
Hiddemaheerd 112-b-5 is een adres in Groningen, dat zich bevindt binnen de gemeentegrenzen van Groningen en de grenzen van de provincie Groningen. Het perceel waarop het adres gelegen is heeft een oppervlakte van 2221 m². Het verblijfsobject is met 48 m² relatief klein. Het object is klein ten opzichte van de andere adressen in de straat. Het grootste verblijfsobject is 193 m² groot en het kleinste is 39 m². In het jaar 1985 is het pand waarin Hiddemaheerd 112-b-5 ligt gebouwd. Dat is relatief recent: de meeste gebouwen in Nederland zijn gebouwd in de periode 1965-1984. Het gemiddelde bouwjaar in de straat is 1983 en dat van het oudste pand is 1981. Dit is het nieuwste object in de straat. Voor het verblijfsobject gelden deze gebruiksdoelen: 'woonfunctie'.
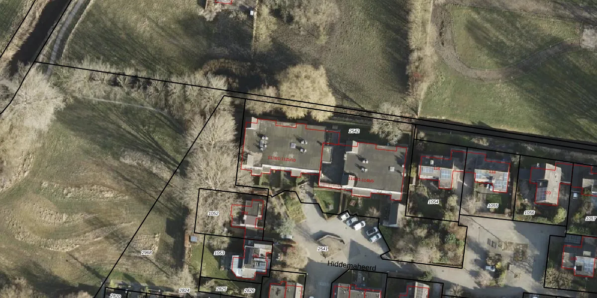
Het perceel waarop het adres ligt is GNG01-AB-2542. De afkorting 'GNG01' staat voor kadastrale gemeente Groningen. De gemiddelde perceelgrootte in Groningen is 2461,56 m². Dit perceel is kleiner: de perceeloppervlakte bedraagt 2221 m². De grootste perceeloppervlakte in de kadastrale gemeente is 1,25 km². De kleinste oppervlakte bedraagt 0 m². Er zijn 29 adressen aanwezig op het perceel. De huidige grenzen van het perceel zijn digitaal in de Basisregistratie Kadaster (BRK) geregistreerd op 15-05-2008.
Het adres ligt in een gebouw van het type 'flatwoning (overig) met het subtype hoekdak'. Bij de laatste meting is voor het adres het energielabel B geregistreerd. Het hoogste energielabel in de straat is A+; het laagste is G. Het gemiddelde energielabel is er B. Het adres Hiddemaheerd 112-b-5 heeft als status: 'verblijfsobject in gebruik'. Het pand waarin dit adres ligt heeft als status: 'pand in gebruik'.
Hiddemaheerd 112-b-5 is een adres gelegen in de gemeente Groningen, provincie Groningen. Dit adres is geregistreerd in de Basisregistratie Adressen en Gebouwen (BAG) met als unieke identificatie 0014010011024388.
Het pand op Hiddemaheerd 112-b-5 is gebouwd in 1985, wat betekent dat het 41 jaar oud is. Dit is een pand van middelbare leeftijd. Het pand is van gemiddelde leeftijd en zal waarschijnlijk verouderde elementen bevatten.
De woning op Hiddemaheerd 112-b-5 heeft een gebruiksoppervlakte van 48 m². Dit is relatief klein vergeleken met de gemiddelde Nederlandse woning, die een oppervlakte heeft van ongeveer 119 m². De gebruiksoppervlakte is de maat die wordt gebruikt in de BAG-registratie, de landelijke registratie van de Nederlandse overheid.
Hiddemaheerd 112-b-5 heeft als functie: wonen. Deze gebruiksfunctie(s) zijn vastgelegd in de BAG-registratie en geven aan waarvoor het adres officieel mag worden gebruikt.
Hiddemaheerd 112-b-5 is gelegen op kadastraal perceel GNG01AB2542. Deze kadastrale aanduiding is uniek en wordt gebruikt door het Kadaster om eigendomsrechten en andere zakelijke rechten vast te leggen. Het perceel maakt onderdeel uit van de kadastrale gemeente Groningen.
Het perceel waarop Hiddemaheerd 112-b-5 staat heeft een oppervlakte van 2221 m². Dit is een zeer groot perceel. De perceeloppervlakte wordt geregistreerd door het Kadaster. Gedetailleerde informatie over de maten van dit perceel kunt u vinden in het rapport Kadastrale kaart met maatvoering van Hiddemaheerd 112-b-5.
De eigenaar van Hiddemaheerd 112-b-5 is op te vragen op deze pagina.
De informatie over dit adres is afkomstig uit officiële overheidsregistraties, voornamelijk de Basisregistratie Adressen en Gebouwen (BAG) en de Basisregistratie Kadaster (BRK). Deze gegevens worden beheerd door respectievelijk gemeenten en het Kadaster, en worden regelmatig bijgewerkt. Energielabelgegevens komen uit de database van de Rijksdienst voor Ondernemend Nederland (RVO).
