
Het adres Achtergaardsestraat 25 bevindt zich in de plaats Groessen, in de gemeente Groessen en de provincie Gelderland. De oppervlakte van het verblijfsobject is met 467 m² aan de grote kant. Het perceel heeft een oppervlakte van 2560 m². De oppervlakte van dit adres is groot vergeleken met de oppervlaktes van andere adressen in de straat. De kleinste oppervlakte bedraagt er 94 m², de grootste 805 m². De meeste Nederlandse gebouwen zijn gebouwd in de periode 1965-1984. Zo ook het pand waarin Achtergaardsestraat 25 ligt, dat gebouwd is in 1980. Dit object is relatief nieuw in de straat. Het nieuwste gebouw komt er uit het jaar 2007 en het oudste uit het jaar 1860. Voor het verblijfsobject gelden deze gebruiksdoelen: 'woonfunctie'.
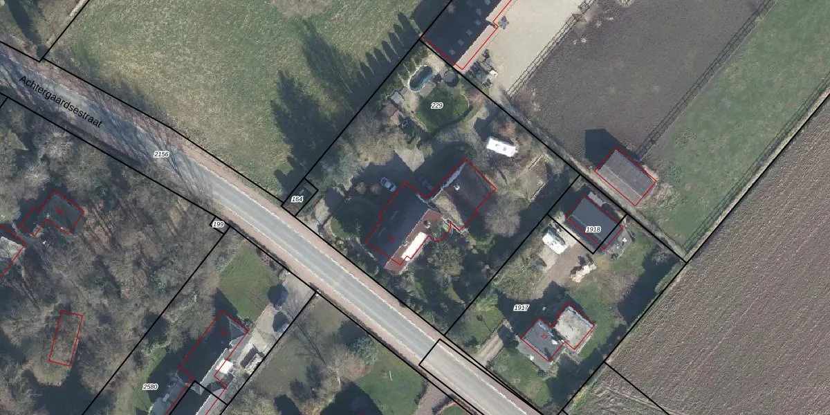
Het adres ligt op het perceel DVN00-H-229, dat zich in de kadastrale gemeente Duiven bevindt. De gemiddelde perceelgrootte in Duiven is 2658,46 m². Dit perceel is kleiner: de perceeloppervlakte bedraagt 2560 m². De grootste perceeloppervlakte in de kadastrale gemeente is 22,4 ha. De kleinste oppervlakte bedraagt 0 m². Op het perceel bevinden zich geen andere adressen. In de Basisregistratie Kadaster (BRK) werden de grenzen van het perceel geregistreerd op 16-08-2016.
Het adres ligt in een gebouw van het type 'vrijstaande woning'. Bij de laatste meting is voor het adres het energielabel B geregistreerd. Het hoogste energielabel in de straat is A; het laagste is G. Het gemiddelde energielabel is er D. Het adres Achtergaardsestraat 25 heeft als status: 'verblijfsobject in gebruik'. Het pand waarin dit adres ligt heeft als status: 'pand in gebruik'.
Achtergaardsestraat 25 is een adres gelegen in de gemeente Duiven, provincie Gelderland. Dit adres is geregistreerd in de Basisregistratie Adressen en Gebouwen (BAG) met als unieke identificatie 0226010000035062.
Het pand op Achtergaardsestraat 25 is gebouwd in 1980, wat betekent dat het 46 jaar oud is. Dit is een pand van middelbare leeftijd. Het pand is van gemiddelde leeftijd en zal waarschijnlijk verouderde elementen bevatten.
De woning op Achtergaardsestraat 25 heeft een gebruiksoppervlakte van 467 m². Dit is ruim vergeleken met de gemiddelde Nederlandse woning, die een oppervlakte heeft van ongeveer 119 m². De gebruiksoppervlakte is de maat die wordt gebruikt in de BAG-registratie, de landelijke registratie van de Nederlandse overheid.
Achtergaardsestraat 25 heeft als functie: wonen. Deze gebruiksfunctie(s) zijn vastgelegd in de BAG-registratie en geven aan waarvoor het adres officieel mag worden gebruikt.
Achtergaardsestraat 25 is gelegen op kadastraal perceel DVN00H229. Deze kadastrale aanduiding is uniek en wordt gebruikt door het Kadaster om eigendomsrechten en andere zakelijke rechten vast te leggen. Het perceel maakt onderdeel uit van de kadastrale gemeente Duiven.
Het perceel waarop Achtergaardsestraat 25 staat heeft een oppervlakte van 2560 m². Dit is een zeer groot perceel. De perceeloppervlakte wordt geregistreerd door het Kadaster. Gedetailleerde informatie over de maten van dit perceel kunt u vinden in het rapport Kadastrale kaart met maatvoering van Achtergaardsestraat 25.
De eigenaar van Achtergaardsestraat 25 is op te vragen op deze pagina.
De informatie over dit adres is afkomstig uit officiële overheidsregistraties, voornamelijk de Basisregistratie Adressen en Gebouwen (BAG) en de Basisregistratie Kadaster (BRK). Deze gegevens worden beheerd door respectievelijk gemeenten en het Kadaster, en worden regelmatig bijgewerkt. Energielabelgegevens komen uit de database van de Rijksdienst voor Ondernemend Nederland (RVO).
