
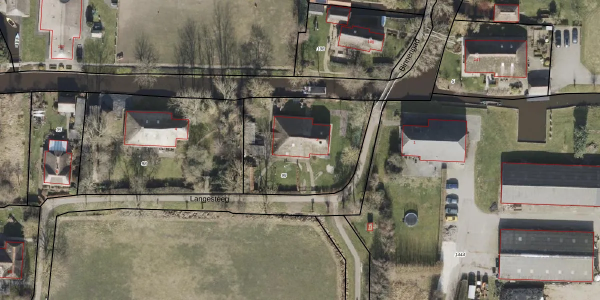
Langesteeg 2 is een adres in Giethoorn, dat zich bevindt binnen de gemeentegrenzen van Giethoorn en de grenzen van de provincie Overijssel. De oppervlakte bedraagt 290 m², waarmee het adres groter dan gemiddeld is. De grootte van het perceel waarop het adres ligt is 1253 m². De oppervlakte van dit adres is groot vergeleken met de oppervlaktes van andere adressen in de straat. De kleinste oppervlakte bedraagt er 4 m², de grootste 485 m². Langesteeg 2 bevindt zich in een pand uit het jaar 1920. Daarmee behoort het tot de groep relatief oude panden in Nederland die gebouwd zijn vóór 1965. In de straat komt het nieuwste gebouw uit het jaar 2011 en het oudste uit 1880. Het bouwjaar van dit object is relatief oud. Voor het verblijfsobject gelden deze gebruiksdoelen: 'woonfunctie'.
Het adres ligt op het perceel BDW00-B-99, dat zich in de kadastrale gemeente Brederwiede bevindt. De gemiddelde perceelgrootte in Brederwiede is 1,0 ha. Dit perceel is kleiner: de perceeloppervlakte bedraagt 1253 m². Het grootste perceel in de kadastrale gemeente is 1,23 km². Het kleinste perceel heeft een oppervlakte van 0 m². Er zijn geen andere adressen aanwezig op het perceel. De huidige grenzen van het perceel zijn digitaal in de Basisregistratie Kadaster (BRK) geregistreerd op 15-01-2002.
Er is geen energielabel geregistreerd voor het adres. Het hoogste energielabel in de straat is B; het laagste is G. Het gemiddelde energielabel is er D. Het adres Langesteeg 2 heeft als status: 'verblijfsobject in gebruik'. Het pand waarin dit adres ligt heeft als status: 'pand in gebruik'.
Langesteeg 2 is een adres gelegen in de gemeente Steenwijkerland, provincie Overijssel. Dit adres is geregistreerd in de Basisregistratie Adressen en Gebouwen (BAG) met als unieke identificatie 1708010000001529.
Het pand op Langesteeg 2 is gebouwd in 1920, wat betekent dat het 106 jaar oud is. Dit is een ouder pand. Het pand heeft mogelijk aanzienlijke renovaties nodig om aan de huidige standaarden te voldoen.
De woning op Langesteeg 2 heeft een gebruiksoppervlakte van 290 m². Dit is ruim vergeleken met de gemiddelde Nederlandse woning, die een oppervlakte heeft van ongeveer 119 m². De gebruiksoppervlakte is de maat die wordt gebruikt in de BAG-registratie, de landelijke registratie van de Nederlandse overheid.
Langesteeg 2 heeft als functie: wonen. Deze gebruiksfunctie(s) zijn vastgelegd in de BAG-registratie en geven aan waarvoor het adres officieel mag worden gebruikt.
Langesteeg 2 is gelegen op kadastraal perceel BDW00B99. Deze kadastrale aanduiding is uniek en wordt gebruikt door het Kadaster om eigendomsrechten en andere zakelijke rechten vast te leggen. Het perceel maakt onderdeel uit van de kadastrale gemeente Brederwiede.
Het perceel waarop Langesteeg 2 staat heeft een oppervlakte van 1253 m². Dit is een zeer groot perceel. De perceeloppervlakte wordt geregistreerd door het Kadaster. Gedetailleerde informatie over de maten van dit perceel kunt u vinden in het rapport Kadastrale kaart met maatvoering van Langesteeg 2.
De eigenaar van Langesteeg 2 is op te vragen op deze pagina.
De informatie over dit adres is afkomstig uit officiële overheidsregistraties, voornamelijk de Basisregistratie Adressen en Gebouwen (BAG) en de Basisregistratie Kadaster (BRK). Deze gegevens worden beheerd door respectievelijk gemeenten en het Kadaster, en worden regelmatig bijgewerkt. Energielabelgegevens komen uit de database van de Rijksdienst voor Ondernemend Nederland (RVO).
