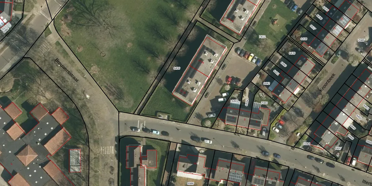
Het perceel waarop het adres ligt is GLN00-B-6406. De afkorting 'GLN00' staat voor kadastrale gemeente Geleen. Het perceel is kleiner dan gemiddeld in Geleen. Het perceel is 1305 m² groot, terwijl het gemiddelde ligt op 1689,01 m². Het kleinste perceel in de kadastrale gemeente is 0 m² groot. De grootste perceeloppervlakte is 85,2 ha. Op het perceel zijn 12 adressen aanwezig. De laatste wijziging in het de Basisregistratie Kadaster (BRK) was op 27-10-2011.
Het adres ligt in een gebouw van het type 'flatwoning (overig) met het subtype hoekdak'. Bij de laatste meting is voor het adres het energielabel C geregistreerd. Het hoogste energielabel in de straat is B; het laagste is G. Het gemiddelde energielabel is er C. Het adres Van Banninglaan 16 heeft als status: 'verblijfsobject in gebruik'. Het pand waarin dit adres ligt heeft als status: 'pand in gebruik'.
Van Banninglaan 16 is een adres gelegen in de gemeente Sittard-Geleen, provincie Limburg. Dit adres is geregistreerd in de Basisregistratie Adressen en Gebouwen (BAG) met als unieke identificatie 1883010000049442.
Het pand op Van Banninglaan 16 is gebouwd in 1977, wat betekent dat het 49 jaar oud is. Dit is een pand van middelbare leeftijd. Het pand is van gemiddelde leeftijd en zal waarschijnlijk verouderde elementen bevatten.
De woning op Van Banninglaan 16 heeft een gebruiksoppervlakte van 86 m². Dit is onder het gemiddelde vergeleken met de gemiddelde Nederlandse woning, die een oppervlakte heeft van ongeveer 119 m². De gebruiksoppervlakte is de maat die wordt gebruikt in de BAG-registratie, de landelijke registratie van de Nederlandse overheid.
Van Banninglaan 16 heeft als functie: wonen. Deze gebruiksfunctie(s) zijn vastgelegd in de BAG-registratie en geven aan waarvoor het adres officieel mag worden gebruikt.
Van Banninglaan 16 is gelegen op kadastraal perceel GLN00B6406. Deze kadastrale aanduiding is uniek en wordt gebruikt door het Kadaster om eigendomsrechten en andere zakelijke rechten vast te leggen. Het perceel maakt onderdeel uit van de kadastrale gemeente Geleen.
Het perceel waarop Van Banninglaan 16 staat heeft een oppervlakte van 1305 m². Dit is een zeer groot perceel. De perceeloppervlakte wordt geregistreerd door het Kadaster. Gedetailleerde informatie over de maten van dit perceel kunt u vinden in het rapport Kadastrale kaart met maatvoering van Van Banninglaan 16.
De eigenaar van Van Banninglaan 16 is op te vragen op deze pagina.
De informatie over dit adres is afkomstig uit officiële overheidsregistraties, voornamelijk de Basisregistratie Adressen en Gebouwen (BAG) en de Basisregistratie Kadaster (BRK). Deze gegevens worden beheerd door respectievelijk gemeenten en het Kadaster, en worden regelmatig bijgewerkt. Energielabelgegevens komen uit de database van de Rijksdienst voor Ondernemend Nederland (RVO).
