
Het adres Frederikspark 1 bevindt zich in de plaats Haarlem, in de gemeente Haarlem en de provincie Noord-Holland. De oppervlakte van het verblijfsobject is met 369 m² aan de grote kant. Het perceel heeft een oppervlakte van 775 m². In vergelijking met de andere adressen in de straat is de oppervlakte van dit object relatief groot. Het grootste verblijfsobject heeft een oppervlakte van 496 m², de oppervlakte van het kleinste object bedraagt 13 m². Het adres Frederikspark 1 ligt in een relatief oud pand uit het jaar 1916. Panden van vóór het jaar 1965 hebben we hier geclassificeerd als oud. Dit object is relatief nieuw in de straat. Het nieuwste gebouw komt er uit het jaar 1972 en het oudste uit het jaar 1850. Het verblijfsobject heeft de volgende gebruiksdoelen: 'kantoorfunctie'.
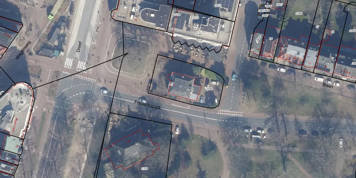
Het perceel waarop het adres ligt is HLM01-K-3146. De afkorting 'HLM01' staat voor kadastrale gemeente Haarlem. De gemiddelde perceeloppervlakte in de kadastrale gemeente Haarlem is 328,25 m². Dit perceel is met zijn 775 m² dus groter dan gemiddeld. De grootste perceeloppervlakte in de kadastrale gemeente is 13,9 ha. De kleinste oppervlakte bedraagt 0 m². Op het perceel bevinden zich geen andere adressen. In de Basisregistratie Kadaster (BRK) werden de grenzen van het perceel geregistreerd op 07-09-2001.
Er is geen energielabel geregistreerd voor het adres. Het hoogste energielabel in de straat is C; het laagste is G. Het gemiddelde energielabel is er D. Het adres Frederikspark 1 heeft als status: 'verblijfsobject in gebruik'. Het pand waarin dit adres ligt heeft als status: 'pand in gebruik'.
Frederikspark 1 is een adres gelegen in de gemeente Haarlem, provincie Noord-Holland. Dit adres is geregistreerd in de Basisregistratie Adressen en Gebouwen (BAG) met als unieke identificatie 0392010000019216.
Het pand op Frederikspark 1 is gebouwd in 1916, wat betekent dat het 110 jaar oud is. Dit is een ouder pand. Het pand heeft mogelijk aanzienlijke renovaties nodig om aan de huidige standaarden te voldoen.
De woning op Frederikspark 1 heeft een gebruiksoppervlakte van 369 m². Dit is ruim vergeleken met de gemiddelde Nederlandse woning, die een oppervlakte heeft van ongeveer 119 m². De gebruiksoppervlakte is de maat die wordt gebruikt in de BAG-registratie, de landelijke registratie van de Nederlandse overheid.
Frederikspark 1 heeft als functie: kantoor. Deze gebruiksfunctie(s) zijn vastgelegd in de BAG-registratie en geven aan waarvoor het adres officieel mag worden gebruikt.
Frederikspark 1 is gelegen op kadastraal perceel HLM01K3146. Deze kadastrale aanduiding is uniek en wordt gebruikt door het Kadaster om eigendomsrechten en andere zakelijke rechten vast te leggen. Het perceel maakt onderdeel uit van de kadastrale gemeente Haarlem.
Het perceel waarop Frederikspark 1 staat heeft een oppervlakte van 775 m². Dit is een groot perceel. De perceeloppervlakte wordt geregistreerd door het Kadaster. Gedetailleerde informatie over de maten van dit perceel kunt u vinden in het rapport Kadastrale kaart met maatvoering van Frederikspark 1.
De eigenaar van Frederikspark 1 is op te vragen op deze pagina.
De informatie over dit adres is afkomstig uit officiële overheidsregistraties, voornamelijk de Basisregistratie Adressen en Gebouwen (BAG) en de Basisregistratie Kadaster (BRK). Deze gegevens worden beheerd door respectievelijk gemeenten en het Kadaster, en worden regelmatig bijgewerkt. Energielabelgegevens komen uit de database van de Rijksdienst voor Ondernemend Nederland (RVO).
