
Mgr.Borretweg 14 is een adres in Grave, dat zich bevindt binnen de gemeentegrenzen van Grave en de grenzen van de provincie Noord-Brabant. De oppervlakte van het verblijfsobject is met 203 m² aan de grote kant. Het perceel heeft een oppervlakte van 1087 m². De oppervlakte van dit adres is groot vergeleken met de oppervlaktes van andere adressen in de straat. De kleinste oppervlakte bedraagt er 10 m², de grootste 1678 m². In Nederland komt het grootste deel van de gebouwen uit de periode 1965-1984. Ook het bouwjaar van Mgr.Borretweg 14 is afkomstig uit die periode: het betreft namelijk een pand uit 1968. Dit object is relatief nieuw in de straat. Het nieuwste gebouw komt er uit het jaar 2022 en het oudste uit het jaar 1930. De volgende gebruiksdoelen zijn geregistreerd voor dit adres: 'woonfunctie'.
Deze woning is voor het laatst verkocht op 1 juni 2021. Meer informatie over deze transactie? Bestel het Woningtransactierapport om de verkoopprijs en andere informatie te zien.
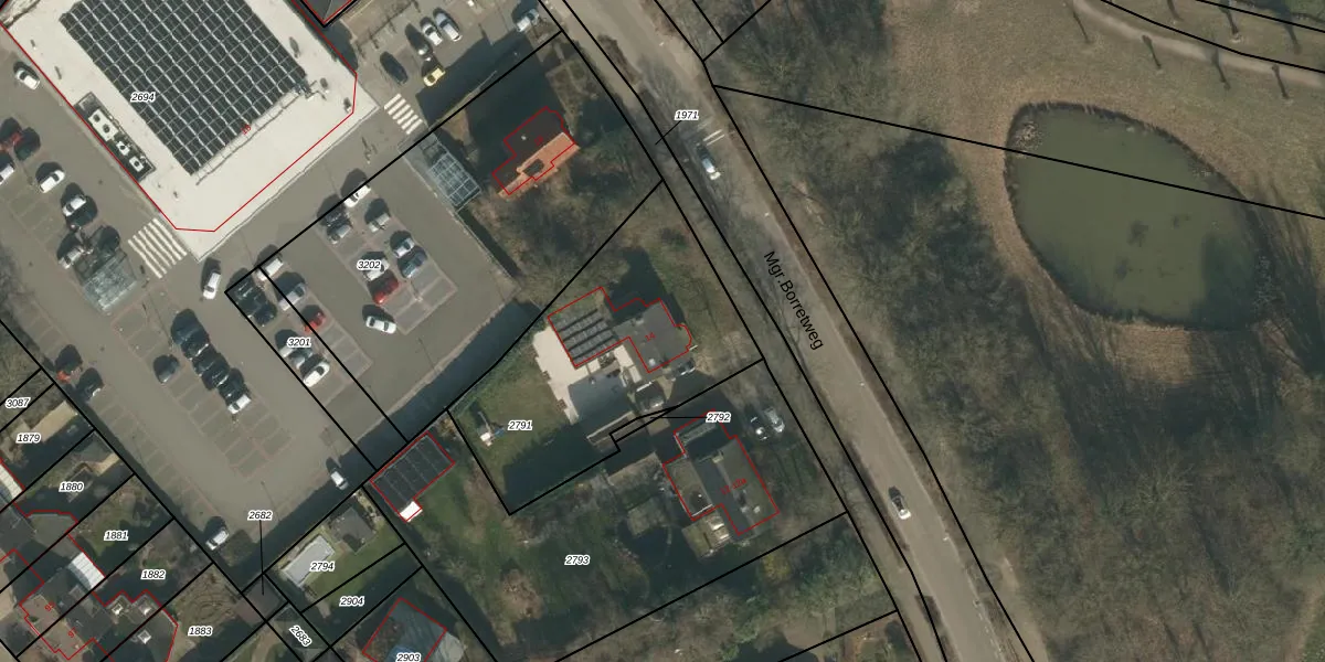
Het adres ligt op het perceel GVE00-A-2791, dat zich in de kadastrale gemeente Grave bevindt. Het perceel is 1087 m² groot. Dat is kleiner dan de gemiddelde perceeloppervlakte in Grave, dat op 3552,53 m² ligt. Het grootste perceel in de kadastrale gemeente is 27,3 ha. Het kleinste perceel heeft een oppervlakte van 0 m². Op het perceel bevinden zich geen andere adressen. De huidige grenzen van het perceel zijn digitaal in de Basisregistratie Kadaster (BRK) geregistreerd op 23-01-2007.
Er is geen energielabel geregistreerd voor het adres. Het hoogste energielabel in de straat is A++++; het laagste is G. Het gemiddelde energielabel is er B. Het adres Mgr.Borretweg 14 heeft als status: 'verblijfsobject in gebruik'. Het pand waarin dit adres ligt heeft als status: 'pand in gebruik'.
Mgr.Borretweg 14 is een adres gelegen in de gemeente Land van Cuijk, provincie Noord-Brabant. Dit adres is geregistreerd in de Basisregistratie Adressen en Gebouwen (BAG) met als unieke identificatie 0786010000003338.
Het pand op Mgr.Borretweg 14 is gebouwd in 1968, wat betekent dat het 58 jaar oud is. Dit is een ouder pand. Het pand heeft mogelijk aanzienlijke renovaties nodig om aan de huidige standaarden te voldoen.
De woning op Mgr.Borretweg 14 heeft een gebruiksoppervlakte van 203 m². Dit is ruim vergeleken met de gemiddelde Nederlandse woning, die een oppervlakte heeft van ongeveer 119 m². De gebruiksoppervlakte is de maat die wordt gebruikt in de BAG-registratie, de landelijke registratie van de Nederlandse overheid.
Mgr.Borretweg 14 heeft als functie: wonen. Deze gebruiksfunctie(s) zijn vastgelegd in de BAG-registratie en geven aan waarvoor het adres officieel mag worden gebruikt.
Mgr.Borretweg 14 is gelegen op kadastraal perceel GVE00A2791. Deze kadastrale aanduiding is uniek en wordt gebruikt door het Kadaster om eigendomsrechten en andere zakelijke rechten vast te leggen. Het perceel maakt onderdeel uit van de kadastrale gemeente Grave.
Het perceel waarop Mgr.Borretweg 14 staat heeft een oppervlakte van 1087 m². Dit is een zeer groot perceel. De perceeloppervlakte wordt geregistreerd door het Kadaster. Gedetailleerde informatie over de maten van dit perceel kunt u vinden in het rapport Kadastrale kaart met maatvoering van Mgr.Borretweg 14.
De eigenaar van Mgr.Borretweg 14 is op te vragen op deze pagina.
De informatie over dit adres is afkomstig uit officiële overheidsregistraties, voornamelijk de Basisregistratie Adressen en Gebouwen (BAG) en de Basisregistratie Kadaster (BRK). Deze gegevens worden beheerd door respectievelijk gemeenten en het Kadaster, en worden regelmatig bijgewerkt. Energielabelgegevens komen uit de database van de Rijksdienst voor Ondernemend Nederland (RVO).
