
Havinga's reed 5-A is een adres in Grootegast, dat zich bevindt binnen de gemeentegrenzen van Grootegast en de grenzen van de provincie Groningen. De oppervlakte van het object bedraagt 81 m². Dat is klein vergeleken met het Nederlandse gemiddelde. Het perceel waarop het adres ligt is 1,0 ha groot. Het object is klein ten opzichte van de andere adressen in de straat. Het grootste verblijfsobject is 356 m² groot en het kleinste is 62 m². Havinga's reed 5-A ligt in een gebouw uit het jaar 2025. Daarmee behoort het tot de groep panden van na 1984, die we als relatief nieuw bestempelen. In de straat is dit het nieuwste pand en stamt het oudste object uit het jaar 1910. Het gemiddelde bouwjaar in de straat is 1959. Het verblijfsobject heeft de volgende gebruiksdoelen: 'woonfunctie' en 'gezondheidszorgfunctie'.
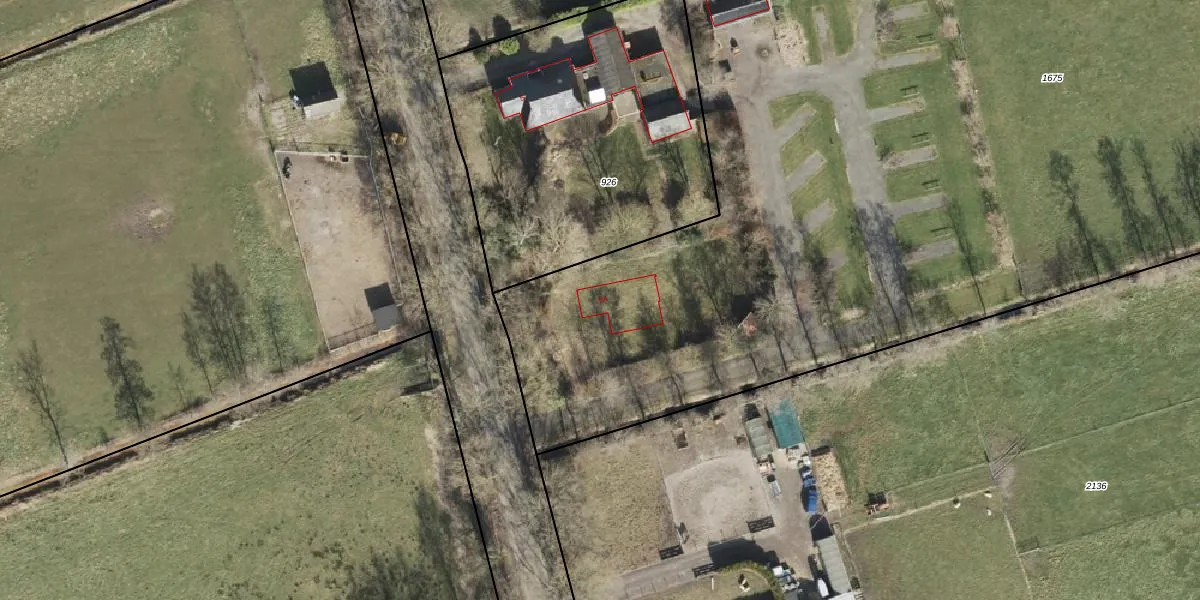
Het perceel waarop het adres ligt is GTG00-L-1675. De afkorting 'GTG00' staat voor kadastrale gemeente Grootegast. De gemiddelde perceeloppervlakte in de kadastrale gemeente Grootegast is 8128,83 m². Dit perceel is met zijn 1,0 ha dus groter dan gemiddeld. Het grootste perceel in de kadastrale gemeente is 44,9 ha. Het kleinste perceel heeft een oppervlakte van 0 m². Er zijn geen andere adressen aanwezig op het perceel. De huidige grenzen van het perceel zijn digitaal in de Basisregistratie Kadaster (BRK) geregistreerd op 19-02-1998.
Er is geen energielabel geregistreerd voor het adres. Het hoogste energielabel in de straat is C; het laagste is G. Het gemiddelde energielabel is er E. Het adres Havinga's reed 5-A heeft als status: 'verblijfsobject in gebruik'. Het pand waarin dit adres ligt heeft als status: 'pand in gebruik'.
Havinga's reed 5-A is een adres gelegen in de gemeente Westerkwartier, provincie Groningen. Dit adres is geregistreerd in de Basisregistratie Adressen en Gebouwen (BAG) met als unieke identificatie 1969010050012973.
Het pand op Havinga's reed 5-A is gebouwd in 2025, wat betekent dat het 1 jaar oud is. Dit is een vrij nieuw pand. Het pand is dus waarschijnlijk goed geïsoleerd, geluidsdicht en voldoet aan de huidige bouwstandaarden. Op korte termijn zijn er waarschijnlijk weinig onderhoudskosten.
De woning op Havinga's reed 5-A heeft een gebruiksoppervlakte van 81 m². Dit is onder het gemiddelde vergeleken met de gemiddelde Nederlandse woning, die een oppervlakte heeft van ongeveer 119 m². De gebruiksoppervlakte is de maat die wordt gebruikt in de BAG-registratie, de landelijke registratie van de Nederlandse overheid.
Havinga's reed 5-A heeft als functie: wonen en gezondheidszorg. Deze gebruiksfunctie(s) zijn vastgelegd in de BAG-registratie en geven aan waarvoor het adres officieel mag worden gebruikt.
Havinga's reed 5-A is gelegen op kadastraal perceel GTG00L1675. Deze kadastrale aanduiding is uniek en wordt gebruikt door het Kadaster om eigendomsrechten en andere zakelijke rechten vast te leggen. Het perceel maakt onderdeel uit van de kadastrale gemeente Grootegast.
Het perceel waarop Havinga's reed 5-A staat heeft een oppervlakte van 1,0 ha. Dit is een zeer groot perceel. De perceeloppervlakte wordt geregistreerd door het Kadaster. Gedetailleerde informatie over de maten van dit perceel kunt u vinden in het rapport Kadastrale kaart met maatvoering van Havinga's reed 5-A.
De eigenaar van Havinga's reed 5-A is op te vragen op deze pagina.
De informatie over dit adres is afkomstig uit officiële overheidsregistraties, voornamelijk de Basisregistratie Adressen en Gebouwen (BAG) en de Basisregistratie Kadaster (BRK). Deze gegevens worden beheerd door respectievelijk gemeenten en het Kadaster, en worden regelmatig bijgewerkt. Energielabelgegevens komen uit de database van de Rijksdienst voor Ondernemend Nederland (RVO).
