
Paulus Potterweg 1 is gelegen in de plaats Groesbeek, de gemeente Berg en Dal en de provincie Gelderland. Het verblijfsobject is vergeleken met het Nederlandse gemiddelde aan de kleine kant: de oppervlakte is 51 m². Het perceel waarop het adres zich bevindt heeft een oppervlakte van 1970 m². Het adres is klein vergeleken met andere objecten in de straat. Het grootste object in de straat heeft een oppervlakte van 1556 m², het kleinste is 18 m² groot. De gemiddelde bouwperiode van gebouwen in Nederland ligt tussen de jaren 1965-1984. Dat geldt ook voor het bouwjaar van Paulus Potterweg 1: het is gebouwd in het jaar 1977. Dit object is relatief nieuw in de straat. Het nieuwste gebouw komt er uit het jaar 1999 en het oudste uit het jaar 1965. Voor het verblijfsobject gelden deze gebruiksdoelen: 'woonfunctie'.
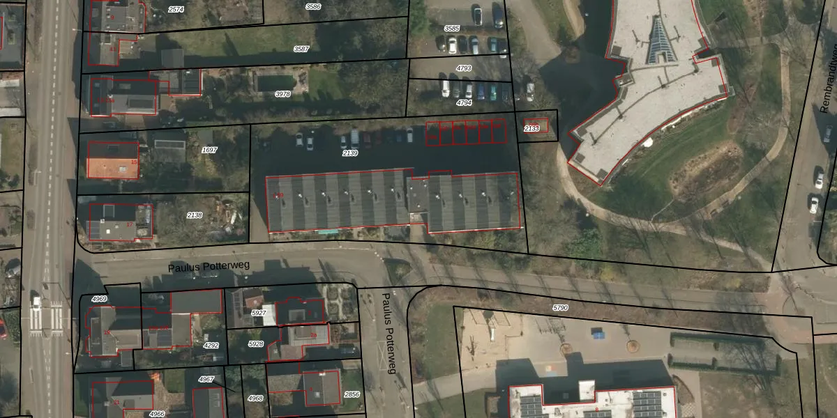
Het adres ligt op het perceel GBK00-L-2139, dat zich in de kadastrale gemeente Groesbeek bevindt. De gemiddelde perceelgrootte in Groesbeek is 4188,24 m². Dit perceel is kleiner: de perceeloppervlakte bedraagt 1970 m². Het kleinste perceel in de kadastrale gemeente is 0 m² groot. De grootste perceeloppervlakte is 99,9 ha. Op het perceel liggen in totaal 36 adressen. De laatste wijziging in het de Basisregistratie Kadaster (BRK) was op 08-08-2007.
Het adres ligt in een gebouw van het type 'appartement met het subtype hoekvloer'. Bij de laatste meting is voor het adres het energielabel C geregistreerd. Het hoogste energielabel in de straat is A; het laagste is G. Het gemiddelde energielabel is er B. Het adres Paulus Potterweg 1 heeft als status: 'verblijfsobject in gebruik'. Het pand waarin dit adres ligt heeft als status: 'pand in gebruik'.
Paulus Potterweg 1 is een adres gelegen in de gemeente Berg en Dal, provincie Gelderland. Dit adres is geregistreerd in de Basisregistratie Adressen en Gebouwen (BAG) met als unieke identificatie 0241010000003990.
Het pand op Paulus Potterweg 1 is gebouwd in 1977, wat betekent dat het 49 jaar oud is. Dit is een pand van middelbare leeftijd. Het pand is van gemiddelde leeftijd en zal waarschijnlijk verouderde elementen bevatten.
De woning op Paulus Potterweg 1 heeft een gebruiksoppervlakte van 51 m². Dit is relatief klein vergeleken met de gemiddelde Nederlandse woning, die een oppervlakte heeft van ongeveer 119 m². De gebruiksoppervlakte is de maat die wordt gebruikt in de BAG-registratie, de landelijke registratie van de Nederlandse overheid.
Paulus Potterweg 1 heeft als functie: wonen. Deze gebruiksfunctie(s) zijn vastgelegd in de BAG-registratie en geven aan waarvoor het adres officieel mag worden gebruikt.
Paulus Potterweg 1 is gelegen op kadastraal perceel GBK00L2139. Deze kadastrale aanduiding is uniek en wordt gebruikt door het Kadaster om eigendomsrechten en andere zakelijke rechten vast te leggen. Het perceel maakt onderdeel uit van de kadastrale gemeente Groesbeek.
Het perceel waarop Paulus Potterweg 1 staat heeft een oppervlakte van 1970 m². Dit is een zeer groot perceel. De perceeloppervlakte wordt geregistreerd door het Kadaster. Gedetailleerde informatie over de maten van dit perceel kunt u vinden in het rapport Kadastrale kaart met maatvoering van Paulus Potterweg 1.
De eigenaar van Paulus Potterweg 1 is op te vragen op deze pagina.
De informatie over dit adres is afkomstig uit officiële overheidsregistraties, voornamelijk de Basisregistratie Adressen en Gebouwen (BAG) en de Basisregistratie Kadaster (BRK). Deze gegevens worden beheerd door respectievelijk gemeenten en het Kadaster, en worden regelmatig bijgewerkt. Energielabelgegevens komen uit de database van de Rijksdienst voor Ondernemend Nederland (RVO).
