
Het adres Haveltweg 63-T238 bevindt zich in de plaats Handel, in de gemeente Handel en de provincie Noord-Brabant. Het verblijfsobject is vergeleken met het Nederlandse gemiddelde aan de kleine kant: de oppervlakte is 58 m². Het perceel waarop het adres zich bevindt heeft een oppervlakte van 952 m². Het object is klein ten opzichte van de andere adressen in de straat. Het grootste verblijfsobject is 1231 m² groot en het kleinste is 9 m². Het pand waarin Haveltweg 63-T238 ligt is gebouwd in het jaar 2011. Panden die gebouwd zijn na het jaar 1984 noemen we hier relatief nieuw. Het nieuwste gebouw in de straat komt uit 2026 en het oudste uit 1924. Dit object is relatief oud. Het verblijfsobject heeft de volgende gebruiksdoelen: 'logiesfunctie'.
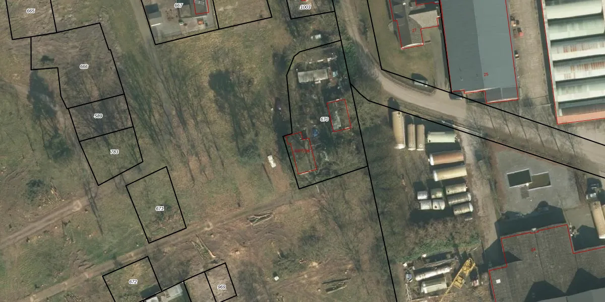
Het perceel waarop het adres ligt is GMT00-P-670. De afkorting 'GMT00' staat voor kadastrale gemeente Gemert. Het perceel is kleiner dan gemiddeld in Gemert. Het perceel is 952 m² groot, terwijl het gemiddelde ligt op 4648,6 m². Het kleinste perceel in de kadastrale gemeente is 0 m² groot. De grootste perceeloppervlakte is 67,8 ha. Op het perceel bevinden zich geen andere adressen. In de Basisregistratie Kadaster (BRK) werden de grenzen van het perceel geregistreerd op 08-09-2008.
Er is geen energielabel geregistreerd voor het adres. Het hoogste energielabel in de straat is A; het laagste is G. Het gemiddelde energielabel is er D. Het adres Haveltweg 63-T238 heeft als status: 'verblijfsobject in gebruik'. Het pand waarin dit adres ligt heeft als status: 'pand in gebruik'.
Haveltweg 63-T238 is een adres gelegen in de gemeente Gemert-Bakel, provincie Noord-Brabant. Dit adres is geregistreerd in de Basisregistratie Adressen en Gebouwen (BAG) met als unieke identificatie 1652010000013763.
Het pand op Haveltweg 63-T238 is gebouwd in 2011, wat betekent dat het 15 jaar oud is. Dit is een relatief modern pand. Ten opzichte van de nationale woningvoorraad is het pand relatief modern, maar er kunnen enkele verouderde elementen zijn die aandacht nodig hebben.
De woning op Haveltweg 63-T238 heeft een gebruiksoppervlakte van 58 m². Dit is relatief klein vergeleken met de gemiddelde Nederlandse woning, die een oppervlakte heeft van ongeveer 119 m². De gebruiksoppervlakte is de maat die wordt gebruikt in de BAG-registratie, de landelijke registratie van de Nederlandse overheid.
Haveltweg 63-T238 heeft als functie: logies/verblijf. Deze gebruiksfunctie(s) zijn vastgelegd in de BAG-registratie en geven aan waarvoor het adres officieel mag worden gebruikt.
Haveltweg 63-T238 is gelegen op kadastraal perceel GMT00P670. Deze kadastrale aanduiding is uniek en wordt gebruikt door het Kadaster om eigendomsrechten en andere zakelijke rechten vast te leggen. Het perceel maakt onderdeel uit van de kadastrale gemeente Gemert.
Het perceel waarop Haveltweg 63-T238 staat heeft een oppervlakte van 952 m². Dit is een groot perceel. De perceeloppervlakte wordt geregistreerd door het Kadaster. Gedetailleerde informatie over de maten van dit perceel kunt u vinden in het rapport Kadastrale kaart met maatvoering van Haveltweg 63-T238.
De eigenaar van Haveltweg 63-T238 is op te vragen op deze pagina.
De informatie over dit adres is afkomstig uit officiële overheidsregistraties, voornamelijk de Basisregistratie Adressen en Gebouwen (BAG) en de Basisregistratie Kadaster (BRK). Deze gegevens worden beheerd door respectievelijk gemeenten en het Kadaster, en worden regelmatig bijgewerkt. Energielabelgegevens komen uit de database van de Rijksdienst voor Ondernemend Nederland (RVO).
