
Vlietskade 33 is een adres in Gorinchem, dat zich bevindt binnen de gemeentegrenzen van Gorinchem en de grenzen van de provincie Zuid-Holland. Het verblijfsobject is 123 m² groot en bevindt zich op een perceel met een oppervlakte van 763 m². Gemiddeld hebben adressen in Nederland een oppervlakte van 119 m². Er zijn geen kleinere objecten in deze straat. De gemiddelde oppervlakte is er 756 m². Het grootste verblijfsobject is 2635 m². Vlietskade 33 bevindt zich in een pand uit het jaar 1960. Daarmee behoort het tot de groep relatief oude panden in Nederland die gebouwd zijn vóór 1965. Het gemiddelde bouwjaar in de straat is 1980 en dat van het nieuwste object 2019. In de straat is dit het oudste pand. Het verblijfsobject heeft de volgende gebruiksdoelen: 'woonfunctie'.
Deze woning is voor het laatst verkocht op 1 maart 2025. Meer informatie over deze transactie? Bestel het Woningtransactierapport om de verkoopprijs en andere informatie te zien.
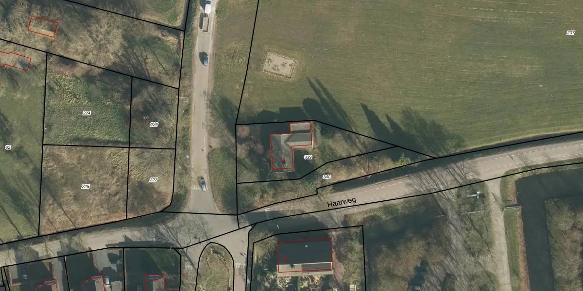
Het adres ligt op het perceel GRC00-G-339, dat zich in de kadastrale gemeente Gorinchem bevindt. Het perceel is kleiner dan gemiddeld in Gorinchem. Het perceel is 763 m² groot, terwijl het gemiddelde ligt op 1664,31 m². Het grootste perceel in de kadastrale gemeente is 44,0 ha. Het kleinste perceel heeft een oppervlakte van 0 m². Dit is het enige adres dat aanwezig is op het perceel. De huidige grenzen van het perceel zijn digitaal in de Basisregistratie Kadaster (BRK) geregistreerd op 28-10-2024.
Het adres ligt in een gebouw van het type 'vrijstaande woning'. Bij de laatste meting is voor het adres het energielabel G geregistreerd. Het hoogste energielabel in de straat is F; het laagste is G. Het gemiddelde energielabel is er G. Het adres Vlietskade 33 heeft als status: 'verbouwing verblijfsobject'. Het pand waarin dit adres ligt heeft als status: 'pand in gebruik'.
Vlietskade 33 is een adres gelegen in de gemeente Gorinchem, provincie Zuid-Holland. Dit adres is geregistreerd in de Basisregistratie Adressen en Gebouwen (BAG) met als unieke identificatie 0512010000007570.
Het pand op Vlietskade 33 is gebouwd in 1960, wat betekent dat het 66 jaar oud is. Dit is een ouder pand. Het pand heeft mogelijk aanzienlijke renovaties nodig om aan de huidige standaarden te voldoen.
De woning op Vlietskade 33 heeft een gebruiksoppervlakte van 123 m². Dit is gemiddeld vergeleken met de gemiddelde Nederlandse woning, die een oppervlakte heeft van ongeveer 119 m². De gebruiksoppervlakte is de maat die wordt gebruikt in de BAG-registratie, de landelijke registratie van de Nederlandse overheid.
Vlietskade 33 heeft als functie: wonen. Deze gebruiksfunctie(s) zijn vastgelegd in de BAG-registratie en geven aan waarvoor het adres officieel mag worden gebruikt.
Vlietskade 33 is gelegen op kadastraal perceel GRC00G339. Deze kadastrale aanduiding is uniek en wordt gebruikt door het Kadaster om eigendomsrechten en andere zakelijke rechten vast te leggen. Het perceel maakt onderdeel uit van de kadastrale gemeente Gorinchem.
Het perceel waarop Vlietskade 33 staat heeft een oppervlakte van 763 m². Dit is een groot perceel. De perceeloppervlakte wordt geregistreerd door het Kadaster. Gedetailleerde informatie over de maten van dit perceel kunt u vinden in het rapport Kadastrale kaart met maatvoering van Vlietskade 33.
De eigenaar van Vlietskade 33 is op te vragen op deze pagina.
De informatie over dit adres is afkomstig uit officiële overheidsregistraties, voornamelijk de Basisregistratie Adressen en Gebouwen (BAG) en de Basisregistratie Kadaster (BRK). Deze gegevens worden beheerd door respectievelijk gemeenten en het Kadaster, en worden regelmatig bijgewerkt. Energielabelgegevens komen uit de database van de Rijksdienst voor Ondernemend Nederland (RVO).
