
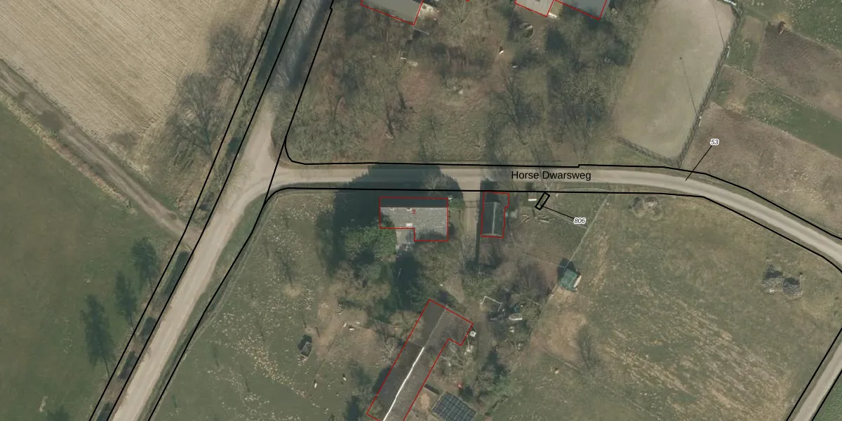
Horse Dwarsweg 2 is gelegen in de plaats Gennep, de gemeente Gennep en de provincie Limburg. De oppervlakte bedraagt 315 m², waarmee het adres groter dan gemiddeld is. De grootte van het perceel waarop het adres ligt is 3,0 ha. In de straat is dit het adres met de grootste oppervlakte. De objecten in de straat zijn gemiddeld 315 m² groot. Het kleinste verblijfsobject heeft een oppervlakte van 315 m². Horse Dwarsweg 2 bevindt zich in een pand uit het jaar 1930. Daarmee behoort het tot de groep relatief oude panden in Nederland die gebouwd zijn vóór 1965. In de straat is dit het nieuwste pand en stamt het oudste object uit het jaar 1930. Het gemiddelde bouwjaar in de straat is 1930. Voor het verblijfsobject gelden deze gebruiksdoelen: 'woonfunctie'.
Het perceel waarop het adres ligt is GNP00-C-1355. De afkorting 'GNP00' staat voor kadastrale gemeente Gennep. Het perceel is met 3,0 ha relatief groot. Het gemiddelde ligt in de kadastrale gemeente Gennep op 3614,05 m². Het grootste perceel in de kadastrale gemeente is 54,6 ha. Het kleinste perceel heeft een oppervlakte van 0 m². Er zijn geen andere adressen aanwezig op het perceel. De laatste wijziging in het de Basisregistratie Kadaster (BRK) was op 06-12-2007.
Er is geen energielabel geregistreerd voor het adres. Het hoogste energielabel in de straat is G; het laagste is G. Het gemiddelde energielabel is er G. Het adres Horse Dwarsweg 2 heeft als status: 'verblijfsobject in gebruik'. Het pand waarin dit adres ligt heeft als status: 'pand in gebruik'.
Horse Dwarsweg 2 is een adres gelegen in de gemeente Gennep, provincie Limburg. Dit adres is geregistreerd in de Basisregistratie Adressen en Gebouwen (BAG) met als unieke identificatie 0907010000011503.
Het pand op Horse Dwarsweg 2 is gebouwd in 1930, wat betekent dat het 96 jaar oud is. Dit is een ouder pand. Het pand heeft mogelijk aanzienlijke renovaties nodig om aan de huidige standaarden te voldoen.
De woning op Horse Dwarsweg 2 heeft een gebruiksoppervlakte van 315 m². Dit is ruim vergeleken met de gemiddelde Nederlandse woning, die een oppervlakte heeft van ongeveer 119 m². De gebruiksoppervlakte is de maat die wordt gebruikt in de BAG-registratie, de landelijke registratie van de Nederlandse overheid.
Horse Dwarsweg 2 heeft als functie: wonen. Deze gebruiksfunctie(s) zijn vastgelegd in de BAG-registratie en geven aan waarvoor het adres officieel mag worden gebruikt.
Horse Dwarsweg 2 is gelegen op kadastraal perceel GNP00C1355. Deze kadastrale aanduiding is uniek en wordt gebruikt door het Kadaster om eigendomsrechten en andere zakelijke rechten vast te leggen. Het perceel maakt onderdeel uit van de kadastrale gemeente Gennep.
Het perceel waarop Horse Dwarsweg 2 staat heeft een oppervlakte van 3,0 ha. Dit is een zeer groot perceel. De perceeloppervlakte wordt geregistreerd door het Kadaster. Gedetailleerde informatie over de maten van dit perceel kunt u vinden in het rapport Kadastrale kaart met maatvoering van Horse Dwarsweg 2.
De eigenaar van Horse Dwarsweg 2 is op te vragen op deze pagina.
De informatie over dit adres is afkomstig uit officiële overheidsregistraties, voornamelijk de Basisregistratie Adressen en Gebouwen (BAG) en de Basisregistratie Kadaster (BRK). Deze gegevens worden beheerd door respectievelijk gemeenten en het Kadaster, en worden regelmatig bijgewerkt. Energielabelgegevens komen uit de database van de Rijksdienst voor Ondernemend Nederland (RVO).
