
Gerard van Lomstraat 27 is een adres in Gorinchem, dat zich bevindt binnen de gemeentegrenzen van Gorinchem en de grenzen van de provincie Zuid-Holland. Het perceel waarop het adres gelegen is heeft een oppervlakte van 2583 m². Het verblijfsobject is met 56 m² relatief klein. De oppervlakte van het adres is klein vergeleken met de andere objecten in de straat. De oppervlakte van het kleinste object in de straat bedraagt 16 m², terwijl het grootste object 83 m² groot is. De meeste Nederlandse gebouwen zijn gebouwd in de periode 1965-1984. Zo ook het pand waarin Gerard van Lomstraat 27 ligt, dat gebouwd is in 1970. Het gemiddelde bouwjaar in de straat is 1970 en dat van het oudste pand is 1970. Dit is het nieuwste object in de straat. De volgende gebruiksdoelen zijn geregistreerd voor dit adres: 'woonfunctie'.
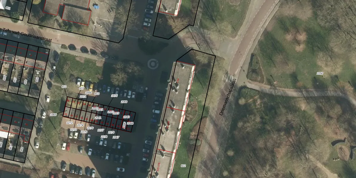
Het adres is gelegen op perceel 822 in de sectie E en de kadastrale gemeente Gorinchem. De kadastrale aanduiding is aldus GRC00-E-822. De oppervlakte van het perceel is 2583 m². Dat is groter dan gemiddeld in Gorinchem, waar de gemiddelde perceeloppervlakte op 1664,82 m² ligt. De grootste perceeloppervlakte in de kadastrale gemeente is 44,0 ha. De kleinste oppervlakte bedraagt 0 m². Er zijn 120 adressen aanwezig op het perceel. De huidige grenzen van het perceel zijn digitaal in de Basisregistratie Kadaster (BRK) geregistreerd op 29-03-2006.
Het adres ligt in een gebouw van het type 'flatwoning (overig) met het subtype tussenmidden'. Bij de laatste meting is voor het adres het energielabel D geregistreerd. Het hoogste energielabel in de straat is C; het laagste is G. Het gemiddelde energielabel is er D. Het adres Gerard van Lomstraat 27 heeft als status: 'verblijfsobject in gebruik'. Het pand waarin dit adres ligt heeft als status: 'pand in gebruik'.
Gerard van Lomstraat 27 is een adres gelegen in de gemeente Gorinchem, provincie Zuid-Holland. Dit adres is geregistreerd in de Basisregistratie Adressen en Gebouwen (BAG) met als unieke identificatie 0512010000010994.
Het pand op Gerard van Lomstraat 27 is gebouwd in 1970, wat betekent dat het 56 jaar oud is. Dit is een ouder pand. Het pand heeft mogelijk aanzienlijke renovaties nodig om aan de huidige standaarden te voldoen.
De woning op Gerard van Lomstraat 27 heeft een gebruiksoppervlakte van 56 m². Dit is relatief klein vergeleken met de gemiddelde Nederlandse woning, die een oppervlakte heeft van ongeveer 119 m². De gebruiksoppervlakte is de maat die wordt gebruikt in de BAG-registratie, de landelijke registratie van de Nederlandse overheid.
Gerard van Lomstraat 27 heeft als functie: wonen. Deze gebruiksfunctie(s) zijn vastgelegd in de BAG-registratie en geven aan waarvoor het adres officieel mag worden gebruikt.
Gerard van Lomstraat 27 is gelegen op kadastraal perceel GRC00E822. Deze kadastrale aanduiding is uniek en wordt gebruikt door het Kadaster om eigendomsrechten en andere zakelijke rechten vast te leggen. Het perceel maakt onderdeel uit van de kadastrale gemeente Gorinchem.
Het perceel waarop Gerard van Lomstraat 27 staat heeft een oppervlakte van 2583 m². Dit is een zeer groot perceel. De perceeloppervlakte wordt geregistreerd door het Kadaster. Gedetailleerde informatie over de maten van dit perceel kunt u vinden in het rapport Kadastrale kaart met maatvoering van Gerard van Lomstraat 27.
De eigenaar van Gerard van Lomstraat 27 is op te vragen op deze pagina.
De informatie over dit adres is afkomstig uit officiële overheidsregistraties, voornamelijk de Basisregistratie Adressen en Gebouwen (BAG) en de Basisregistratie Kadaster (BRK). Deze gegevens worden beheerd door respectievelijk gemeenten en het Kadaster, en worden regelmatig bijgewerkt. Energielabelgegevens komen uit de database van de Rijksdienst voor Ondernemend Nederland (RVO).
