
Dorpsstraat 63 is een adres in Goirle, dat zich bevindt binnen de gemeentegrenzen van Goirle en de grenzen van de provincie Noord-Brabant. Het object heeft een oppervlakte van 331 m², wat relatief groot is. Het perceel waarop het adres ligt is 620 m² groot. De oppervlakte van dit adres is groot vergeleken met de oppervlaktes van andere adressen in de straat. De kleinste oppervlakte bedraagt er 14 m², de grootste 1019 m². Dorpsstraat 63 bevindt zich in een pand uit het jaar 1882. Daarmee behoort het tot de groep relatief oude panden in Nederland die gebouwd zijn vóór 1965. Het bouwjaar is oud vergeleken met dat van de andere panden in de straat. Het oudste bouwjaar is er 1850 en de nieuwste is 2024. Het verblijfsobject heeft de volgende gebruiksdoelen: 'woonfunctie' en 'gezondheidszorgfunctie'.
Deze woning is voor het laatst verkocht op 1 september 2002. Meer informatie over deze transactie? Bestel het Woningtransactierapport om de verkoopprijs en andere informatie te zien.
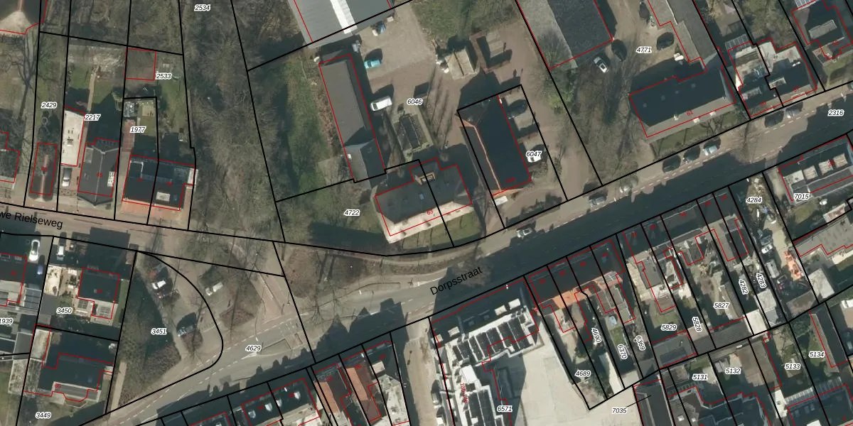
Het adres ligt op het perceel GLE01-E-4722, dat zich in de kadastrale gemeente Goirle bevindt. Het perceel is kleiner dan gemiddeld in Goirle. Het perceel is 620 m² groot, terwijl het gemiddelde ligt op 3365,3 m². Het grootste perceel in de kadastrale gemeente is 1,04 km². Het kleinste perceel heeft een oppervlakte van 0 m². Dit is het enige adres dat aanwezig is op het perceel. De huidige grenzen van het perceel zijn digitaal in de Basisregistratie Kadaster (BRK) geregistreerd op 17-07-2008.
Er is geen energielabel geregistreerd voor het adres. Het hoogste energielabel in de straat is A+++; het laagste is G. Het gemiddelde energielabel is er D. Het adres Dorpsstraat 63 heeft als status: 'verblijfsobject in gebruik'. Het pand waarin dit adres ligt heeft als status: 'pand in gebruik'.
Dorpsstraat 63 is een adres gelegen in de gemeente Goirle, provincie Noord-Brabant. Dit adres is geregistreerd in de Basisregistratie Adressen en Gebouwen (BAG) met als unieke identificatie 0785010000002583.
Het pand op Dorpsstraat 63 is gebouwd in 1882, wat betekent dat het 144 jaar oud is. Dit is een ouder pand. Het pand heeft mogelijk aanzienlijke renovaties nodig om aan de huidige standaarden te voldoen.
De woning op Dorpsstraat 63 heeft een gebruiksoppervlakte van 331 m². Dit is ruim vergeleken met de gemiddelde Nederlandse woning, die een oppervlakte heeft van ongeveer 119 m². De gebruiksoppervlakte is de maat die wordt gebruikt in de BAG-registratie, de landelijke registratie van de Nederlandse overheid.
Dorpsstraat 63 heeft als functie: wonen en gezondheidszorg. Deze gebruiksfunctie(s) zijn vastgelegd in de BAG-registratie en geven aan waarvoor het adres officieel mag worden gebruikt.
Dorpsstraat 63 is gelegen op kadastraal perceel GLE01E4722. Deze kadastrale aanduiding is uniek en wordt gebruikt door het Kadaster om eigendomsrechten en andere zakelijke rechten vast te leggen. Het perceel maakt onderdeel uit van de kadastrale gemeente Goirle.
Het perceel waarop Dorpsstraat 63 staat heeft een oppervlakte van 620 m². Dit is een groot perceel. De perceeloppervlakte wordt geregistreerd door het Kadaster. Gedetailleerde informatie over de maten van dit perceel kunt u vinden in het rapport Kadastrale kaart met maatvoering van Dorpsstraat 63.
De eigenaar van Dorpsstraat 63 is op te vragen op deze pagina.
De informatie over dit adres is afkomstig uit officiële overheidsregistraties, voornamelijk de Basisregistratie Adressen en Gebouwen (BAG) en de Basisregistratie Kadaster (BRK). Deze gegevens worden beheerd door respectievelijk gemeenten en het Kadaster, en worden regelmatig bijgewerkt. Energielabelgegevens komen uit de database van de Rijksdienst voor Ondernemend Nederland (RVO).
