
Dommerholtsweg 4 is gelegen in de plaats Gorssel, de gemeente Lochem en de provincie Gelderland. De oppervlakte van het verblijfsobject is met 168 m² aan de grote kant. Het perceel heeft een oppervlakte van 1407 m². Het adres is klein vergeleken met andere objecten in de straat. Het grootste object in de straat heeft een oppervlakte van 336 m², het kleinste is 43 m² groot. De meeste Nederlandse gebouwen zijn gebouwd in de periode 1965-1984. Zo ook het pand waarin Dommerholtsweg 4 ligt, dat gebouwd is in 1972. Dit object is relatief nieuw in de straat. Het nieuwste gebouw komt er uit het jaar 2022 en het oudste uit het jaar 1896. Het verblijfsobject heeft de volgende gebruiksdoelen: 'woonfunctie'.
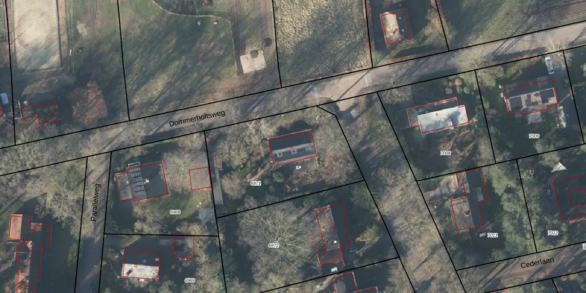
Het adres ligt op het perceel GSL01-E-6971, dat zich in de kadastrale gemeente Gorssel bevindt. Het perceel is kleiner dan gemiddeld in Gorssel. Het perceel is 1407 m² groot, terwijl het gemiddelde ligt op 5921,89 m². De grootste perceeloppervlakte in de kadastrale gemeente is 69,8 ha. De kleinste oppervlakte bedraagt 0 m². Op het perceel bevinden zich geen andere adressen. De laatste wijziging in het de Basisregistratie Kadaster (BRK) was op 16-10-2001.
Het adres ligt in een gebouw van het type 'vrijstaande woning'. Bij de laatste meting is voor het adres het energielabel C geregistreerd. Het hoogste energielabel in de straat is A+++; het laagste is G. Het gemiddelde energielabel is er A. Het adres Dommerholtsweg 4 heeft als status: 'verblijfsobject in gebruik'. Het pand waarin dit adres ligt heeft als status: 'pand in gebruik'.
Dommerholtsweg 4 is een adres gelegen in de gemeente Lochem, provincie Gelderland. Dit adres is geregistreerd in de Basisregistratie Adressen en Gebouwen (BAG) met als unieke identificatie 0262010000004751.
Het pand op Dommerholtsweg 4 is gebouwd in 1972, wat betekent dat het 54 jaar oud is. Dit is een ouder pand. Het pand heeft mogelijk aanzienlijke renovaties nodig om aan de huidige standaarden te voldoen.
De woning op Dommerholtsweg 4 heeft een gebruiksoppervlakte van 168 m². Dit is ruim vergeleken met de gemiddelde Nederlandse woning, die een oppervlakte heeft van ongeveer 119 m². De gebruiksoppervlakte is de maat die wordt gebruikt in de BAG-registratie, de landelijke registratie van de Nederlandse overheid.
Dommerholtsweg 4 heeft als functie: wonen. Deze gebruiksfunctie(s) zijn vastgelegd in de BAG-registratie en geven aan waarvoor het adres officieel mag worden gebruikt.
Dommerholtsweg 4 is gelegen op kadastraal perceel GSL01E6971. Deze kadastrale aanduiding is uniek en wordt gebruikt door het Kadaster om eigendomsrechten en andere zakelijke rechten vast te leggen. Het perceel maakt onderdeel uit van de kadastrale gemeente Gorssel.
Het perceel waarop Dommerholtsweg 4 staat heeft een oppervlakte van 1407 m². Dit is een zeer groot perceel. De perceeloppervlakte wordt geregistreerd door het Kadaster. Gedetailleerde informatie over de maten van dit perceel kunt u vinden in het rapport Kadastrale kaart met maatvoering van Dommerholtsweg 4.
De eigenaar van Dommerholtsweg 4 is op te vragen op deze pagina.
De informatie over dit adres is afkomstig uit officiële overheidsregistraties, voornamelijk de Basisregistratie Adressen en Gebouwen (BAG) en de Basisregistratie Kadaster (BRK). Deze gegevens worden beheerd door respectievelijk gemeenten en het Kadaster, en worden regelmatig bijgewerkt. Energielabelgegevens komen uit de database van de Rijksdienst voor Ondernemend Nederland (RVO).
