
Oude Maastrichterweg 29 is een adres in Gulpen, dat zich bevindt binnen de gemeentegrenzen van Gulpen en de grenzen van de provincie Limburg. De oppervlakte bedraagt 353 m², waarmee het adres groter dan gemiddeld is. De grootte van het perceel waarop het adres ligt is 3515 m². Vergeleken met de andere verblijfsobjecten in de straat is dit object groot. De oppervlakte van het grootste object in de straat is 5484 m², die van het kleinste bedraagt 18 m². De gemiddelde bouwperiode van gebouwen in Nederland ligt tussen de jaren 1965-1984. Dat geldt ook voor het bouwjaar van Oude Maastrichterweg 29: het is gebouwd in het jaar 1982. In de straat komt het nieuwste gebouw uit het jaar 2023 en het oudste uit 1825. Het bouwjaar van dit object is relatief oud. De volgende gebruiksdoelen zijn geregistreerd voor dit adres: 'woonfunctie'.
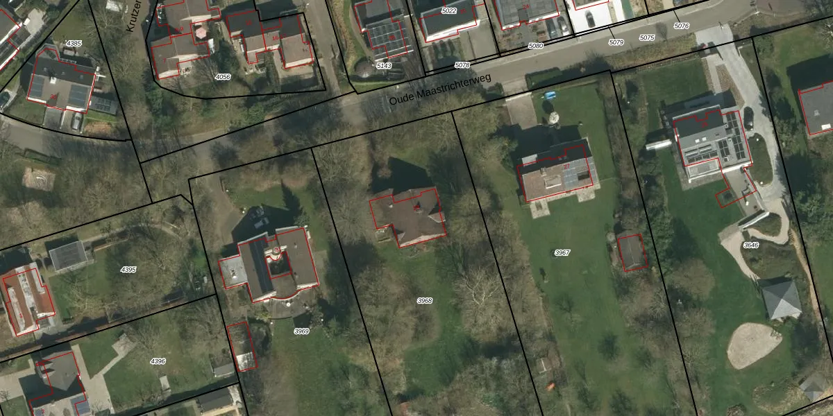
Het adres is gelegen op perceel 3968 in de sectie A en de kadastrale gemeente Gulpen. De kadastrale aanduiding is aldus GPN00-A-3968. Het perceel is 3515 m² groot. Dat is kleiner dan de gemiddelde perceeloppervlakte in Gulpen, dat op 5032,94 m² ligt. Het kleinste perceel in de kadastrale gemeente is 0 m² groot. De grootste perceeloppervlakte is 28,2 ha. Er zijn geen andere adressen aanwezig op het perceel. De huidige grenzen van het perceel zijn digitaal in de Basisregistratie Kadaster (BRK) geregistreerd op 09-02-2009.
Er is geen energielabel geregistreerd voor het adres. Het hoogste energielabel in de straat is A; het laagste is G. Het gemiddelde energielabel is er C. Het adres Oude Maastrichterweg 29 heeft als status: 'verblijfsobject in gebruik'. Het pand waarin dit adres ligt heeft als status: 'pand in gebruik'.
Oude Maastrichterweg 29 is een adres gelegen in de gemeente Gulpen-Wittem, provincie Limburg. Dit adres is geregistreerd in de Basisregistratie Adressen en Gebouwen (BAG) met als unieke identificatie 1729010001051087.
Het pand op Oude Maastrichterweg 29 is gebouwd in 1982, wat betekent dat het 44 jaar oud is. Dit is een pand van middelbare leeftijd. Het pand is van gemiddelde leeftijd en zal waarschijnlijk verouderde elementen bevatten.
De woning op Oude Maastrichterweg 29 heeft een gebruiksoppervlakte van 353 m². Dit is ruim vergeleken met de gemiddelde Nederlandse woning, die een oppervlakte heeft van ongeveer 119 m². De gebruiksoppervlakte is de maat die wordt gebruikt in de BAG-registratie, de landelijke registratie van de Nederlandse overheid.
Oude Maastrichterweg 29 heeft als functie: wonen. Deze gebruiksfunctie(s) zijn vastgelegd in de BAG-registratie en geven aan waarvoor het adres officieel mag worden gebruikt.
Oude Maastrichterweg 29 is gelegen op kadastraal perceel GPN00A3968. Deze kadastrale aanduiding is uniek en wordt gebruikt door het Kadaster om eigendomsrechten en andere zakelijke rechten vast te leggen. Het perceel maakt onderdeel uit van de kadastrale gemeente Gulpen.
Het perceel waarop Oude Maastrichterweg 29 staat heeft een oppervlakte van 3515 m². Dit is een zeer groot perceel. De perceeloppervlakte wordt geregistreerd door het Kadaster. Gedetailleerde informatie over de maten van dit perceel kunt u vinden in het rapport Kadastrale kaart met maatvoering van Oude Maastrichterweg 29.
De eigenaar van Oude Maastrichterweg 29 is op te vragen op deze pagina.
De informatie over dit adres is afkomstig uit officiële overheidsregistraties, voornamelijk de Basisregistratie Adressen en Gebouwen (BAG) en de Basisregistratie Kadaster (BRK). Deze gegevens worden beheerd door respectievelijk gemeenten en het Kadaster, en worden regelmatig bijgewerkt. Energielabelgegevens komen uit de database van de Rijksdienst voor Ondernemend Nederland (RVO).
