
Het adres Patijnweg 24 bevindt zich in de plaats Goes, in de gemeente Goes en de provincie Zeeland. De oppervlakte bedraagt 252 m², waarmee het adres groter dan gemiddeld is. De grootte van het perceel waarop het adres ligt is 511 m². In vergelijking met de andere adressen in de straat is de oppervlakte van dit object relatief groot. Het grootste verblijfsobject heeft een oppervlakte van 350 m², de oppervlakte van het kleinste object bedraagt 31 m². Het gebouw waarin Patijnweg 24 ligt komt uit het jaar 1937. Objecten die gebouwd zijn vóór 1965 classificeren we hier als oud. Veel andere gebouwen in de straat zijn ouder dan dit pand. Het oudste pand komt uit het jaar 1926 en het nieuwste uit 1967. De volgende gebruiksdoelen zijn geregistreerd voor dit adres: 'woonfunctie'.
Deze woning is voor het laatst verkocht op 1 juni 2004. Meer informatie over deze transactie? Bestel het Woningtransactierapport om de verkoopprijs en andere informatie te zien.
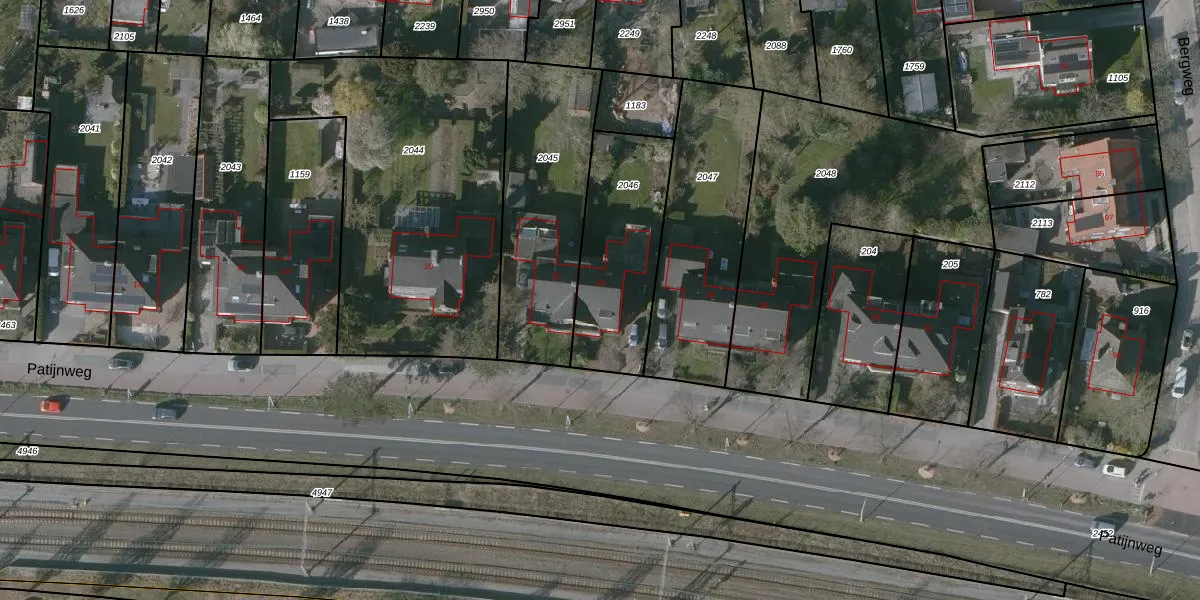
Het perceel waarop het adres ligt is GOE00-F-2046. De afkorting 'GOE00' staat voor kadastrale gemeente Goes. Het perceel is 511 m² groot. Dat is kleiner dan de gemiddelde perceeloppervlakte in Goes, dat op 4808,17 m² ligt. Het kleinste perceel in de kadastrale gemeente is 0 m² groot. De grootste perceeloppervlakte is 2,77 km². Er zijn geen andere adressen aanwezig op het perceel. In de Basisregistratie Kadaster (BRK) werden de grenzen van het perceel geregistreerd op 28-04-2000.
Er is geen energielabel geregistreerd voor het adres. Het hoogste energielabel in de straat is A; het laagste is G. Het gemiddelde energielabel is er D. Het adres Patijnweg 24 heeft als status: 'verblijfsobject in gebruik'. Het pand waarin dit adres ligt heeft als status: 'pand in gebruik'.
Patijnweg 24 is een adres gelegen in de gemeente Goes, provincie Zeeland. Dit adres is geregistreerd in de Basisregistratie Adressen en Gebouwen (BAG) met als unieke identificatie 0664010000012597.
Het pand op Patijnweg 24 is gebouwd in 1937, wat betekent dat het 89 jaar oud is. Dit is een ouder pand. Het pand heeft mogelijk aanzienlijke renovaties nodig om aan de huidige standaarden te voldoen.
De woning op Patijnweg 24 heeft een gebruiksoppervlakte van 252 m². Dit is ruim vergeleken met de gemiddelde Nederlandse woning, die een oppervlakte heeft van ongeveer 119 m². De gebruiksoppervlakte is de maat die wordt gebruikt in de BAG-registratie, de landelijke registratie van de Nederlandse overheid.
Patijnweg 24 heeft als functie: wonen. Deze gebruiksfunctie(s) zijn vastgelegd in de BAG-registratie en geven aan waarvoor het adres officieel mag worden gebruikt.
Patijnweg 24 is gelegen op kadastraal perceel GOE00F2046. Deze kadastrale aanduiding is uniek en wordt gebruikt door het Kadaster om eigendomsrechten en andere zakelijke rechten vast te leggen. Het perceel maakt onderdeel uit van de kadastrale gemeente Goes.
Het perceel waarop Patijnweg 24 staat heeft een oppervlakte van 511 m². Dit is een groot perceel. De perceeloppervlakte wordt geregistreerd door het Kadaster. Gedetailleerde informatie over de maten van dit perceel kunt u vinden in het rapport Kadastrale kaart met maatvoering van Patijnweg 24.
De eigenaar van Patijnweg 24 is op te vragen op deze pagina.
De informatie over dit adres is afkomstig uit officiële overheidsregistraties, voornamelijk de Basisregistratie Adressen en Gebouwen (BAG) en de Basisregistratie Kadaster (BRK). Deze gegevens worden beheerd door respectievelijk gemeenten en het Kadaster, en worden regelmatig bijgewerkt. Energielabelgegevens komen uit de database van de Rijksdienst voor Ondernemend Nederland (RVO).
