
Hulserstraat 35-f is gelegen in de plaats Geulle, de gemeente Meerssen en de provincie Limburg. De oppervlakte van het object bedraagt 39 m². Dat is klein vergeleken met het Nederlandse gemiddelde. Het perceel waarop het adres ligt is 3375 m² groot. Het object is klein ten opzichte van de andere adressen in de straat. Het grootste verblijfsobject is 1112 m² groot en het kleinste is 9 m². Het adres Hulserstraat 35-f ligt in een relatief oud pand uit het jaar 1939. Panden van vóór het jaar 1965 hebben we hier geclassificeerd als oud. In de straat komt het nieuwste gebouw uit het jaar 2023 en het oudste uit 1870. Het bouwjaar van dit object is relatief oud. Het verblijfsobject heeft de volgende gebruiksdoelen: 'logiesfunctie'.
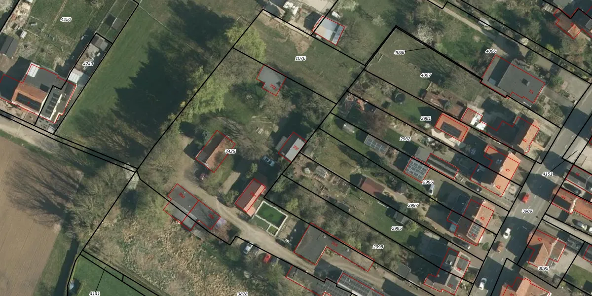
Het perceel waarop het adres ligt is GLE02-B-3425. De afkorting 'GLE02' staat voor kadastrale gemeente Geulle. De gemiddelde perceeloppervlakte in de kadastrale gemeente Geulle is 2578,45 m². Dit perceel is met zijn 3375 m² dus groter dan gemiddeld. De grootste perceeloppervlakte in de kadastrale gemeente is 34,5 ha. De kleinste oppervlakte bedraagt 0 m². Op het perceel zijn 10 adressen aanwezig. De laatste wijziging in het de Basisregistratie Kadaster (BRK) was op 14-08-2007.
Er is geen energielabel geregistreerd voor het adres. Het hoogste energielabel in de straat is A+; het laagste is G. Het gemiddelde energielabel is er D. Het adres Hulserstraat 35-f heeft als status: 'verblijfsobject in gebruik'. Het pand waarin dit adres ligt heeft als status: 'pand in gebruik'.
Hulserstraat 35-f is een adres gelegen in de gemeente Meerssen, provincie Limburg. Dit adres is geregistreerd in de Basisregistratie Adressen en Gebouwen (BAG) met als unieke identificatie 0938010000032392.
Het pand op Hulserstraat 35-f is gebouwd in 1939, wat betekent dat het 87 jaar oud is. Dit is een ouder pand. Het pand heeft mogelijk aanzienlijke renovaties nodig om aan de huidige standaarden te voldoen.
De woning op Hulserstraat 35-f heeft een gebruiksoppervlakte van 39 m². Dit is relatief klein vergeleken met de gemiddelde Nederlandse woning, die een oppervlakte heeft van ongeveer 119 m². De gebruiksoppervlakte is de maat die wordt gebruikt in de BAG-registratie, de landelijke registratie van de Nederlandse overheid.
Hulserstraat 35-f heeft als functie: logies/verblijf. Deze gebruiksfunctie(s) zijn vastgelegd in de BAG-registratie en geven aan waarvoor het adres officieel mag worden gebruikt.
Hulserstraat 35-f is gelegen op kadastraal perceel GLE02B3425. Deze kadastrale aanduiding is uniek en wordt gebruikt door het Kadaster om eigendomsrechten en andere zakelijke rechten vast te leggen. Het perceel maakt onderdeel uit van de kadastrale gemeente Geulle.
Het perceel waarop Hulserstraat 35-f staat heeft een oppervlakte van 3375 m². Dit is een zeer groot perceel. De perceeloppervlakte wordt geregistreerd door het Kadaster. Gedetailleerde informatie over de maten van dit perceel kunt u vinden in het rapport Kadastrale kaart met maatvoering van Hulserstraat 35-f.
De eigenaar van Hulserstraat 35-f is op te vragen op deze pagina.
De informatie over dit adres is afkomstig uit officiële overheidsregistraties, voornamelijk de Basisregistratie Adressen en Gebouwen (BAG) en de Basisregistratie Kadaster (BRK). Deze gegevens worden beheerd door respectievelijk gemeenten en het Kadaster, en worden regelmatig bijgewerkt. Energielabelgegevens komen uit de database van de Rijksdienst voor Ondernemend Nederland (RVO).
