
Het adres Noordhoef 98 bevindt zich in de plaats Gouda, in de gemeente Gouda en de provincie Zuid-Holland. Het perceel waarop het adres gelegen is heeft een oppervlakte van 1912 m². Het verblijfsobject is met 74 m² relatief klein. De oppervlakte van het adres is klein vergeleken met de andere objecten in de straat. De oppervlakte van het kleinste object in de straat bedraagt 17 m², terwijl het grootste object 90 m² groot is. In Nederland komt het grootste deel van de gebouwen uit de periode 1965-1984. Ook het bouwjaar van Noordhoef 98 is afkomstig uit die periode: het betreft namelijk een pand uit 1974. Het gemiddelde bouwjaar in de straat is 1974 en dat van het oudste pand is 1974. Dit is het nieuwste object in de straat. Voor het verblijfsobject gelden deze gebruiksdoelen: 'woonfunctie'.
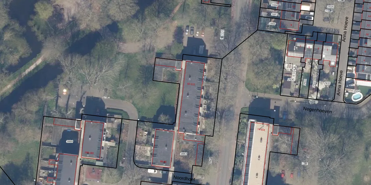
Het adres is gelegen op perceel 3883 in de sectie M en de kadastrale gemeente Gouda. De kadastrale aanduiding is aldus GDA01-M-3883. Het perceel is met 1912 m² relatief groot. Het gemiddelde ligt in de kadastrale gemeente Gouda op 678,84 m². Het grootste perceel in de kadastrale gemeente is 24,2 ha. Het kleinste perceel heeft een oppervlakte van 0 m². Er zijn 24 adressen aanwezig op het perceel. In de Basisregistratie Kadaster (BRK) werden de grenzen van het perceel geregistreerd op 11-12-2006.
Het adres ligt in een gebouw van het type 'appartement met het subtype hoekdak'. Bij de laatste meting is voor het adres het energielabel C geregistreerd. Het hoogste energielabel in de straat is A; het laagste is G. Het gemiddelde energielabel is er B. Het adres Noordhoef 98 heeft als status: 'verblijfsobject in gebruik'. Het pand waarin dit adres ligt heeft als status: 'pand in gebruik'.
Noordhoef 98 is een adres gelegen in de gemeente Gouda, provincie Zuid-Holland. Dit adres is geregistreerd in de Basisregistratie Adressen en Gebouwen (BAG) met als unieke identificatie 0513010013063536.
Het pand op Noordhoef 98 is gebouwd in 1974, wat betekent dat het 52 jaar oud is. Dit is een ouder pand. Het pand heeft mogelijk aanzienlijke renovaties nodig om aan de huidige standaarden te voldoen.
De woning op Noordhoef 98 heeft een gebruiksoppervlakte van 74 m². Dit is relatief klein vergeleken met de gemiddelde Nederlandse woning, die een oppervlakte heeft van ongeveer 119 m². De gebruiksoppervlakte is de maat die wordt gebruikt in de BAG-registratie, de landelijke registratie van de Nederlandse overheid.
Noordhoef 98 heeft als functie: wonen. Deze gebruiksfunctie(s) zijn vastgelegd in de BAG-registratie en geven aan waarvoor het adres officieel mag worden gebruikt.
Noordhoef 98 is gelegen op kadastraal perceel GDA01M3883. Deze kadastrale aanduiding is uniek en wordt gebruikt door het Kadaster om eigendomsrechten en andere zakelijke rechten vast te leggen. Het perceel maakt onderdeel uit van de kadastrale gemeente Gouda.
Het perceel waarop Noordhoef 98 staat heeft een oppervlakte van 1912 m². Dit is een zeer groot perceel. De perceeloppervlakte wordt geregistreerd door het Kadaster. Gedetailleerde informatie over de maten van dit perceel kunt u vinden in het rapport Kadastrale kaart met maatvoering van Noordhoef 98.
De eigenaar van Noordhoef 98 is op te vragen op deze pagina.
De informatie over dit adres is afkomstig uit officiële overheidsregistraties, voornamelijk de Basisregistratie Adressen en Gebouwen (BAG) en de Basisregistratie Kadaster (BRK). Deze gegevens worden beheerd door respectievelijk gemeenten en het Kadaster, en worden regelmatig bijgewerkt. Energielabelgegevens komen uit de database van de Rijksdienst voor Ondernemend Nederland (RVO).
