
Het adres Peter Schreursweg 48 bevindt zich in de plaats Haelen, in de gemeente Haelen en de provincie Limburg. De oppervlakte bedraagt 281 m², waarmee het adres groter dan gemiddeld is. De grootte van het perceel waarop het adres ligt is 3010 m². De oppervlakte van het adres is klein vergeleken met de andere objecten in de straat. De oppervlakte van het kleinste object in de straat bedraagt 13 m², terwijl het grootste object 3717 m² groot is. Het adres Peter Schreursweg 48 ligt in een relatief oud pand uit het jaar 1927. Panden van vóór het jaar 1965 hebben we hier geclassificeerd als oud. Dit is het oudste object in de straat. Het nieuwste pand komt uit 2016 en het gemiddelde bouwjaar in de straat is 1969. De volgende gebruiksdoelen zijn geregistreerd voor dit adres: 'woonfunctie'.
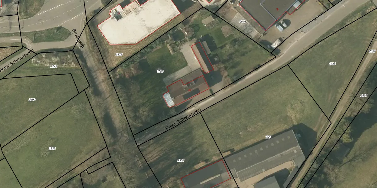
Het adres is gelegen op perceel 1569 in de sectie B en de kadastrale gemeente Haelen. De kadastrale aanduiding is aldus HLN02-B-1569. Het perceel is 3010 m² groot. Dat is kleiner dan de gemiddelde perceeloppervlakte in Haelen, dat op 3300,87 m² ligt. De grootste perceeloppervlakte in de kadastrale gemeente is 44,2 ha. De kleinste oppervlakte bedraagt 0 m². Er zijn geen andere adressen aanwezig op het perceel. In de Basisregistratie Kadaster (BRK) werden de grenzen van het perceel geregistreerd op 15-01-2008.
Er is geen energielabel geregistreerd voor het adres. Het hoogste energielabel in de straat is D; het laagste is G. Het gemiddelde energielabel is er E. Het adres Peter Schreursweg 48 heeft als status: 'verblijfsobject in gebruik'. Het pand waarin dit adres ligt heeft als status: 'pand in gebruik'.
Peter Schreursweg 48 is een adres gelegen in de gemeente Leudal, provincie Limburg. Dit adres is geregistreerd in de Basisregistratie Adressen en Gebouwen (BAG) met als unieke identificatie 1640010000011643.
Het pand op Peter Schreursweg 48 is gebouwd in 1927, wat betekent dat het 99 jaar oud is. Dit is een ouder pand. Het pand heeft mogelijk aanzienlijke renovaties nodig om aan de huidige standaarden te voldoen.
De woning op Peter Schreursweg 48 heeft een gebruiksoppervlakte van 281 m². Dit is ruim vergeleken met de gemiddelde Nederlandse woning, die een oppervlakte heeft van ongeveer 119 m². De gebruiksoppervlakte is de maat die wordt gebruikt in de BAG-registratie, de landelijke registratie van de Nederlandse overheid.
Peter Schreursweg 48 heeft als functie: wonen. Deze gebruiksfunctie(s) zijn vastgelegd in de BAG-registratie en geven aan waarvoor het adres officieel mag worden gebruikt.
Peter Schreursweg 48 is gelegen op kadastraal perceel HLN02B1569. Deze kadastrale aanduiding is uniek en wordt gebruikt door het Kadaster om eigendomsrechten en andere zakelijke rechten vast te leggen. Het perceel maakt onderdeel uit van de kadastrale gemeente Haelen.
Het perceel waarop Peter Schreursweg 48 staat heeft een oppervlakte van 3010 m². Dit is een zeer groot perceel. De perceeloppervlakte wordt geregistreerd door het Kadaster. Gedetailleerde informatie over de maten van dit perceel kunt u vinden in het rapport Kadastrale kaart met maatvoering van Peter Schreursweg 48.
De eigenaar van Peter Schreursweg 48 is op te vragen op deze pagina.
De informatie over dit adres is afkomstig uit officiële overheidsregistraties, voornamelijk de Basisregistratie Adressen en Gebouwen (BAG) en de Basisregistratie Kadaster (BRK). Deze gegevens worden beheerd door respectievelijk gemeenten en het Kadaster, en worden regelmatig bijgewerkt. Energielabelgegevens komen uit de database van de Rijksdienst voor Ondernemend Nederland (RVO).
