
Ursulinenweide 1 is gelegen in de plaats Grubbenvorst, de gemeente Horst aan de Maas en de provincie Limburg. De oppervlakte van het verblijfsobject is met 348 m² aan de grote kant. Het perceel heeft een oppervlakte van 175 m². Vergeleken met de andere verblijfsobjecten in de straat is dit object groot. De oppervlakte van het grootste object in de straat is 4746 m², die van het kleinste bedraagt 8 m². Het adres Ursulinenweide 1 ligt in een relatief oud pand uit het jaar 1870. Panden van vóór het jaar 1965 hebben we hier geclassificeerd als oud. Het nieuwste gebouw in de straat komt uit 2005 en het oudste uit 1825. Dit object is relatief oud. Voor het verblijfsobject gelden deze gebruiksdoelen: 'bijeenkomstfunctie'.
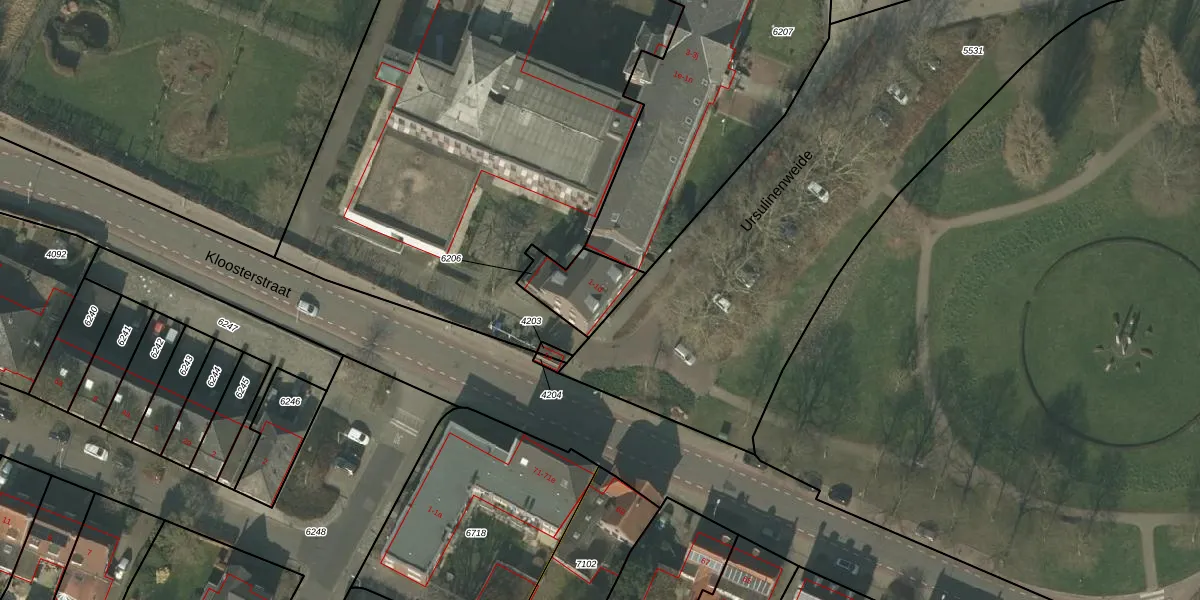
Het adres is gelegen op perceel 6206 in de sectie C en de kadastrale gemeente Grubbenvorst. De kadastrale aanduiding is aldus GBV00-C-6206. De gemiddelde perceelgrootte in Grubbenvorst is 4983,96 m². Dit perceel is kleiner: de perceeloppervlakte bedraagt 175 m². De grootste perceeloppervlakte in de kadastrale gemeente is 29,8 ha. De kleinste oppervlakte bedraagt 0 m². Op het perceel liggen in totaal 5 adressen. De laatste wijziging in het de Basisregistratie Kadaster (BRK) was op 16-11-2007.
Bij de laatste meting is voor het adres het energielabel F geregistreerd. Het hoogste energielabel in de straat is A; het laagste is G. Het gemiddelde energielabel is er D. Het adres Ursulinenweide 1 heeft als status: 'verblijfsobject in gebruik'. Het pand waarin dit adres ligt heeft als status: 'pand in gebruik'.
Ursulinenweide 1 is een adres gelegen in de gemeente Horst aan de Maas, provincie Limburg. Dit adres is geregistreerd in de Basisregistratie Adressen en Gebouwen (BAG) met als unieke identificatie 1507013000000684.
Het pand op Ursulinenweide 1 is gebouwd in 1870, wat betekent dat het 156 jaar oud is. Dit is een ouder pand. Het pand heeft mogelijk aanzienlijke renovaties nodig om aan de huidige standaarden te voldoen.
De woning op Ursulinenweide 1 heeft een gebruiksoppervlakte van 348 m². Dit is ruim vergeleken met de gemiddelde Nederlandse woning, die een oppervlakte heeft van ongeveer 119 m². De gebruiksoppervlakte is de maat die wordt gebruikt in de BAG-registratie, de landelijke registratie van de Nederlandse overheid.
Ursulinenweide 1 heeft als functie: bijeenkomsten. Deze gebruiksfunctie(s) zijn vastgelegd in de BAG-registratie en geven aan waarvoor het adres officieel mag worden gebruikt.
Ursulinenweide 1 is gelegen op kadastraal perceel GBV00C6206. Deze kadastrale aanduiding is uniek en wordt gebruikt door het Kadaster om eigendomsrechten en andere zakelijke rechten vast te leggen. Het perceel maakt onderdeel uit van de kadastrale gemeente Grubbenvorst.
Het perceel waarop Ursulinenweide 1 staat heeft een oppervlakte van 175 m². Dit is een middelgroot perceel. De perceeloppervlakte wordt geregistreerd door het Kadaster. Gedetailleerde informatie over de maten van dit perceel kunt u vinden in het rapport Kadastrale kaart met maatvoering van Ursulinenweide 1.
De eigenaar van Ursulinenweide 1 is op te vragen op deze pagina.
De informatie over dit adres is afkomstig uit officiële overheidsregistraties, voornamelijk de Basisregistratie Adressen en Gebouwen (BAG) en de Basisregistratie Kadaster (BRK). Deze gegevens worden beheerd door respectievelijk gemeenten en het Kadaster, en worden regelmatig bijgewerkt. Energielabelgegevens komen uit de database van de Rijksdienst voor Ondernemend Nederland (RVO).
