Product Functies Prijzen Meer

Adressen

Gebruik de zoekbalk of klik op een perceel voor informatie over de adressen binnen dit perceel.
Locatie
Meten
Lagen
Download

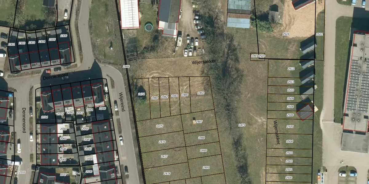
Wijersakker 21

5527MD, Hapert

€ 1519312 Wat moet ik bieden voor deze woning?
108 m²
woonfunctie
116 m² perceeloppervlakte
?

Wijersakker 21 is gelegen in de plaats Hapert, de gemeente Bladel en de provincie Noord-Brabant. De oppervlakte van het adres is 108 m². Dat is vergelijkbaar met het gemiddelde Nederlandse oppervlakte van 119 m². De oppervlakte van het perceel waarin het adres ligt is 116 m². De oppervlakte van dit adres is groot vergeleken met de oppervlaktes van andere adressen in de straat. De kleinste oppervlakte bedraagt er 5 m², de grootste 143 m². Het pand waarin Wijersakker 21 ligt is gebouwd in het jaar 2026. Panden die gebouwd zijn na het jaar 1984 noemen we hier relatief nieuw. Dit pand is het meest recent exemplaar in de straat. Het oudste object komt er uit 2026 en het gemiddelde bouwjaar is 2026. Het verblijfsobject heeft de volgende gebruiksdoelen: 'woonfunctie'.

Perceel

Het adres ligt op het perceel HGL04-G-2486, dat zich in de kadastrale gemeente Hoogeloon bevindt. Het perceel is kleiner dan gemiddeld in Hoogeloon. Het perceel is 116 m² groot, terwijl het gemiddelde ligt op 5347,59 m². Het kleinste perceel in de kadastrale gemeente is 0 m² groot. De grootste perceeloppervlakte is 4,36 km². Op het perceel bevinden zich geen andere adressen. De laatste wijziging in het de Basisregistratie Kadaster (BRK) was op 03-03-2026.

Energielabel en status

Er is geen energielabel geregistreerd voor het adres. Het hoogste energielabel in de straat is G; het laagste is G. Het gemiddelde energielabel is er G. Het adres Wijersakker 21 heeft als status: 'verblijfsobject gevormd'. Het pand waarin dit adres ligt heeft als status: 'bouwvergunning verleend'.

Meer lezen

Adres

Gebruiksoppervlakte
108 m²
Bruto vloeroppervlakte
oMIyl69QvH 6wK3RUjuUpgrade naar KadastraleKaart Pro
Gebruiksdoel(en)
Woonfunctie
Status
Verblijfsobject gevormd
Type
Onbekend
Gasloos
g9V8 K6TQpy0DaOU1jvF8hNUpgrade naar KadastraleKaart Pro
Gebeurtenissen
Appartementsrechten
QpmU ZsiEOoinrUpgrade naar KadastraleKaart Pro
Eigenaar
Eigendomsinformatie 12,95
Adresinformatie bestellen
Adrespakket 34,95
VBO ID
1728010000904659

Pand

Bouwjaar pand
2026
Aantal adressen in dit gebouw
1 adres
Hoogte pand
7PLjXmyusLOzrp6e3MGUpgrade naar KadastraleKaart Pro
Aantal bouwlagen (schatting)
1 glSNWkh8Upgrade naar KadastraleKaart Pro
Volume
BMECggT f zesr7b9TUpgrade naar KadastraleKaart Pro
Oppervlakte dak
bba5leXCMk6Ml9y8wnUpgrade naar KadastraleKaart Pro
Oppervlakte buitenmuur
xIPCs0ORvIWvPbbM7 Lu mUpgrade naar KadastraleKaart Pro
Status pand
Bouwvergunning verleend
Pand ID
1728100000904658

Perceel

Kadastrale aanduiding
Hoogeloon G 2486 (HGL04 G 2486)
Oppervlakte
116 m²
Maatvoering
Kadastrale kaart met maatvoering 59,95
Omtrek
52 meter
Datum laatst gewijzigd
03/03/2026
Aantal adressen op perceel
1
Hoogte boven N.A.P.
mSNB7 a65JPW 5 AUF9lxUpgrade naar KadastraleKaart Pro

Veelgestelde vragen

Wijersakker 21 is een adres gelegen in de gemeente Bladel, provincie Noord-Brabant. Dit adres is geregistreerd in de Basisregistratie Adressen en Gebouwen (BAG) met als unieke identificatie 1728010000904659.

Het pand op Wijersakker 21 is gebouwd in 2026, wat betekent dat het 0 jaar oud is. Dit is een vrij nieuw pand. Het pand is dus waarschijnlijk goed geĆÆsoleerd, geluidsdicht en voldoet aan de huidige bouwstandaarden. Op korte termijn zijn er waarschijnlijk weinig onderhoudskosten.

De woning op Wijersakker 21 heeft een gebruiksoppervlakte van 108 m². Dit is onder het gemiddelde vergeleken met de gemiddelde Nederlandse woning, die een oppervlakte heeft van ongeveer 119 m². De gebruiksoppervlakte is de maat die wordt gebruikt in de BAG-registratie, de landelijke registratie van de Nederlandse overheid.

Wijersakker 21 heeft als functie: wonen. Deze gebruiksfunctie(s) zijn vastgelegd in de BAG-registratie en geven aan waarvoor het adres officieel mag worden gebruikt.

Wijersakker 21 is gelegen op kadastraal perceel HGL04G2486. Deze kadastrale aanduiding is uniek en wordt gebruikt door het Kadaster om eigendomsrechten en andere zakelijke rechten vast te leggen. Het perceel maakt onderdeel uit van de kadastrale gemeente Hoogeloon.

Het perceel waarop Wijersakker 21 staat heeft een oppervlakte van 116 m². Dit is een middelgroot perceel. De perceeloppervlakte wordt geregistreerd door het Kadaster. Gedetailleerde informatie over de maten van dit perceel kunt u vinden in het rapport Kadastrale kaart met maatvoering van Wijersakker 21.

De eigenaar van Wijersakker 21 is op te vragen op deze pagina.

De informatie over dit adres is afkomstig uit officiƫle overheidsregistraties, voornamelijk de Basisregistratie Adressen en Gebouwen (BAG) en de Basisregistratie Kadaster (BRK). Deze gegevens worden beheerd door respectievelijk gemeenten en het Kadaster, en worden regelmatig bijgewerkt. Energielabelgegevens komen uit de database van de Rijksdienst voor Ondernemend Nederland (RVO).

Maatvoeringsrapport

Wie is de eigenaar?

Bekijk de eigenaar van Wijersakker 21 met de eigendomsinformatie.
Bekijk de eigenaar van dit adres.
Maatvoeringsrapport

Maatvoering van het perceel

Bestel de maatvoering voor Wijersakker 21 met het maatvoeringsrapport.
Bestel de maatvoering voor dit adres.

360°-foto's van de omgeving

Google Street View
Upgrade nu voor 360° Street View foto's

Zon en schaduw rondom adres

Buurt
Hapert Oost
Inwoners: 1.815
Woningen: 800
Wijk
Wijk 02 Hapert
Inwoners: 5.755
Woningen: 2.449
Gemeente
Bladel
Inwoners: 20.985
Woningen: 8.994