
Kruisstraat 16 is een adres in Gendt, dat zich bevindt binnen de gemeentegrenzen van Gendt en de grenzen van de provincie Gelderland. De oppervlakte van het verblijfsobject is met 238 m² aan de grote kant. Het perceel heeft een oppervlakte van 2140 m². Vergeleken met de andere verblijfsobjecten in de straat is dit object groot. De oppervlakte van het grootste object in de straat is 1531 m², die van het kleinste bedraagt 41 m². De meeste Nederlandse gebouwen zijn gebouwd in de periode 1965-1984. Zo ook het pand waarin Kruisstraat 16 ligt, dat gebouwd is in 1969. Het nieuwste gebouw in de straat komt uit 2025 en het oudste uit 1920. Dit object is relatief oud. Voor het verblijfsobject gelden deze gebruiksdoelen: 'woonfunctie' en 'industriefunctie'.
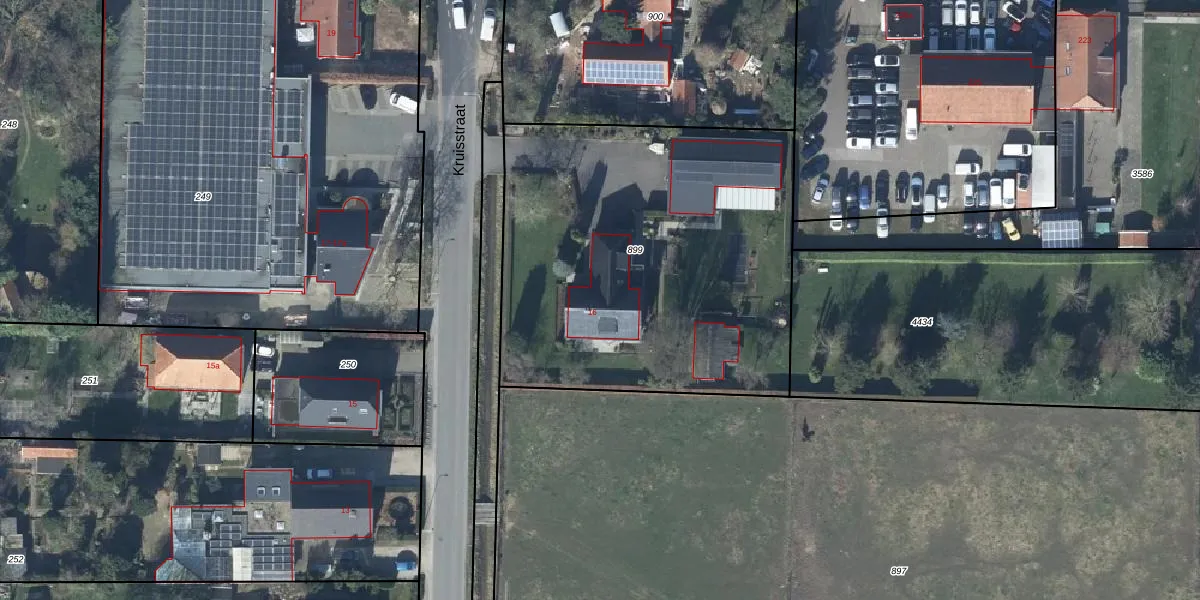
Het adres is gelegen op perceel 899 in de sectie E en de kadastrale gemeente Gendt. De kadastrale aanduiding is aldus GEN00-E-899. De gemiddelde perceelgrootte in Gendt is 3646,28 m². Dit perceel is kleiner: de perceeloppervlakte bedraagt 2140 m². De grootste perceeloppervlakte in de kadastrale gemeente is 87,0 ha. De kleinste oppervlakte bedraagt 0 m². Op het perceel bevinden zich geen andere adressen. De huidige grenzen van het perceel zijn digitaal in de Basisregistratie Kadaster (BRK) geregistreerd op 18-02-2013.
Er is geen energielabel geregistreerd voor het adres. Het hoogste energielabel in de straat is A; het laagste is G. Het gemiddelde energielabel is er C. Het adres Kruisstraat 16 heeft als status: 'verblijfsobject in gebruik'. Het pand waarin dit adres ligt heeft als status: 'pand in gebruik'.
Kruisstraat 16 is een adres gelegen in de gemeente Lingewaard, provincie Gelderland. Dit adres is geregistreerd in de Basisregistratie Adressen en Gebouwen (BAG) met als unieke identificatie 1705010000027608.
Het pand op Kruisstraat 16 is gebouwd in 1969, wat betekent dat het 57 jaar oud is. Dit is een ouder pand. Het pand heeft mogelijk aanzienlijke renovaties nodig om aan de huidige standaarden te voldoen.
De woning op Kruisstraat 16 heeft een gebruiksoppervlakte van 238 m². Dit is ruim vergeleken met de gemiddelde Nederlandse woning, die een oppervlakte heeft van ongeveer 119 m². De gebruiksoppervlakte is de maat die wordt gebruikt in de BAG-registratie, de landelijke registratie van de Nederlandse overheid.
Kruisstraat 16 heeft als functie: wonen en industrie. Deze gebruiksfunctie(s) zijn vastgelegd in de BAG-registratie en geven aan waarvoor het adres officieel mag worden gebruikt.
Kruisstraat 16 is gelegen op kadastraal perceel GEN00E899. Deze kadastrale aanduiding is uniek en wordt gebruikt door het Kadaster om eigendomsrechten en andere zakelijke rechten vast te leggen. Het perceel maakt onderdeel uit van de kadastrale gemeente Gendt.
Het perceel waarop Kruisstraat 16 staat heeft een oppervlakte van 2140 m². Dit is een zeer groot perceel. De perceeloppervlakte wordt geregistreerd door het Kadaster. Gedetailleerde informatie over de maten van dit perceel kunt u vinden in het rapport Kadastrale kaart met maatvoering van Kruisstraat 16.
De eigenaar van Kruisstraat 16 is op te vragen op deze pagina.
De informatie over dit adres is afkomstig uit officiële overheidsregistraties, voornamelijk de Basisregistratie Adressen en Gebouwen (BAG) en de Basisregistratie Kadaster (BRK). Deze gegevens worden beheerd door respectievelijk gemeenten en het Kadaster, en worden regelmatig bijgewerkt. Energielabelgegevens komen uit de database van de Rijksdienst voor Ondernemend Nederland (RVO).
