
Hegedyk 2 is gelegen in de plaats Gorredijk, de gemeente Opsterland en de provincie Friesland. De oppervlakte van het verblijfsobject is met 318 m² aan de grote kant. Het perceel heeft een oppervlakte van 5085 m². In vergelijking met de andere adressen in de straat is de oppervlakte van dit object relatief groot. Het grootste verblijfsobject heeft een oppervlakte van 1048 m², de oppervlakte van het kleinste object bedraagt 11 m². Het adres Hegedyk 2 ligt in een relatief oud pand uit het jaar 1903. Panden van vóór het jaar 1965 hebben we hier geclassificeerd als oud. Het nieuwste gebouw in de straat komt uit 2003 en het oudste uit 1850. Dit object is relatief oud. De volgende gebruiksdoelen zijn geregistreerd voor dit adres: 'woonfunctie'.
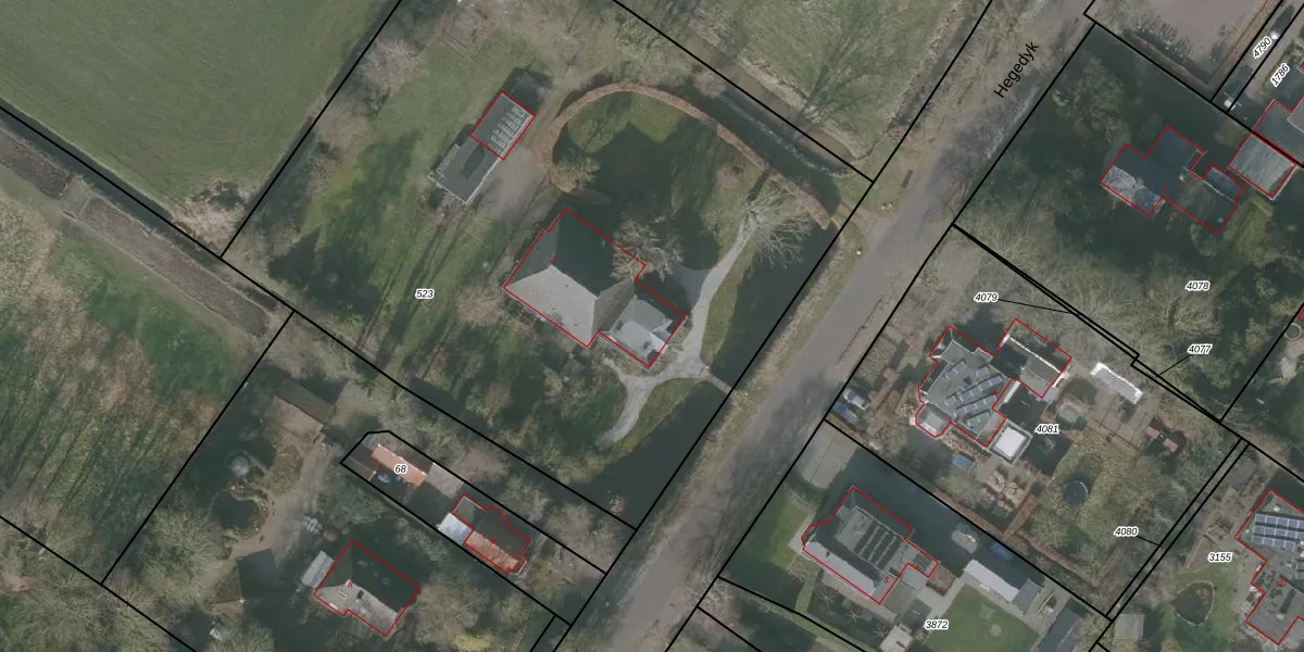
Het perceel waarop het adres ligt is GRD00-G-523. De afkorting 'GRD00' staat voor kadastrale gemeente Gorredijk. Het perceel is 5085 m² groot. Dat is kleiner dan de gemiddelde perceeloppervlakte in Gorredijk, dat op 5829,06 m² ligt. De grootste perceeloppervlakte in de kadastrale gemeente is 79,6 ha. De kleinste oppervlakte bedraagt 0 m². Op het perceel bevinden zich geen andere adressen. De laatste wijziging in het de Basisregistratie Kadaster (BRK) was op 17-01-2006.
Er is geen energielabel geregistreerd voor het adres. Het hoogste energielabel in de straat is A++++; het laagste is G. Het gemiddelde energielabel is er D. Het adres Hegedyk 2 heeft als status: 'verblijfsobject in gebruik'. Het pand waarin dit adres ligt heeft als status: 'pand in gebruik'.
Hegedyk 2 is een adres gelegen in de gemeente Opsterland, provincie Friesland. Dit adres is geregistreerd in de Basisregistratie Adressen en Gebouwen (BAG) met als unieke identificatie 0086010000372967.
Het pand op Hegedyk 2 is gebouwd in 1903, wat betekent dat het 123 jaar oud is. Dit is een ouder pand. Het pand heeft mogelijk aanzienlijke renovaties nodig om aan de huidige standaarden te voldoen.
De woning op Hegedyk 2 heeft een gebruiksoppervlakte van 318 m². Dit is ruim vergeleken met de gemiddelde Nederlandse woning, die een oppervlakte heeft van ongeveer 119 m². De gebruiksoppervlakte is de maat die wordt gebruikt in de BAG-registratie, de landelijke registratie van de Nederlandse overheid.
Hegedyk 2 heeft als functie: wonen. Deze gebruiksfunctie(s) zijn vastgelegd in de BAG-registratie en geven aan waarvoor het adres officieel mag worden gebruikt.
Hegedyk 2 is gelegen op kadastraal perceel GRD00G523. Deze kadastrale aanduiding is uniek en wordt gebruikt door het Kadaster om eigendomsrechten en andere zakelijke rechten vast te leggen. Het perceel maakt onderdeel uit van de kadastrale gemeente Gorredijk.
Het perceel waarop Hegedyk 2 staat heeft een oppervlakte van 5085 m². Dit is een zeer groot perceel. De perceeloppervlakte wordt geregistreerd door het Kadaster. Gedetailleerde informatie over de maten van dit perceel kunt u vinden in het rapport Kadastrale kaart met maatvoering van Hegedyk 2.
De eigenaar van Hegedyk 2 is op te vragen op deze pagina.
De informatie over dit adres is afkomstig uit officiële overheidsregistraties, voornamelijk de Basisregistratie Adressen en Gebouwen (BAG) en de Basisregistratie Kadaster (BRK). Deze gegevens worden beheerd door respectievelijk gemeenten en het Kadaster, en worden regelmatig bijgewerkt. Energielabelgegevens komen uit de database van de Rijksdienst voor Ondernemend Nederland (RVO).
