
Het adres Valenbraak 12 bevindt zich in de plaats Gilze, in de gemeente Gilze en de provincie Noord-Brabant. Het perceel waarop het verblijfsobject staat is 4170 m² groot. De oppervlakte van het adres is 102 m², wat zich rond het Nederlandse gemiddelde van 119 m² bevindt. In de straat is dit het kleinste object. Het grootste verblijfsobject heeft een oppervlakte van 255 m². De gemiddelde grootte is er 124 m². In Nederland komt het grootste deel van de gebouwen uit de periode 1965-1984. Ook het bouwjaar van Valenbraak 12 is afkomstig uit die periode: het betreft namelijk een pand uit 1970. Dit is het oudste object in de straat. Het nieuwste pand komt uit 1989 en het gemiddelde bouwjaar in de straat is 1973. Het verblijfsobject heeft de volgende gebruiksdoelen: 'woonfunctie'.
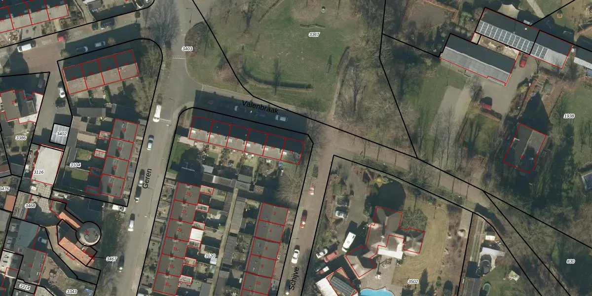
Het perceel waarop het adres ligt is GZE00-K-3120. De afkorting 'GZE00' staat voor kadastrale gemeente Gilze en Rijen. Het perceel is kleiner dan gemiddeld in Gilze en Rijen. Het perceel is 4170 m² groot, terwijl het gemiddelde ligt op 4448,22 m². Het grootste perceel in de kadastrale gemeente is 2,16 km². Het kleinste perceel heeft een oppervlakte van 0 m². Op het perceel zijn 24 adressen aanwezig. In de Basisregistratie Kadaster (BRK) werden de grenzen van het perceel geregistreerd op 21-05-2007.
Het adres ligt in een gebouw van het type 'rijwoning hoek'. Bij de laatste meting is voor het adres het energielabel B geregistreerd. Het hoogste energielabel in de straat is B; het laagste is G. Het gemiddelde energielabel is er C. Het adres Valenbraak 12 heeft als status: 'verblijfsobject in gebruik'. Het pand waarin dit adres ligt heeft als status: 'pand in gebruik'.
Valenbraak 12 is een adres gelegen in de gemeente Gilze en Rijen, provincie Noord-Brabant. Dit adres is geregistreerd in de Basisregistratie Adressen en Gebouwen (BAG) met als unieke identificatie 0784010000001550.
Het pand op Valenbraak 12 is gebouwd in 1970, wat betekent dat het 56 jaar oud is. Dit is een ouder pand. Het pand heeft mogelijk aanzienlijke renovaties nodig om aan de huidige standaarden te voldoen.
De woning op Valenbraak 12 heeft een gebruiksoppervlakte van 102 m². Dit is onder het gemiddelde vergeleken met de gemiddelde Nederlandse woning, die een oppervlakte heeft van ongeveer 119 m². De gebruiksoppervlakte is de maat die wordt gebruikt in de BAG-registratie, de landelijke registratie van de Nederlandse overheid.
Valenbraak 12 heeft als functie: wonen. Deze gebruiksfunctie(s) zijn vastgelegd in de BAG-registratie en geven aan waarvoor het adres officieel mag worden gebruikt.
Valenbraak 12 is gelegen op kadastraal perceel GZE00K3120. Deze kadastrale aanduiding is uniek en wordt gebruikt door het Kadaster om eigendomsrechten en andere zakelijke rechten vast te leggen. Het perceel maakt onderdeel uit van de kadastrale gemeente Gilze en Rijen.
Het perceel waarop Valenbraak 12 staat heeft een oppervlakte van 4170 m². Dit is een zeer groot perceel. De perceeloppervlakte wordt geregistreerd door het Kadaster. Gedetailleerde informatie over de maten van dit perceel kunt u vinden in het rapport Kadastrale kaart met maatvoering van Valenbraak 12.
De eigenaar van Valenbraak 12 is op te vragen op deze pagina.
De informatie over dit adres is afkomstig uit officiële overheidsregistraties, voornamelijk de Basisregistratie Adressen en Gebouwen (BAG) en de Basisregistratie Kadaster (BRK). Deze gegevens worden beheerd door respectievelijk gemeenten en het Kadaster, en worden regelmatig bijgewerkt. Energielabelgegevens komen uit de database van de Rijksdienst voor Ondernemend Nederland (RVO).
