
Laan van Angers 221 is gelegen in de plaats Haarlem, de gemeente Haarlem en de provincie Noord-Holland. Het perceel waarop het adres gelegen is heeft een oppervlakte van 3435 m². Het verblijfsobject is met 92 m² relatief klein. De oppervlakte van dit adres is groot vergeleken met de oppervlaktes van andere adressen in de straat. De kleinste oppervlakte bedraagt er 18 m², de grootste 850 m². In Nederland komt het grootste deel van de gebouwen uit de periode 1965-1984. Ook het bouwjaar van Laan van Angers 221 is afkomstig uit die periode: het betreft namelijk een pand uit 1969. Het bouwjaar is oud vergeleken met dat van de andere panden in de straat. Het oudste bouwjaar is er 1966 en de nieuwste is 1988. Het verblijfsobject heeft de volgende gebruiksdoelen: 'woonfunctie'.
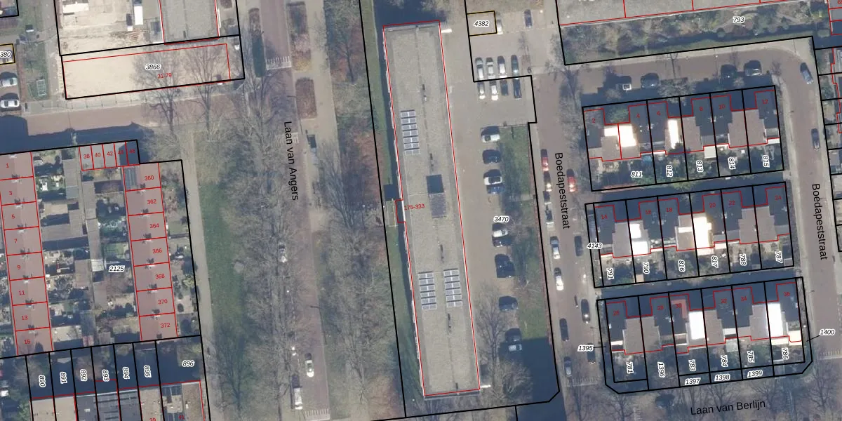
Het adres ligt op het perceel HLM02-Y-3470, dat zich in de kadastrale gemeente Haarlem bevindt. De gemiddelde perceeloppervlakte in de kadastrale gemeente Haarlem is 1123,97 m². Dit perceel is met zijn 3435 m² dus groter dan gemiddeld. Het grootste perceel in de kadastrale gemeente is 46,4 ha. Het kleinste perceel heeft een oppervlakte van 0 m². Er zijn 79 adressen aanwezig op het perceel. De laatste wijziging in het de Basisregistratie Kadaster (BRK) was op 01-08-2025.
Het adres ligt in een gebouw van het type 'appartement met het subtype tussenmidden'. Bij de laatste meting is voor het adres het energielabel A geregistreerd. Het hoogste energielabel in de straat is A; het laagste is G. Het gemiddelde energielabel is er B. Het adres Laan van Angers 221 heeft als status: 'verblijfsobject in gebruik'. Het pand waarin dit adres ligt heeft als status: 'pand in gebruik'.
Laan van Angers 221 is een adres gelegen in de gemeente Haarlem, provincie Noord-Holland. Dit adres is geregistreerd in de Basisregistratie Adressen en Gebouwen (BAG) met als unieke identificatie 0392010000034551.
Het pand op Laan van Angers 221 is gebouwd in 1969, wat betekent dat het 57 jaar oud is. Dit is een ouder pand. Het pand heeft mogelijk aanzienlijke renovaties nodig om aan de huidige standaarden te voldoen.
De woning op Laan van Angers 221 heeft een gebruiksoppervlakte van 92 m². Dit is onder het gemiddelde vergeleken met de gemiddelde Nederlandse woning, die een oppervlakte heeft van ongeveer 119 m². De gebruiksoppervlakte is de maat die wordt gebruikt in de BAG-registratie, de landelijke registratie van de Nederlandse overheid.
Laan van Angers 221 heeft als functie: wonen. Deze gebruiksfunctie(s) zijn vastgelegd in de BAG-registratie en geven aan waarvoor het adres officieel mag worden gebruikt.
Laan van Angers 221 is gelegen op kadastraal perceel HLM02Y3470. Deze kadastrale aanduiding is uniek en wordt gebruikt door het Kadaster om eigendomsrechten en andere zakelijke rechten vast te leggen. Het perceel maakt onderdeel uit van de kadastrale gemeente Haarlem.
Het perceel waarop Laan van Angers 221 staat heeft een oppervlakte van 3435 m². Dit is een zeer groot perceel. De perceeloppervlakte wordt geregistreerd door het Kadaster. Gedetailleerde informatie over de maten van dit perceel kunt u vinden in het rapport Kadastrale kaart met maatvoering van Laan van Angers 221.
De eigenaar van Laan van Angers 221 is op te vragen op deze pagina.
De informatie over dit adres is afkomstig uit officiële overheidsregistraties, voornamelijk de Basisregistratie Adressen en Gebouwen (BAG) en de Basisregistratie Kadaster (BRK). Deze gegevens worden beheerd door respectievelijk gemeenten en het Kadaster, en worden regelmatig bijgewerkt. Energielabelgegevens komen uit de database van de Rijksdienst voor Ondernemend Nederland (RVO).
