
Uitmaat 12 is gelegen in de plaats Giesbeek, de gemeente Zevenaar en de provincie Gelderland. De oppervlakte van het verblijfsobject is met 236 m² aan de grote kant. Het perceel heeft een oppervlakte van 300 m². Het adres is klein vergeleken met andere objecten in de straat. Het grootste object in de straat heeft een oppervlakte van 4976 m², het kleinste is 80 m² groot. In het jaar 1999 is het pand waarin Uitmaat 12 ligt gebouwd. Dat is relatief recent: de meeste gebouwen in Nederland zijn gebouwd in de periode 1965-1984. Dit object is relatief nieuw in de straat. Het nieuwste gebouw komt er uit het jaar 2023 en het oudste uit het jaar 1993. De volgende gebruiksdoelen zijn geregistreerd voor dit adres: 'industriefunctie'.
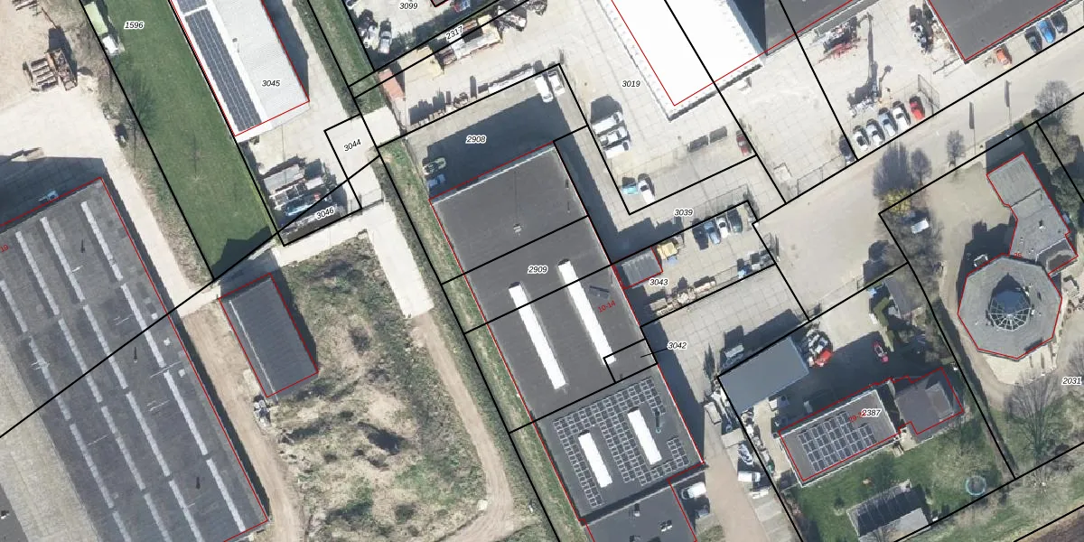
Het adres ligt op het perceel BAH00-E-2909, dat zich in de kadastrale gemeente Bahr en Lathum bevindt. Het perceel is 300 m² groot. Dat is kleiner dan de gemiddelde perceeloppervlakte in Bahr en Lathum, dat op 4543,69 m² ligt. De grootste perceeloppervlakte in de kadastrale gemeente is 63,9 ha. De kleinste oppervlakte bedraagt 0 m². Op het perceel bevinden zich geen andere adressen. De laatste wijziging in het de Basisregistratie Kadaster (BRK) was op 06-10-2020.
Er is geen energielabel geregistreerd voor het adres. Het hoogste energielabel in de straat is A+++++; het laagste is G. Het gemiddelde energielabel is er A+. Het adres Uitmaat 12 heeft als status: 'verblijfsobject in gebruik'. Het pand waarin dit adres ligt heeft als status: 'pand in gebruik'.
Uitmaat 12 is een adres gelegen in de gemeente Zevenaar, provincie Gelderland. Dit adres is geregistreerd in de Basisregistratie Adressen en Gebouwen (BAG) met als unieke identificatie 0299010000454788.
Het pand op Uitmaat 12 is gebouwd in 1999, wat betekent dat het 27 jaar oud is. Dit is een pand van middelbare leeftijd. Het pand is van gemiddelde leeftijd en zal waarschijnlijk verouderde elementen bevatten.
De woning op Uitmaat 12 heeft een gebruiksoppervlakte van 236 m². Dit is ruim vergeleken met de gemiddelde Nederlandse woning, die een oppervlakte heeft van ongeveer 119 m². De gebruiksoppervlakte is de maat die wordt gebruikt in de BAG-registratie, de landelijke registratie van de Nederlandse overheid.
Uitmaat 12 heeft als functie: industrie. Deze gebruiksfunctie(s) zijn vastgelegd in de BAG-registratie en geven aan waarvoor het adres officieel mag worden gebruikt.
Uitmaat 12 is gelegen op kadastraal perceel BAH00E2909. Deze kadastrale aanduiding is uniek en wordt gebruikt door het Kadaster om eigendomsrechten en andere zakelijke rechten vast te leggen. Het perceel maakt onderdeel uit van de kadastrale gemeente Bahr en Lathum.
Het perceel waarop Uitmaat 12 staat heeft een oppervlakte van 300 m². Dit is een groot perceel. De perceeloppervlakte wordt geregistreerd door het Kadaster. Gedetailleerde informatie over de maten van dit perceel kunt u vinden in het rapport Kadastrale kaart met maatvoering van Uitmaat 12.
De eigenaar van Uitmaat 12 is op te vragen op deze pagina.
De informatie over dit adres is afkomstig uit officiële overheidsregistraties, voornamelijk de Basisregistratie Adressen en Gebouwen (BAG) en de Basisregistratie Kadaster (BRK). Deze gegevens worden beheerd door respectievelijk gemeenten en het Kadaster, en worden regelmatig bijgewerkt. Energielabelgegevens komen uit de database van de Rijksdienst voor Ondernemend Nederland (RVO).
