
Händelstraat 45 is een adres in Groesbeek, dat zich bevindt binnen de gemeentegrenzen van Groesbeek en de grenzen van de provincie Gelderland. De oppervlakte van het adres is 133 m². Dat is vergelijkbaar met het gemiddelde Nederlandse oppervlakte van 119 m². De oppervlakte van het perceel waarin het adres ligt is 2789 m². De oppervlakte van het adres is klein vergeleken met de andere objecten in de straat. De oppervlakte van het kleinste object in de straat bedraagt 60 m², terwijl het grootste object 973 m² groot is. Het pand waarin Händelstraat 45 ligt is gebouwd in het jaar 2002. Panden die gebouwd zijn na het jaar 1984 noemen we hier relatief nieuw. Dit pand is het meest recent exemplaar in de straat. Het oudste object komt er uit 1948 en het gemiddelde bouwjaar is 1995. Voor het verblijfsobject gelden deze gebruiksdoelen: 'woonfunctie'.
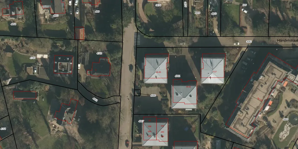
Het adres is gelegen op perceel 4991 in de sectie L en de kadastrale gemeente Groesbeek. De kadastrale aanduiding is aldus GBK00-L-4991. De gemiddelde perceelgrootte in Groesbeek is 4186,65 m². Dit perceel is kleiner: de perceeloppervlakte bedraagt 2789 m². Het kleinste perceel in de kadastrale gemeente is 0 m² groot. De grootste perceeloppervlakte is 99,9 ha. Op het perceel liggen in totaal 21 adressen. De huidige grenzen van het perceel zijn digitaal in de Basisregistratie Kadaster (BRK) geregistreerd op 29-07-2003.
Er is geen energielabel geregistreerd voor het adres. Het hoogste energielabel in de straat is A; het laagste is G. Het gemiddelde energielabel is er C. Het adres Händelstraat 45 heeft als status: 'verblijfsobject in gebruik'. Het pand waarin dit adres ligt heeft als status: 'pand in gebruik'.
Händelstraat 45 is een adres gelegen in de gemeente Berg en Dal, provincie Gelderland. Dit adres is geregistreerd in de Basisregistratie Adressen en Gebouwen (BAG) met als unieke identificatie 0241010000024276.
Het pand op Händelstraat 45 is gebouwd in 2002, wat betekent dat het 24 jaar oud is. Dit is een relatief modern pand. Ten opzichte van de nationale woningvoorraad is het pand relatief modern, maar er kunnen enkele verouderde elementen zijn die aandacht nodig hebben.
De woning op Händelstraat 45 heeft een gebruiksoppervlakte van 133 m². Dit is gemiddeld vergeleken met de gemiddelde Nederlandse woning, die een oppervlakte heeft van ongeveer 119 m². De gebruiksoppervlakte is de maat die wordt gebruikt in de BAG-registratie, de landelijke registratie van de Nederlandse overheid.
Händelstraat 45 heeft als functie: wonen. Deze gebruiksfunctie(s) zijn vastgelegd in de BAG-registratie en geven aan waarvoor het adres officieel mag worden gebruikt.
Händelstraat 45 is gelegen op kadastraal perceel GBK00L4991. Deze kadastrale aanduiding is uniek en wordt gebruikt door het Kadaster om eigendomsrechten en andere zakelijke rechten vast te leggen. Het perceel maakt onderdeel uit van de kadastrale gemeente Groesbeek.
Het perceel waarop Händelstraat 45 staat heeft een oppervlakte van 2789 m². Dit is een zeer groot perceel. De perceeloppervlakte wordt geregistreerd door het Kadaster. Gedetailleerde informatie over de maten van dit perceel kunt u vinden in het rapport Kadastrale kaart met maatvoering van Händelstraat 45.
De eigenaar van Händelstraat 45 is op te vragen op deze pagina.
De informatie over dit adres is afkomstig uit officiële overheidsregistraties, voornamelijk de Basisregistratie Adressen en Gebouwen (BAG) en de Basisregistratie Kadaster (BRK). Deze gegevens worden beheerd door respectievelijk gemeenten en het Kadaster, en worden regelmatig bijgewerkt. Energielabelgegevens komen uit de database van de Rijksdienst voor Ondernemend Nederland (RVO).
