
Het adres Steenweg 20 bevindt zich in de plaats Grevenbicht, in de gemeente Grevenbicht en de provincie Limburg. De oppervlakte bedraagt 297 m², waarmee het adres groter dan gemiddeld is. De grootte van het perceel waarop het adres ligt is 3,7 ha. In vergelijking met de andere adressen in de straat is de oppervlakte van dit object relatief groot. Het grootste verblijfsobject heeft een oppervlakte van 726 m², de oppervlakte van het kleinste object bedraagt 10 m². De gemiddelde bouwperiode van gebouwen in Nederland ligt tussen de jaren 1965-1984. Dat geldt ook voor het bouwjaar van Steenweg 20: het is gebouwd in het jaar 1979. Veel andere gebouwen in de straat zijn ouder dan dit pand. Het oudste pand komt uit het jaar 1853 en het nieuwste uit 2009. De volgende gebruiksdoelen zijn geregistreerd voor dit adres: 'sportfunctie'.
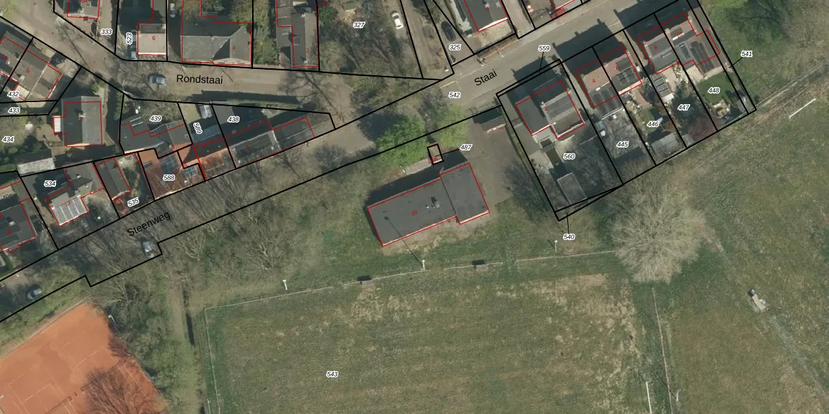
Het perceel waarop het adres ligt is GVB00-D-543. De afkorting 'GVB00' staat voor kadastrale gemeente Grevenbicht. De oppervlakte van het perceel is 3,7 ha. Dat is groter dan gemiddeld in Grevenbicht, waar de gemiddelde perceeloppervlakte op 4015,43 m² ligt. Het kleinste perceel in de kadastrale gemeente is 1 m² groot. De grootste perceeloppervlakte is 25,2 ha. Op het perceel zijn 2 adressen aanwezig. In de Basisregistratie Kadaster (BRK) werden de grenzen van het perceel geregistreerd op 16-07-2009.
Bij de laatste meting is voor het adres het energielabel A geregistreerd. Het hoogste energielabel in de straat is A+; het laagste is G. Het gemiddelde energielabel is er A. Het adres Steenweg 20 heeft als status: 'verblijfsobject in gebruik'. Het pand waarin dit adres ligt heeft als status: 'pand in gebruik'.
Steenweg 20 is een adres gelegen in de gemeente Sittard-Geleen, provincie Limburg. Dit adres is geregistreerd in de Basisregistratie Adressen en Gebouwen (BAG) met als unieke identificatie 1883010000045501.
Het pand op Steenweg 20 is gebouwd in 1979, wat betekent dat het 47 jaar oud is. Dit is een pand van middelbare leeftijd. Het pand is van gemiddelde leeftijd en zal waarschijnlijk verouderde elementen bevatten.
De woning op Steenweg 20 heeft een gebruiksoppervlakte van 297 m². Dit is ruim vergeleken met de gemiddelde Nederlandse woning, die een oppervlakte heeft van ongeveer 119 m². De gebruiksoppervlakte is de maat die wordt gebruikt in de BAG-registratie, de landelijke registratie van de Nederlandse overheid.
Steenweg 20 heeft als functie: sport. Deze gebruiksfunctie(s) zijn vastgelegd in de BAG-registratie en geven aan waarvoor het adres officieel mag worden gebruikt.
Steenweg 20 is gelegen op kadastraal perceel GVB00D543. Deze kadastrale aanduiding is uniek en wordt gebruikt door het Kadaster om eigendomsrechten en andere zakelijke rechten vast te leggen. Het perceel maakt onderdeel uit van de kadastrale gemeente Grevenbicht.
Het perceel waarop Steenweg 20 staat heeft een oppervlakte van 3,7 ha. Dit is een zeer groot perceel. De perceeloppervlakte wordt geregistreerd door het Kadaster. Gedetailleerde informatie over de maten van dit perceel kunt u vinden in het rapport Kadastrale kaart met maatvoering van Steenweg 20.
De eigenaar van Steenweg 20 is op te vragen op deze pagina.
De informatie over dit adres is afkomstig uit officiële overheidsregistraties, voornamelijk de Basisregistratie Adressen en Gebouwen (BAG) en de Basisregistratie Kadaster (BRK). Deze gegevens worden beheerd door respectievelijk gemeenten en het Kadaster, en worden regelmatig bijgewerkt. Energielabelgegevens komen uit de database van de Rijksdienst voor Ondernemend Nederland (RVO).
