
Het adres Roskamweg 2 bevindt zich in de plaats Gorssel, in de gemeente Gorssel en de provincie Gelderland. Het perceel waarop het verblijfsobject staat is 591 m² groot. De oppervlakte van het adres is 113 m², wat zich rond het Nederlandse gemiddelde van 119 m² bevindt. Er zijn geen kleinere objecten in deze straat. De gemiddelde oppervlakte is er 159 m². Het grootste verblijfsobject is 217 m². In Nederland komt het grootste deel van de gebouwen uit de periode 1965-1984. Ook het bouwjaar van Roskamweg 2 is afkomstig uit die periode: het betreft namelijk een pand uit 1967. In de straat komt het nieuwste gebouw uit het jaar 2003 en het oudste uit 1966. Het bouwjaar van dit object is relatief oud. Voor het verblijfsobject gelden deze gebruiksdoelen: 'woonfunctie'.
Deze woning is voor het laatst verkocht op 1 mei 2014. Meer informatie over deze transactie? Bestel het Woningtransactierapport om de verkoopprijs en andere informatie te zien.
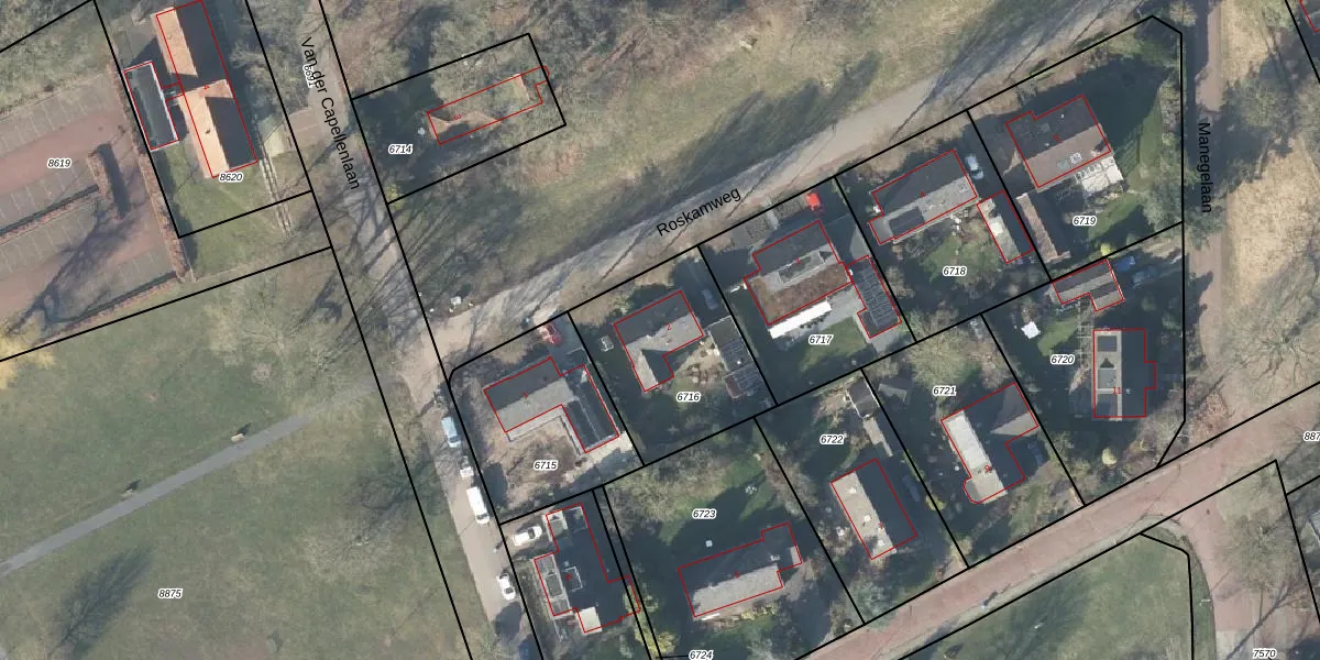
Het adres ligt op het perceel GSL01-E-6716, dat zich in de kadastrale gemeente Gorssel bevindt. De gemiddelde perceelgrootte in Gorssel is 5921,89 m². Dit perceel is kleiner: de perceeloppervlakte bedraagt 591 m². Het grootste perceel in de kadastrale gemeente is 69,8 ha. Het kleinste perceel heeft een oppervlakte van 0 m². Er zijn geen andere adressen aanwezig op het perceel. In de Basisregistratie Kadaster (BRK) werden de grenzen van het perceel geregistreerd op 12-08-2002.
Er is geen energielabel geregistreerd voor het adres. Het hoogste energielabel in de straat is A; het laagste is G. Het gemiddelde energielabel is er C. Het adres Roskamweg 2 heeft als status: 'verblijfsobject in gebruik'. Het pand waarin dit adres ligt heeft als status: 'pand in gebruik'.
Roskamweg 2 is een adres gelegen in de gemeente Lochem, provincie Gelderland. Dit adres is geregistreerd in de Basisregistratie Adressen en Gebouwen (BAG) met als unieke identificatie 0262010000005776.
Het pand op Roskamweg 2 is gebouwd in 1967, wat betekent dat het 59 jaar oud is. Dit is een ouder pand. Het pand heeft mogelijk aanzienlijke renovaties nodig om aan de huidige standaarden te voldoen.
De woning op Roskamweg 2 heeft een gebruiksoppervlakte van 113 m². Dit is onder het gemiddelde vergeleken met de gemiddelde Nederlandse woning, die een oppervlakte heeft van ongeveer 119 m². De gebruiksoppervlakte is de maat die wordt gebruikt in de BAG-registratie, de landelijke registratie van de Nederlandse overheid.
Roskamweg 2 heeft als functie: wonen. Deze gebruiksfunctie(s) zijn vastgelegd in de BAG-registratie en geven aan waarvoor het adres officieel mag worden gebruikt.
Roskamweg 2 is gelegen op kadastraal perceel GSL01E6716. Deze kadastrale aanduiding is uniek en wordt gebruikt door het Kadaster om eigendomsrechten en andere zakelijke rechten vast te leggen. Het perceel maakt onderdeel uit van de kadastrale gemeente Gorssel.
Het perceel waarop Roskamweg 2 staat heeft een oppervlakte van 591 m². Dit is een groot perceel. De perceeloppervlakte wordt geregistreerd door het Kadaster. Gedetailleerde informatie over de maten van dit perceel kunt u vinden in het rapport Kadastrale kaart met maatvoering van Roskamweg 2.
De eigenaar van Roskamweg 2 is op te vragen op deze pagina.
De informatie over dit adres is afkomstig uit officiële overheidsregistraties, voornamelijk de Basisregistratie Adressen en Gebouwen (BAG) en de Basisregistratie Kadaster (BRK). Deze gegevens worden beheerd door respectievelijk gemeenten en het Kadaster, en worden regelmatig bijgewerkt. Energielabelgegevens komen uit de database van de Rijksdienst voor Ondernemend Nederland (RVO).
