
Handelseweg 104 is een adres in Handel, dat zich bevindt binnen de gemeentegrenzen van Handel en de grenzen van de provincie Noord-Brabant. De oppervlakte van het verblijfsobject is met 195 m² aan de grote kant. Het perceel heeft een oppervlakte van 804 m². Het object is klein ten opzichte van de andere adressen in de straat. Het grootste verblijfsobject is 6138 m² groot en het kleinste is 9 m². Handelseweg 104 bevindt zich in een pand uit het jaar 1900. Daarmee behoort het tot de groep relatief oude panden in Nederland die gebouwd zijn vóór 1965. Het nieuwste gebouw in de straat komt uit 2024 en het oudste uit 1890. Dit object is relatief oud. Voor het verblijfsobject gelden deze gebruiksdoelen: 'woonfunctie'.
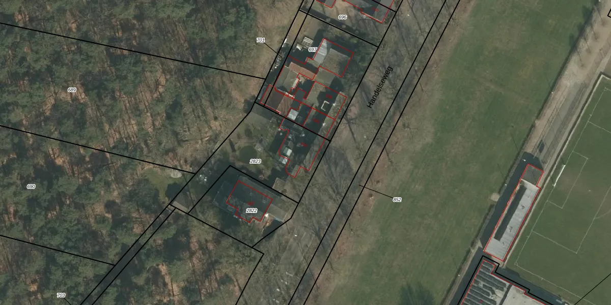
Het perceel waarop het adres ligt is GMT00-O-2823. De afkorting 'GMT00' staat voor kadastrale gemeente Gemert. De gemiddelde perceelgrootte in Gemert is 4648,98 m². Dit perceel is kleiner: de perceeloppervlakte bedraagt 804 m². Het grootste perceel in de kadastrale gemeente is 67,8 ha. Het kleinste perceel heeft een oppervlakte van 0 m². Op het perceel bevinden zich geen andere adressen. De huidige grenzen van het perceel zijn digitaal in de Basisregistratie Kadaster (BRK) geregistreerd op 12-12-2017.
Er is geen energielabel geregistreerd voor het adres. Het hoogste energielabel in de straat is A; het laagste is G. Het gemiddelde energielabel is er D. Het adres Handelseweg 104 heeft als status: 'verblijfsobject in gebruik'. Het pand waarin dit adres ligt heeft als status: 'pand in gebruik'.
Handelseweg 104 is een adres gelegen in de gemeente Gemert-Bakel, provincie Noord-Brabant. Dit adres is geregistreerd in de Basisregistratie Adressen en Gebouwen (BAG) met als unieke identificatie 1652010000011841.
Het pand op Handelseweg 104 is gebouwd in 1900, wat betekent dat het 126 jaar oud is. Dit is een ouder pand. Het pand heeft mogelijk aanzienlijke renovaties nodig om aan de huidige standaarden te voldoen.
De woning op Handelseweg 104 heeft een gebruiksoppervlakte van 195 m². Dit is ruim vergeleken met de gemiddelde Nederlandse woning, die een oppervlakte heeft van ongeveer 119 m². De gebruiksoppervlakte is de maat die wordt gebruikt in de BAG-registratie, de landelijke registratie van de Nederlandse overheid.
Handelseweg 104 heeft als functie: wonen. Deze gebruiksfunctie(s) zijn vastgelegd in de BAG-registratie en geven aan waarvoor het adres officieel mag worden gebruikt.
Handelseweg 104 is gelegen op kadastraal perceel GMT00O2823. Deze kadastrale aanduiding is uniek en wordt gebruikt door het Kadaster om eigendomsrechten en andere zakelijke rechten vast te leggen. Het perceel maakt onderdeel uit van de kadastrale gemeente Gemert.
Het perceel waarop Handelseweg 104 staat heeft een oppervlakte van 804 m². Dit is een groot perceel. De perceeloppervlakte wordt geregistreerd door het Kadaster. Gedetailleerde informatie over de maten van dit perceel kunt u vinden in het rapport Kadastrale kaart met maatvoering van Handelseweg 104.
De eigenaar van Handelseweg 104 is op te vragen op deze pagina.
De informatie over dit adres is afkomstig uit officiële overheidsregistraties, voornamelijk de Basisregistratie Adressen en Gebouwen (BAG) en de Basisregistratie Kadaster (BRK). Deze gegevens worden beheerd door respectievelijk gemeenten en het Kadaster, en worden regelmatig bijgewerkt. Energielabelgegevens komen uit de database van de Rijksdienst voor Ondernemend Nederland (RVO).
