
Johan de Wittlaan 31 is gelegen in de plaats Gouda, de gemeente Gouda en de provincie Zuid-Holland. De oppervlakte van het verblijfsobject is met 323 m² aan de grote kant. Het perceel heeft een oppervlakte van 263 m². In de straat is dit het adres met de grootste oppervlakte. De objecten in de straat zijn gemiddeld 83 m² groot. Het kleinste verblijfsobject heeft een oppervlakte van 66 m². De gemiddelde bouwperiode van gebouwen in Nederland ligt tussen de jaren 1965-1984. Dat geldt ook voor het bouwjaar van Johan de Wittlaan 31: het is gebouwd in het jaar 1978. Dit pand is het meest recent exemplaar in de straat. Het oudste object komt er uit 1960 en het gemiddelde bouwjaar is 1961. Het verblijfsobject heeft de volgende gebruiksdoelen: 'bijeenkomstfunctie'.
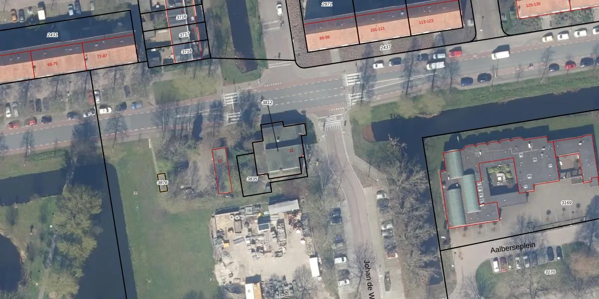
Het perceel waarop het adres ligt is GDA01-I-3812. De afkorting 'GDA01' staat voor kadastrale gemeente Gouda. Het perceel is kleiner dan gemiddeld in Gouda. Het perceel is 263 m² groot, terwijl het gemiddelde ligt op 678,78 m². Het kleinste perceel in de kadastrale gemeente is 0 m² groot. De grootste perceeloppervlakte is 24,2 ha. Op het perceel bevinden zich geen andere adressen. De laatste wijziging in het de Basisregistratie Kadaster (BRK) was op 05-10-2016.
Er is geen energielabel geregistreerd voor het adres. Het hoogste energielabel in de straat is C; het laagste is G. Het gemiddelde energielabel is er E. Het adres Johan de Wittlaan 31 heeft als status: 'verblijfsobject in gebruik'. Het pand waarin dit adres ligt heeft als status: 'pand in gebruik'.
Johan de Wittlaan 31 is een adres gelegen in de gemeente Gouda, provincie Zuid-Holland. Dit adres is geregistreerd in de Basisregistratie Adressen en Gebouwen (BAG) met als unieke identificatie 0513010013054431.
Het pand op Johan de Wittlaan 31 is gebouwd in 1978, wat betekent dat het 48 jaar oud is. Dit is een pand van middelbare leeftijd. Het pand is van gemiddelde leeftijd en zal waarschijnlijk verouderde elementen bevatten.
De woning op Johan de Wittlaan 31 heeft een gebruiksoppervlakte van 323 m². Dit is ruim vergeleken met de gemiddelde Nederlandse woning, die een oppervlakte heeft van ongeveer 119 m². De gebruiksoppervlakte is de maat die wordt gebruikt in de BAG-registratie, de landelijke registratie van de Nederlandse overheid.
Johan de Wittlaan 31 heeft als functie: bijeenkomsten. Deze gebruiksfunctie(s) zijn vastgelegd in de BAG-registratie en geven aan waarvoor het adres officieel mag worden gebruikt.
Johan de Wittlaan 31 is gelegen op kadastraal perceel GDA01I3812. Deze kadastrale aanduiding is uniek en wordt gebruikt door het Kadaster om eigendomsrechten en andere zakelijke rechten vast te leggen. Het perceel maakt onderdeel uit van de kadastrale gemeente Gouda.
Het perceel waarop Johan de Wittlaan 31 staat heeft een oppervlakte van 263 m². Dit is een middelgroot perceel. De perceeloppervlakte wordt geregistreerd door het Kadaster. Gedetailleerde informatie over de maten van dit perceel kunt u vinden in het rapport Kadastrale kaart met maatvoering van Johan de Wittlaan 31.
De eigenaar van Johan de Wittlaan 31 is op te vragen op deze pagina.
De informatie over dit adres is afkomstig uit officiële overheidsregistraties, voornamelijk de Basisregistratie Adressen en Gebouwen (BAG) en de Basisregistratie Kadaster (BRK). Deze gegevens worden beheerd door respectievelijk gemeenten en het Kadaster, en worden regelmatig bijgewerkt. Energielabelgegevens komen uit de database van de Rijksdienst voor Ondernemend Nederland (RVO).
