Product Functies Prijzen Meer

Adressen

Gebruik de zoekbalk of klik op een perceel voor informatie over de adressen binnen dit perceel.
Locatie
Meten
Lagen
Download

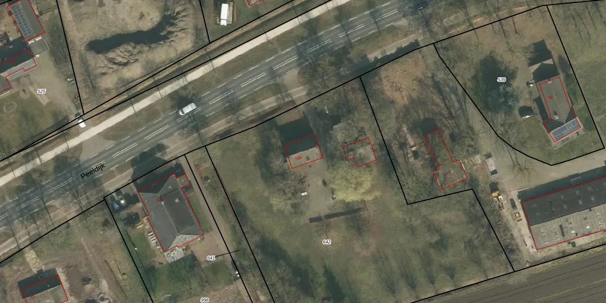
Peeldijk 53-a

5423VB, Handel

1519312 Wat moet ik bieden voor deze woning?
116 m²
woonfunctie
4.668 m² perceeloppervlakte
?

Peeldijk 53-a is een adres in Handel, dat zich bevindt binnen de gemeentegrenzen van Handel en de grenzen van de provincie Noord-Brabant. Het perceel waarop het verblijfsobject staat is 4668 m² groot. De oppervlakte van het adres is 116 m², wat zich rond het Nederlandse gemiddelde van 119 m² bevindt. Het object is klein ten opzichte van de andere adressen in de straat. Het grootste verblijfsobject is 2814 m² groot en het kleinste is 111 m². Het pand waarin Peeldijk 53-a ligt is gebouwd in het jaar 1987. Panden die gebouwd zijn na het jaar 1984 noemen we hier relatief nieuw. In de straat komt het nieuwste gebouw uit het jaar 2024 en het oudste uit 1915. Het bouwjaar van dit object is relatief oud. Het verblijfsobject heeft de volgende gebruiksdoelen: 'woonfunctie'.

Verkoopdata beschikbaar

Deze woning is voor het laatst verkocht op 1 november 2003. Meer informatie over deze transactie? Bestel het Woningtransactierapport om de verkoopprijs en andere informatie te zien.

Perceel

Het perceel waarop het adres ligt is GMT00-P-642. De afkorting 'GMT00' staat voor kadastrale gemeente Gemert. De gemiddelde perceeloppervlakte in de kadastrale gemeente Gemert is 4648,98 m². Dit perceel is met zijn 4668 m² dus groter dan gemiddeld. Het kleinste perceel in de kadastrale gemeente is 0 m² groot. De grootste perceeloppervlakte is 67,8 ha. Er zijn geen andere adressen aanwezig op het perceel. De huidige grenzen van het perceel zijn digitaal in de Basisregistratie Kadaster (BRK) geregistreerd op 29-03-2005.

Energielabel en status

Er is geen energielabel geregistreerd voor het adres. Het hoogste energielabel in de straat is B; het laagste is G. Het gemiddelde energielabel is er D. Het adres Peeldijk 53-a heeft als status: 'verblijfsobject in gebruik'. Het pand waarin dit adres ligt heeft als status: 'pand in gebruik'.

Meer lezen

Adres

Gebruiksoppervlakte
116 m²
Bruto vloeroppervlakte
cwTAcTBVXMbO 8 ChW4dUpgrade naar KadastraleKaart Pro
Gebruiksdoel(en)
Woonfunctie
Status
Verblijfsobject in gebruik
Type
Onbekend
Gasloos
I0jhSf4g42GT 6Upgrade naar KadastraleKaart Pro
Gebeurtenissen
Appartementsrechten
YP3fkeVxcgUpgrade naar KadastraleKaart Pro
Eigenaar
Eigendomsinformatie 12,95
Adresinformatie bestellen
Adrespakket 34,95
VBO ID
1652010000010411
Woning laatst verkocht in
2003 -
Verkoopprijs opvragen 8,95

Pand

Bouwjaar pand
1987
Aantal adressen in dit gebouw
1 adres
Hoogte pand
ZvlLfsHHUpgrade naar KadastraleKaart Pro
Aantal bouwlagen (schatting)
BFM4PqSilF8hQUpgrade naar KadastraleKaart Pro
Volume
DYyxmT zm2390vKUpgrade naar KadastraleKaart Pro
Oppervlakte dak
t8qDpNJwN4g 17JUpgrade naar KadastraleKaart Pro
Oppervlakte buitenmuur
NYJgSthtHQqKhjNM7Exd2 Upgrade naar KadastraleKaart Pro
Status pand
Pand in gebruik
Pand ID
1652100000011248

Perceel

Kadastrale aanduiding
Gemert P 642 (GMT00 P 642)
Oppervlakte
4.668 m²
Maatvoering
Kadastrale kaart met maatvoering 59,95
Omtrek
301 meter
Datum laatst gewijzigd
29/03/2005
Aantal adressen op perceel
1
Hoogte boven N.A.P.
VC4VplLnUpgrade naar KadastraleKaart Pro

Veelgestelde vragen

Peeldijk 53-a is een adres gelegen in de gemeente Gemert-Bakel, provincie Noord-Brabant. Dit adres is geregistreerd in de Basisregistratie Adressen en Gebouwen (BAG) met als unieke identificatie 1652010000010411.

Het pand op Peeldijk 53-a is gebouwd in 1987, wat betekent dat het 39 jaar oud is. Dit is een pand van middelbare leeftijd. Het pand is van gemiddelde leeftijd en zal waarschijnlijk verouderde elementen bevatten.

De woning op Peeldijk 53-a heeft een gebruiksoppervlakte van 116 m². Dit is onder het gemiddelde vergeleken met de gemiddelde Nederlandse woning, die een oppervlakte heeft van ongeveer 119 m². De gebruiksoppervlakte is de maat die wordt gebruikt in de BAG-registratie, de landelijke registratie van de Nederlandse overheid.

Peeldijk 53-a heeft als functie: wonen. Deze gebruiksfunctie(s) zijn vastgelegd in de BAG-registratie en geven aan waarvoor het adres officieel mag worden gebruikt.

Peeldijk 53-a is gelegen op kadastraal perceel GMT00P642. Deze kadastrale aanduiding is uniek en wordt gebruikt door het Kadaster om eigendomsrechten en andere zakelijke rechten vast te leggen. Het perceel maakt onderdeel uit van de kadastrale gemeente Gemert.

Het perceel waarop Peeldijk 53-a staat heeft een oppervlakte van 4668 m². Dit is een zeer groot perceel. De perceeloppervlakte wordt geregistreerd door het Kadaster. Gedetailleerde informatie over de maten van dit perceel kunt u vinden in het rapport Kadastrale kaart met maatvoering van Peeldijk 53-a.

De eigenaar van Peeldijk 53-a is op te vragen op deze pagina.

De informatie over dit adres is afkomstig uit officiële overheidsregistraties, voornamelijk de Basisregistratie Adressen en Gebouwen (BAG) en de Basisregistratie Kadaster (BRK). Deze gegevens worden beheerd door respectievelijk gemeenten en het Kadaster, en worden regelmatig bijgewerkt. Energielabelgegevens komen uit de database van de Rijksdienst voor Ondernemend Nederland (RVO).

Maatvoeringsrapport

Wie is de eigenaar?

Bekijk de eigenaar van Peeldijk 53-a met de eigendomsinformatie.
Bekijk de eigenaar van dit adres.
Maatvoeringsrapport

Maatvoering van het perceel

Bestel de maatvoering voor Peeldijk 53-a met het maatvoeringsrapport.
Bestel de maatvoering voor dit adres.

360°-foto's van de omgeving

Google Street View
Upgrade nu voor 360° Street View foto's

Zon en schaduw rondom adres

Buurt
Verspreide huizen Heereveld
Inwoners: 270
Woningen: 87
Wijk
Wijk 03 Handel
Inwoners: 1.870
Woningen: 443
Gemeente
Gemert-Bakel
Inwoners: 31.435
Woningen: 12.859