
Nijmeegsebaan 1-b is een adres in Groesbeek, dat zich bevindt binnen de gemeentegrenzen van Groesbeek en de grenzen van de provincie Gelderland. Het perceel waarop het adres gelegen is heeft een oppervlakte van 143 m². Het verblijfsobject is met 18 m² relatief klein. De oppervlakte van het adres is klein vergeleken met de andere objecten in de straat. De oppervlakte van het kleinste object in de straat bedraagt 10 m², terwijl het grootste object 1,4 ha groot is. In Nederland komt het grootste deel van de gebouwen uit de periode 1965-1984. Ook het bouwjaar van Nijmeegsebaan 1-b is afkomstig uit die periode: het betreft namelijk een pand uit 1979. Vergeleken met de andere panden in de straat is dit gebouw nieuw. Het vroegste bouwjaar is er 1900 en het laatste is 2015. Het verblijfsobject heeft de volgende gebruiksdoelen: 'overige gebruiksfunctie'.
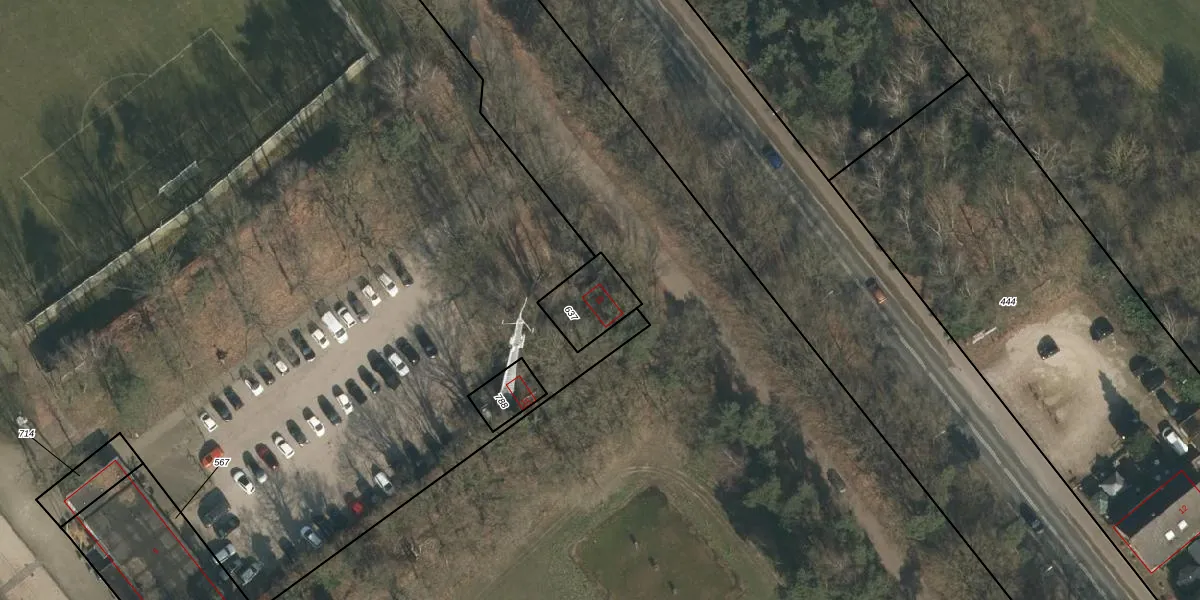
Het adres is gelegen op perceel 637 in de sectie F en de kadastrale gemeente Groesbeek. De kadastrale aanduiding is aldus GBK00-F-637. Het perceel is kleiner dan gemiddeld in Groesbeek. Het perceel is 143 m² groot, terwijl het gemiddelde ligt op 4187,84 m². Het grootste perceel in de kadastrale gemeente is 99,9 ha. Het kleinste perceel heeft een oppervlakte van 0 m². Dit is het enige adres dat aanwezig is op het perceel. De huidige grenzen van het perceel zijn digitaal in de Basisregistratie Kadaster (BRK) geregistreerd op 06-04-2017.
Er is geen energielabel geregistreerd voor het adres. Het hoogste energielabel in de straat is A+; het laagste is G. Het gemiddelde energielabel is er E. Het adres Nijmeegsebaan 1-b heeft als status: 'verblijfsobject in gebruik'. Het pand waarin dit adres ligt heeft als status: 'pand in gebruik'.
Nijmeegsebaan 1-b is een adres gelegen in de gemeente Berg en Dal, provincie Gelderland. Dit adres is geregistreerd in de Basisregistratie Adressen en Gebouwen (BAG) met als unieke identificatie 1945010000029084.
Het pand op Nijmeegsebaan 1-b is gebouwd in 1979, wat betekent dat het 47 jaar oud is. Dit is een pand van middelbare leeftijd. Het pand is van gemiddelde leeftijd en zal waarschijnlijk verouderde elementen bevatten.
De woning op Nijmeegsebaan 1-b heeft een gebruiksoppervlakte van 18 m². Dit is relatief klein vergeleken met de gemiddelde Nederlandse woning, die een oppervlakte heeft van ongeveer 119 m². De gebruiksoppervlakte is de maat die wordt gebruikt in de BAG-registratie, de landelijke registratie van de Nederlandse overheid.
Nijmeegsebaan 1-b heeft als functie: overige doeleinden. Deze gebruiksfunctie(s) zijn vastgelegd in de BAG-registratie en geven aan waarvoor het adres officieel mag worden gebruikt.
Nijmeegsebaan 1-b is gelegen op kadastraal perceel GBK00F637. Deze kadastrale aanduiding is uniek en wordt gebruikt door het Kadaster om eigendomsrechten en andere zakelijke rechten vast te leggen. Het perceel maakt onderdeel uit van de kadastrale gemeente Groesbeek.
Het perceel waarop Nijmeegsebaan 1-b staat heeft een oppervlakte van 143 m². Dit is een middelgroot perceel. De perceeloppervlakte wordt geregistreerd door het Kadaster. Gedetailleerde informatie over de maten van dit perceel kunt u vinden in het rapport Kadastrale kaart met maatvoering van Nijmeegsebaan 1-b.
De eigenaar van Nijmeegsebaan 1-b is op te vragen op deze pagina.
De informatie over dit adres is afkomstig uit officiële overheidsregistraties, voornamelijk de Basisregistratie Adressen en Gebouwen (BAG) en de Basisregistratie Kadaster (BRK). Deze gegevens worden beheerd door respectievelijk gemeenten en het Kadaster, en worden regelmatig bijgewerkt. Energielabelgegevens komen uit de database van de Rijksdienst voor Ondernemend Nederland (RVO).
