
Van der Capellenlaan 4 is een adres in Gorssel, dat zich bevindt binnen de gemeentegrenzen van Gorssel en de grenzen van de provincie Gelderland. Het object heeft een oppervlakte van 169 m², wat relatief groot is. Het perceel waarop het adres ligt is 870 m² groot. De oppervlakte van dit adres is groot vergeleken met de oppervlaktes van andere adressen in de straat. De kleinste oppervlakte bedraagt er 77 m², de grootste 273 m². Het gebouw waarin Van der Capellenlaan 4 ligt komt uit het jaar 1930. Objecten die gebouwd zijn vóór 1965 classificeren we hier als oud. Het gemiddelde bouwjaar in de straat is 1945 en dat van het nieuwste object 1960. In de straat is dit het oudste pand. Voor het verblijfsobject gelden deze gebruiksdoelen: 'bijeenkomstfunctie'.
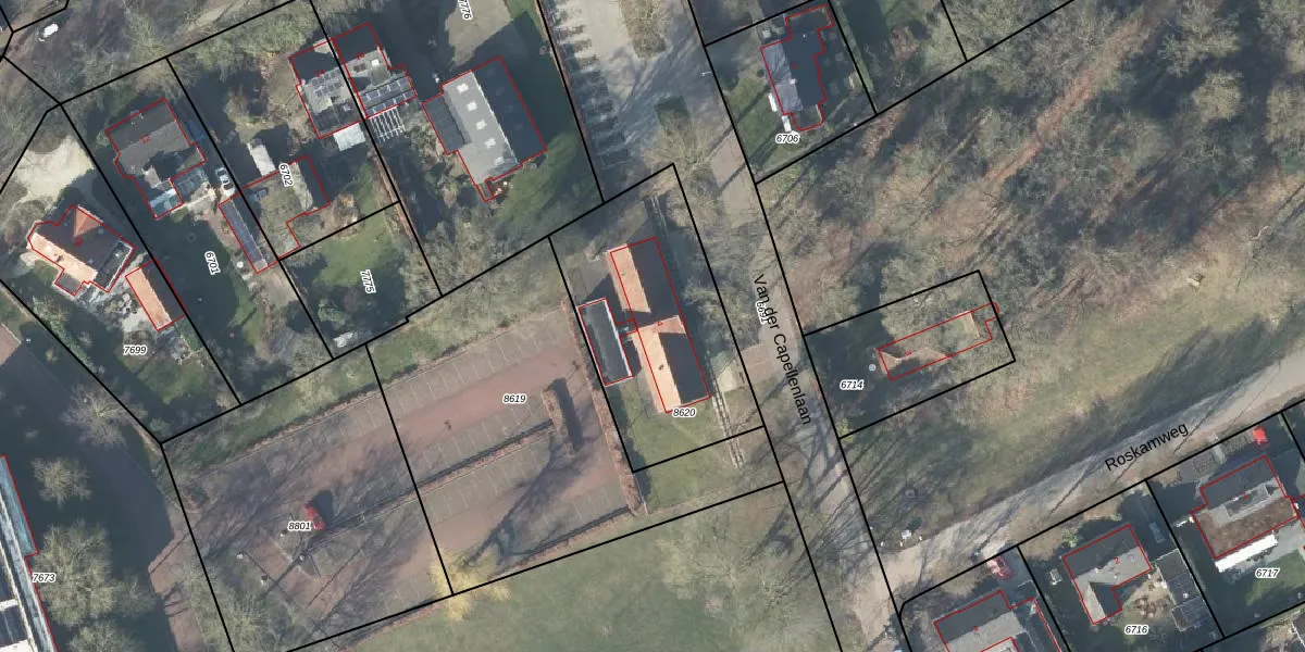
Het adres ligt op het perceel GSL01-E-8620, dat zich in de kadastrale gemeente Gorssel bevindt. De gemiddelde perceelgrootte in Gorssel is 5921,89 m². Dit perceel is kleiner: de perceeloppervlakte bedraagt 870 m². Het kleinste perceel in de kadastrale gemeente is 0 m² groot. De grootste perceeloppervlakte is 69,8 ha. Dit is het enige adres dat aanwezig is op het perceel. De huidige grenzen van het perceel zijn digitaal in de Basisregistratie Kadaster (BRK) geregistreerd op 21-07-2008.
Bij de laatste meting is voor het adres het energielabel E geregistreerd. Het hoogste energielabel in de straat is E; het laagste is G. Het gemiddelde energielabel is er F. Het adres Van der Capellenlaan 4 heeft als status: 'verblijfsobject in gebruik'. Het pand waarin dit adres ligt heeft als status: 'pand in gebruik'.
Van der Capellenlaan 4 is een adres gelegen in de gemeente Lochem, provincie Gelderland. Dit adres is geregistreerd in de Basisregistratie Adressen en Gebouwen (BAG) met als unieke identificatie 0262010000005886.
Het pand op Van der Capellenlaan 4 is gebouwd in 1930, wat betekent dat het 96 jaar oud is. Dit is een ouder pand. Het pand heeft mogelijk aanzienlijke renovaties nodig om aan de huidige standaarden te voldoen.
De woning op Van der Capellenlaan 4 heeft een gebruiksoppervlakte van 169 m². Dit is ruim vergeleken met de gemiddelde Nederlandse woning, die een oppervlakte heeft van ongeveer 119 m². De gebruiksoppervlakte is de maat die wordt gebruikt in de BAG-registratie, de landelijke registratie van de Nederlandse overheid.
Van der Capellenlaan 4 heeft als functie: bijeenkomsten. Deze gebruiksfunctie(s) zijn vastgelegd in de BAG-registratie en geven aan waarvoor het adres officieel mag worden gebruikt.
Van der Capellenlaan 4 is gelegen op kadastraal perceel GSL01E8620. Deze kadastrale aanduiding is uniek en wordt gebruikt door het Kadaster om eigendomsrechten en andere zakelijke rechten vast te leggen. Het perceel maakt onderdeel uit van de kadastrale gemeente Gorssel.
Het perceel waarop Van der Capellenlaan 4 staat heeft een oppervlakte van 870 m². Dit is een groot perceel. De perceeloppervlakte wordt geregistreerd door het Kadaster. Gedetailleerde informatie over de maten van dit perceel kunt u vinden in het rapport Kadastrale kaart met maatvoering van Van der Capellenlaan 4.
De eigenaar van Van der Capellenlaan 4 is op te vragen op deze pagina.
De informatie over dit adres is afkomstig uit officiële overheidsregistraties, voornamelijk de Basisregistratie Adressen en Gebouwen (BAG) en de Basisregistratie Kadaster (BRK). Deze gegevens worden beheerd door respectievelijk gemeenten en het Kadaster, en worden regelmatig bijgewerkt. Energielabelgegevens komen uit de database van de Rijksdienst voor Ondernemend Nederland (RVO).
