
Het adres Polenstraat 39 bevindt zich in de plaats Haarlem, in de gemeente Haarlem en de provincie Noord-Holland. Het verblijfsobject is vergeleken met het Nederlandse gemiddelde aan de kleine kant: de oppervlakte is 61 m². Het perceel waarop het adres zich bevindt heeft een oppervlakte van 5710 m². Het object is klein ten opzichte van de andere adressen in de straat. Het grootste verblijfsobject is 95 m² groot en het kleinste is 18 m². Het gebouw waarin Polenstraat 39 ligt komt uit het jaar 1962. Objecten die gebouwd zijn vóór 1965 classificeren we hier als oud. Het nieuwste gebouw in de straat komt uit 1965 en het oudste uit 1961. Dit object is relatief oud. De volgende gebruiksdoelen zijn geregistreerd voor dit adres: 'woonfunctie'.
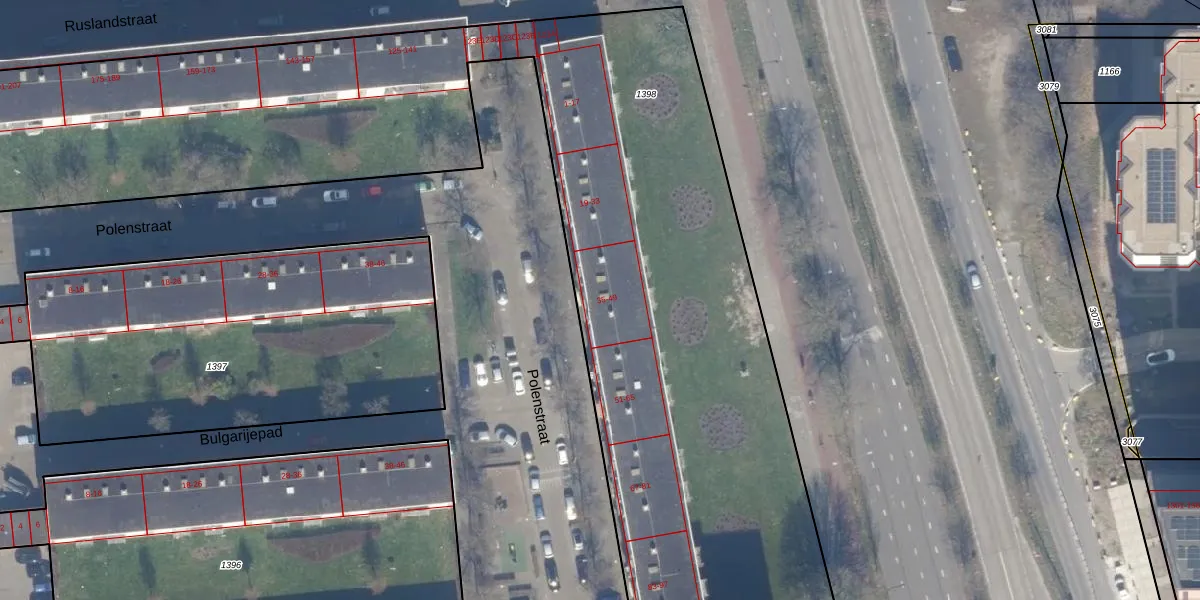
Het perceel waarop het adres ligt is HLM02-Q-1398. De afkorting 'HLM02' staat voor kadastrale gemeente Haarlem. De oppervlakte van het perceel is 5710 m². Dat is groter dan gemiddeld in Haarlem, waar de gemiddelde perceeloppervlakte op 1124,44 m² ligt. Het kleinste perceel in de kadastrale gemeente is 0 m² groot. De grootste perceeloppervlakte is 46,4 ha. Op het perceel liggen in totaal 104 adressen. In de Basisregistratie Kadaster (BRK) werden de grenzen van het perceel geregistreerd op 02-06-2005.
Het adres ligt in een gebouw van het type 'flatwoning (overig) met het subtype tussenmidden'. Bij de laatste meting is voor het adres het energielabel C geregistreerd. Het hoogste energielabel in de straat is B; het laagste is G. Het gemiddelde energielabel is er C. Het adres Polenstraat 39 heeft als status: 'verblijfsobject in gebruik'. Het pand waarin dit adres ligt heeft als status: 'pand in gebruik'.
Polenstraat 39 is een adres gelegen in de gemeente Haarlem, provincie Noord-Holland. Dit adres is geregistreerd in de Basisregistratie Adressen en Gebouwen (BAG) met als unieke identificatie 0392010000048276.
Het pand op Polenstraat 39 is gebouwd in 1962, wat betekent dat het 64 jaar oud is. Dit is een ouder pand. Het pand heeft mogelijk aanzienlijke renovaties nodig om aan de huidige standaarden te voldoen.
De woning op Polenstraat 39 heeft een gebruiksoppervlakte van 61 m². Dit is relatief klein vergeleken met de gemiddelde Nederlandse woning, die een oppervlakte heeft van ongeveer 119 m². De gebruiksoppervlakte is de maat die wordt gebruikt in de BAG-registratie, de landelijke registratie van de Nederlandse overheid.
Polenstraat 39 heeft als functie: wonen. Deze gebruiksfunctie(s) zijn vastgelegd in de BAG-registratie en geven aan waarvoor het adres officieel mag worden gebruikt.
Polenstraat 39 is gelegen op kadastraal perceel HLM02Q1398. Deze kadastrale aanduiding is uniek en wordt gebruikt door het Kadaster om eigendomsrechten en andere zakelijke rechten vast te leggen. Het perceel maakt onderdeel uit van de kadastrale gemeente Haarlem.
Het perceel waarop Polenstraat 39 staat heeft een oppervlakte van 5710 m². Dit is een zeer groot perceel. De perceeloppervlakte wordt geregistreerd door het Kadaster. Gedetailleerde informatie over de maten van dit perceel kunt u vinden in het rapport Kadastrale kaart met maatvoering van Polenstraat 39.
De eigenaar van Polenstraat 39 is op te vragen op deze pagina.
De informatie over dit adres is afkomstig uit officiële overheidsregistraties, voornamelijk de Basisregistratie Adressen en Gebouwen (BAG) en de Basisregistratie Kadaster (BRK). Deze gegevens worden beheerd door respectievelijk gemeenten en het Kadaster, en worden regelmatig bijgewerkt. Energielabelgegevens komen uit de database van de Rijksdienst voor Ondernemend Nederland (RVO).
