
Het adres Stresemannlaan 103 bevindt zich in de plaats Haarlem, in de gemeente Haarlem en de provincie Noord-Holland. Het perceel waarop het adres gelegen is heeft een oppervlakte van 3815 m². Het verblijfsobject is met 81 m² relatief klein. De oppervlakte van dit adres is groot vergeleken met de oppervlaktes van andere adressen in de straat. De kleinste oppervlakte bedraagt er 40 m², de grootste 360 m². De meeste Nederlandse gebouwen zijn gebouwd in de periode 1965-1984. Zo ook het pand waarin Stresemannlaan 103 ligt, dat gebouwd is in 1969. Het bouwjaar is oud vergeleken met dat van de andere panden in de straat. Het oudste bouwjaar is er 1968 en de nieuwste is 2001. Voor het verblijfsobject gelden deze gebruiksdoelen: 'woonfunctie'.
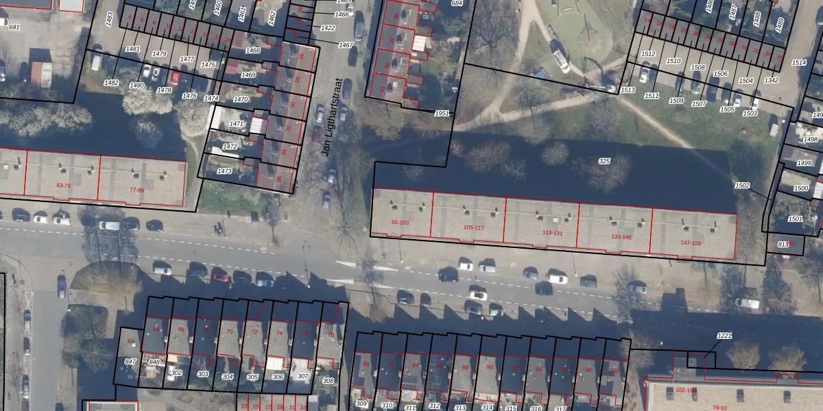
Het adres ligt op het perceel HLM02-X-325, dat zich in de kadastrale gemeente Haarlem bevindt. Het perceel is met 3815 m² relatief groot. Het gemiddelde ligt in de kadastrale gemeente Haarlem op 1124,37 m². De grootste perceeloppervlakte in de kadastrale gemeente is 46,4 ha. De kleinste oppervlakte bedraagt 0 m². Er zijn 35 adressen aanwezig op het perceel. In de Basisregistratie Kadaster (BRK) werden de grenzen van het perceel geregistreerd op 22-08-2023.
Het adres ligt in een gebouw van het type 'flatwoning (overig) met het subtype tussendak'. Bij de laatste meting is voor het adres het energielabel A geregistreerd. Het hoogste energielabel in de straat is A; het laagste is G. Het gemiddelde energielabel is er B. Het adres Stresemannlaan 103 heeft als status: 'verblijfsobject in gebruik'. Het pand waarin dit adres ligt heeft als status: 'pand in gebruik'.
Stresemannlaan 103 is een adres gelegen in de gemeente Haarlem, provincie Noord-Holland. Dit adres is geregistreerd in de Basisregistratie Adressen en Gebouwen (BAG) met als unieke identificatie 0392010000062343.
Het pand op Stresemannlaan 103 is gebouwd in 1969, wat betekent dat het 57 jaar oud is. Dit is een ouder pand. Het pand heeft mogelijk aanzienlijke renovaties nodig om aan de huidige standaarden te voldoen.
De woning op Stresemannlaan 103 heeft een gebruiksoppervlakte van 81 m². Dit is onder het gemiddelde vergeleken met de gemiddelde Nederlandse woning, die een oppervlakte heeft van ongeveer 119 m². De gebruiksoppervlakte is de maat die wordt gebruikt in de BAG-registratie, de landelijke registratie van de Nederlandse overheid.
Stresemannlaan 103 heeft als functie: wonen. Deze gebruiksfunctie(s) zijn vastgelegd in de BAG-registratie en geven aan waarvoor het adres officieel mag worden gebruikt.
Stresemannlaan 103 is gelegen op kadastraal perceel HLM02X325. Deze kadastrale aanduiding is uniek en wordt gebruikt door het Kadaster om eigendomsrechten en andere zakelijke rechten vast te leggen. Het perceel maakt onderdeel uit van de kadastrale gemeente Haarlem.
Het perceel waarop Stresemannlaan 103 staat heeft een oppervlakte van 3815 m². Dit is een zeer groot perceel. De perceeloppervlakte wordt geregistreerd door het Kadaster. Gedetailleerde informatie over de maten van dit perceel kunt u vinden in het rapport Kadastrale kaart met maatvoering van Stresemannlaan 103.
De eigenaar van Stresemannlaan 103 is op te vragen op deze pagina.
De informatie over dit adres is afkomstig uit officiële overheidsregistraties, voornamelijk de Basisregistratie Adressen en Gebouwen (BAG) en de Basisregistratie Kadaster (BRK). Deze gegevens worden beheerd door respectievelijk gemeenten en het Kadaster, en worden regelmatig bijgewerkt. Energielabelgegevens komen uit de database van de Rijksdienst voor Ondernemend Nederland (RVO).
