
Het adres Van Konijnenburgstraat 12-G bevindt zich in de plaats Haarlem, in de gemeente Haarlem en de provincie Noord-Holland. Het perceel waarop het adres gelegen is heeft een oppervlakte van 7433 m². Het verblijfsobject is met 22 m² relatief klein. Het adres is klein vergeleken met andere objecten in de straat. Het grootste object in de straat heeft een oppervlakte van 122 m², het kleinste is 18 m² groot. De gemiddelde bouwperiode van gebouwen in Nederland ligt tussen de jaren 1965-1984. Dat geldt ook voor het bouwjaar van Van Konijnenburgstraat 12-G: het is gebouwd in het jaar 1967. Het gemiddelde bouwjaar in de straat is 1967 en dat van het nieuwste object 1969. In de straat is dit het oudste pand. De volgende gebruiksdoelen zijn geregistreerd voor dit adres: 'overige gebruiksfunctie'.
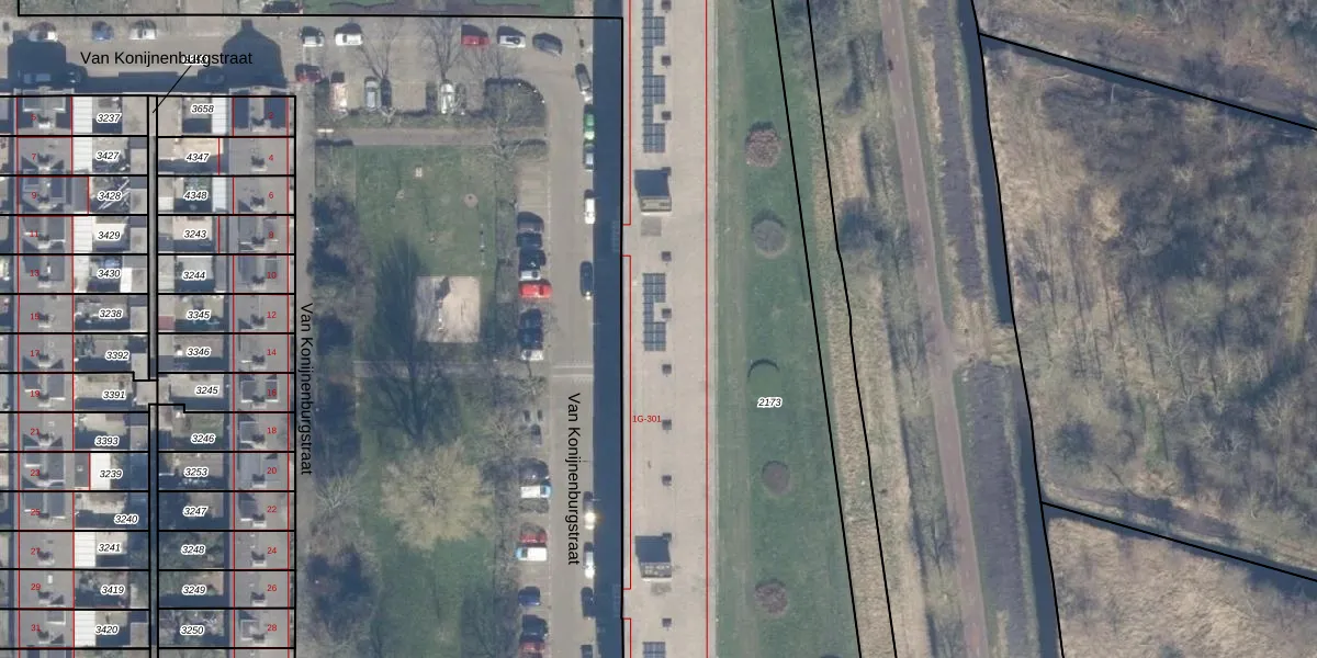
Het adres ligt op het perceel HLM02-P-2173, dat zich in de kadastrale gemeente Haarlem bevindt. De oppervlakte van het perceel is 7433 m². Dat is groter dan gemiddeld in Haarlem, waar de gemiddelde perceeloppervlakte op 1125,45 m² ligt. Het kleinste perceel in de kadastrale gemeente is 0 m² groot. De grootste perceeloppervlakte is 46,4 ha. Er zijn 163 adressen aanwezig op het perceel. In de Basisregistratie Kadaster (BRK) werden de grenzen van het perceel geregistreerd op 19-01-2006.
Er is geen energielabel geregistreerd voor het adres. Het hoogste energielabel in de straat is A; het laagste is G. Het gemiddelde energielabel is er C. Het adres Van Konijnenburgstraat 12-G heeft als status: 'verblijfsobject in gebruik'. Het pand waarin dit adres ligt heeft als status: 'pand in gebruik'.
Van Konijnenburgstraat 12-G is een adres gelegen in de gemeente Haarlem, provincie Noord-Holland. Dit adres is geregistreerd in de Basisregistratie Adressen en Gebouwen (BAG) met als unieke identificatie 0392010000066437.
Het pand op Van Konijnenburgstraat 12-G is gebouwd in 1967, wat betekent dat het 59 jaar oud is. Dit is een ouder pand. Het pand heeft mogelijk aanzienlijke renovaties nodig om aan de huidige standaarden te voldoen.
De woning op Van Konijnenburgstraat 12-G heeft een gebruiksoppervlakte van 22 m². Dit is relatief klein vergeleken met de gemiddelde Nederlandse woning, die een oppervlakte heeft van ongeveer 119 m². De gebruiksoppervlakte is de maat die wordt gebruikt in de BAG-registratie, de landelijke registratie van de Nederlandse overheid.
Van Konijnenburgstraat 12-G heeft als functie: overige doeleinden. Deze gebruiksfunctie(s) zijn vastgelegd in de BAG-registratie en geven aan waarvoor het adres officieel mag worden gebruikt.
Van Konijnenburgstraat 12-G is gelegen op kadastraal perceel HLM02P2173. Deze kadastrale aanduiding is uniek en wordt gebruikt door het Kadaster om eigendomsrechten en andere zakelijke rechten vast te leggen. Het perceel maakt onderdeel uit van de kadastrale gemeente Haarlem.
Het perceel waarop Van Konijnenburgstraat 12-G staat heeft een oppervlakte van 7433 m². Dit is een zeer groot perceel. De perceeloppervlakte wordt geregistreerd door het Kadaster. Gedetailleerde informatie over de maten van dit perceel kunt u vinden in het rapport Kadastrale kaart met maatvoering van Van Konijnenburgstraat 12-G.
De eigenaar van Van Konijnenburgstraat 12-G is op te vragen op deze pagina
De informatie over dit adres is afkomstig uit officiële overheidsregistraties, voornamelijk de Basisregistratie Adressen en Gebouwen (BAG) en de Basisregistratie Kadaster (BRK). Deze gegevens worden beheerd door respectievelijk gemeenten en het Kadaster, en worden regelmatig bijgewerkt. Energielabelgegevens komen uit de database van de Rijksdienst voor Ondernemend Nederland (RVO).
